Перейти к содержимому
8 (812) 454-68-70
mamo70@yandex.ru
mcmo70@yandex.ru
197375, Санкт-Петербург, Земский пер., д. 7, 2-й этаж
Search
ВЕРСИЯ ДЛЯ СЛАБОВИДЯЩИХ
Разделы сайта
Общая информация
Нормотворческая деятельность
Устав МО Коломяги
Местная администрация
Бюджет
Законодательная база в области местного самоуправления
Порядок обжалования муниципальных правовых актов
Результаты проверок
Проверки, произведенные Контрольно-счетной палатой Санкт-Петербурга
Результаты проверки Отдела регионального государственного надзора в области чрезвычайных ситуаций
ВМФК
Полезная информация
Служить России — настоящая работа!
Экстренные телефоны
Меры социальной поддержки
Новости Росреестра и Кадастровой палаты
Пожарная безопасность, ГУ МЧС
ГИБДД по Приморскому району
Здравоохранение
Межнациональные отношения
Управление ФНС России по Санкт-Петербургу
Трудоустройство
Профилактика правонарушений
Содействие развитию малого бизнеса на территории МО Коломяги
УМВД России по Приморскому району
Осуществление защиты прав потребителей
Информация для призывников
Противодействие терроризму
Противодействие коррупции
Памятка «Что нужно знать о коррупции»
Специальная линия «Нет коррупции!»
Прокуратура информирует — Что нужно знать о коррупции
Документы МО Коломяги в сфере противодействия коррупции
Сообщите о фактах коррупции
Антикоррупционная экспертиза
Законодательство в сфере противодействия коррупции
Официальный сайт для размещения информации о подготовке федеральными органами исполнительной власти проектов
Информационные материалы о реализации антикоррупционной политики в Санкт-Петербурге
Часто задаваемые вопросы
Подведомственные учреждения
Вопросы местного значения
Отчеты, выступления
Закупочная деятельность
Контакты МА
Menu
Разделы сайта
Общая информация
Нормотворческая деятельность
Устав МО Коломяги
Местная администрация
Бюджет
Законодательная база в области местного самоуправления
Порядок обжалования муниципальных правовых актов
Результаты проверок
Проверки, произведенные Контрольно-счетной палатой Санкт-Петербурга
Результаты проверки Отдела регионального государственного надзора в области чрезвычайных ситуаций
ВМФК
Полезная информация
Служить России — настоящая работа!
Экстренные телефоны
Меры социальной поддержки
Новости Росреестра и Кадастровой палаты
Пожарная безопасность, ГУ МЧС
ГИБДД по Приморскому району
Здравоохранение
Межнациональные отношения
Управление ФНС России по Санкт-Петербургу
Трудоустройство
Профилактика правонарушений
Содействие развитию малого бизнеса на территории МО Коломяги
УМВД России по Приморскому району
Осуществление защиты прав потребителей
Информация для призывников
Противодействие терроризму
Противодействие коррупции
Памятка «Что нужно знать о коррупции»
Специальная линия «Нет коррупции!»
Прокуратура информирует — Что нужно знать о коррупции
Документы МО Коломяги в сфере противодействия коррупции
Сообщите о фактах коррупции
Антикоррупционная экспертиза
Законодательство в сфере противодействия коррупции
Официальный сайт для размещения информации о подготовке федеральными органами исполнительной власти проектов
Информационные материалы о реализации антикоррупционной политики в Санкт-Петербурге
Часто задаваемые вопросы
Подведомственные учреждения
Вопросы местного значения
Отчеты, выступления
Закупочная деятельность
Контакты МА
МУНИЦИПАЛЬНЫЙ СОВЕТ
МЕСТНАЯ АДМИНИСТРАЦИЯ
Menu
МУНИЦИПАЛЬНЫЙ СОВЕТ
МЕСТНАЯ АДМИНИСТРАЦИЯ
Vk
Единый портал обращений граждан
8 (812) 454-68-70
mamo70@yandex.ru
mcmo70@yandex.ru
197375, Санкт-Петербург, Земский пер., д. 7
ВЕРСИЯ ДЛЯ СЛАБОВИДЯЩИХ
Разделы сайта
Общая информация
Нормотворческая деятельность
Устав МО Коломяги
Местная администрация
Бюджет
Законодательная база в области местного самоуправления
Порядок обжалования муниципальных правовых актов
Результаты проверок
Проверки, произведенные Контрольно-счетной палатой Санкт-Петербурга
Результаты проверки Отдела регионального государственного надзора в области чрезвычайных ситуаций
ВМФК
Полезная информация
Служить России — настоящая работа!
Экстренные телефоны
Меры социальной поддержки
Новости Росреестра и Кадастровой палаты
Пожарная безопасность, ГУ МЧС
ГИБДД по Приморскому району
Здравоохранение
Межнациональные отношения
Управление ФНС России по Санкт-Петербургу
Трудоустройство
Профилактика правонарушений
Содействие развитию малого бизнеса на территории МО Коломяги
УМВД России по Приморскому району
Осуществление защиты прав потребителей
Информация для призывников
Противодействие терроризму
Противодействие коррупции
Памятка «Что нужно знать о коррупции»
Специальная линия «Нет коррупции!»
Прокуратура информирует — Что нужно знать о коррупции
Документы МО Коломяги в сфере противодействия коррупции
Сообщите о фактах коррупции
Антикоррупционная экспертиза
Законодательство в сфере противодействия коррупции
Официальный сайт для размещения информации о подготовке федеральными органами исполнительной власти проектов
Информационные материалы о реализации антикоррупционной политики в Санкт-Петербурге
Часто задаваемые вопросы
Подведомственные учреждения
Вопросы местного значения
Отчеты, выступления
Закупочная деятельность
Контакты МА
Menu
Разделы сайта
Общая информация
Нормотворческая деятельность
Устав МО Коломяги
Местная администрация
Бюджет
Законодательная база в области местного самоуправления
Порядок обжалования муниципальных правовых актов
Результаты проверок
Проверки, произведенные Контрольно-счетной палатой Санкт-Петербурга
Результаты проверки Отдела регионального государственного надзора в области чрезвычайных ситуаций
ВМФК
Полезная информация
Служить России — настоящая работа!
Экстренные телефоны
Меры социальной поддержки
Новости Росреестра и Кадастровой палаты
Пожарная безопасность, ГУ МЧС
ГИБДД по Приморскому району
Здравоохранение
Межнациональные отношения
Управление ФНС России по Санкт-Петербургу
Трудоустройство
Профилактика правонарушений
Содействие развитию малого бизнеса на территории МО Коломяги
УМВД России по Приморскому району
Осуществление защиты прав потребителей
Информация для призывников
Противодействие терроризму
Противодействие коррупции
Памятка «Что нужно знать о коррупции»
Специальная линия «Нет коррупции!»
Прокуратура информирует — Что нужно знать о коррупции
Документы МО Коломяги в сфере противодействия коррупции
Сообщите о фактах коррупции
Антикоррупционная экспертиза
Законодательство в сфере противодействия коррупции
Официальный сайт для размещения информации о подготовке федеральными органами исполнительной власти проектов
Информационные материалы о реализации антикоррупционной политики в Санкт-Петербурге
Часто задаваемые вопросы
Подведомственные учреждения
Вопросы местного значения
Отчеты, выступления
Закупочная деятельность
Контакты МА
Search
Close this search box.
Vk
Единый портал обращений граждан
8 (812) 454-68-70
mamo70@yandex.ru
mcmo70@yandex.ru
Разделы сайта
Общая информация
Нормотворческая деятельность
Устав МО Коломяги
Местная администрация
Бюджет
Законодательная база в области местного самоуправления
Порядок обжалования муниципальных правовых актов
Результаты проверок
Проверки, произведенные Контрольно-счетной палатой Санкт-Петербурга
Результаты проверки Отдела регионального государственного надзора в области чрезвычайных ситуаций
ВМФК
Полезная информация
Служить России — настоящая работа!
Экстренные телефоны
Меры социальной поддержки
Новости Росреестра и Кадастровой палаты
Пожарная безопасность, ГУ МЧС
ГИБДД по Приморскому району
Здравоохранение
Межнациональные отношения
Управление ФНС России по Санкт-Петербургу
Трудоустройство
Профилактика правонарушений
Содействие развитию малого бизнеса на территории МО Коломяги
УМВД России по Приморскому району
Осуществление защиты прав потребителей
Информация для призывников
Противодействие терроризму
Противодействие коррупции
Памятка «Что нужно знать о коррупции»
Специальная линия «Нет коррупции!»
Прокуратура информирует — Что нужно знать о коррупции
Документы МО Коломяги в сфере противодействия коррупции
Сообщите о фактах коррупции
Антикоррупционная экспертиза
Законодательство в сфере противодействия коррупции
Официальный сайт для размещения информации о подготовке федеральными органами исполнительной власти проектов
Информационные материалы о реализации антикоррупционной политики в Санкт-Петербурге
Часто задаваемые вопросы
Подведомственные учреждения
Вопросы местного значения
Отчеты, выступления
Закупочная деятельность
Контакты МА
Menu
Разделы сайта
Общая информация
Нормотворческая деятельность
Устав МО Коломяги
Местная администрация
Бюджет
Законодательная база в области местного самоуправления
Порядок обжалования муниципальных правовых актов
Результаты проверок
Проверки, произведенные Контрольно-счетной палатой Санкт-Петербурга
Результаты проверки Отдела регионального государственного надзора в области чрезвычайных ситуаций
ВМФК
Полезная информация
Служить России — настоящая работа!
Экстренные телефоны
Меры социальной поддержки
Новости Росреестра и Кадастровой палаты
Пожарная безопасность, ГУ МЧС
ГИБДД по Приморскому району
Здравоохранение
Межнациональные отношения
Управление ФНС России по Санкт-Петербургу
Трудоустройство
Профилактика правонарушений
Содействие развитию малого бизнеса на территории МО Коломяги
УМВД России по Приморскому району
Осуществление защиты прав потребителей
Информация для призывников
Противодействие терроризму
Противодействие коррупции
Памятка «Что нужно знать о коррупции»
Специальная линия «Нет коррупции!»
Прокуратура информирует — Что нужно знать о коррупции
Документы МО Коломяги в сфере противодействия коррупции
Сообщите о фактах коррупции
Антикоррупционная экспертиза
Законодательство в сфере противодействия коррупции
Официальный сайт для размещения информации о подготовке федеральными органами исполнительной власти проектов
Информационные материалы о реализации антикоррупционной политики в Санкт-Петербурге
Часто задаваемые вопросы
Подведомственные учреждения
Вопросы местного значения
Отчеты, выступления
Закупочная деятельность
Контакты МА
Search
Close this search box.
Vk
ЕП ОГ
Местная Администрация
Структура
Новости
Меню
Новости
Открыть
Записи в рубрике
ОПОВЕЩЕНИЕ о начале общественных обсуждений по схеме расположения земельного участка
На Серафимовском кладбище почтили память защитников Ленинграда
Примите самые искренние и сердечные поздравления с великим, священным и поистине всенародным праздником — Днём Победы!
В Законодательном Собрании Санкт-Петербурга прошёл торжественный приём, посвящённый 81-й годовщине Победы советского народа в Великой Отечественной войне 1941-1945 годов
7 мая – День создания Вооружённых Сил Российской Федерации.
Информация о проведении регионального дня приёма граждан
Минувшая неделя в Петербурге началась с торжества по случаю Дня парламентаризма
С Днём Ветерана Труда!
С Днём Весны и Труда!
День социально-правовой информации «Жилищно-коммунальные услуги: вопросы и ответы»
ОПОВЕЩЕНИЕ о начале общественных обсуждений по схеме расположения земельного участка
День местного самоуправления и «Добрый субботник»
Оповещение о начале общественных обсуждений
25 апреля в Приморском районе состоялось очень значимое мероприятие — открытие и запуск светового фонтана на Аллее Чернобыльцев.
Информация о работе госпабликов
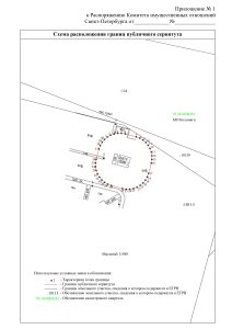
Сообщение о возможном установлении публичного сервитута
21 апреля — День местного самоуправления в России
Интервью с председателем Совета муниципальных образований Санкт-Петербурга Всеволодом Беликовым
Сообщение о возможном установлении публичного сервитута
«Память о прошлом — это ответственность перед настоящим и будущим» (Ю. Селезнёв)
Уважаемые петербуржцы! Поздравляю вас с замечательным праздником — Днём космонавтики!
Сообщение о возможном установлении публичного сервитута
Сегодня Приморский район Санкт-Петербурга отмечает свой 90-летний юбилей!
90 лет со дня образования Приморского района
8 апреля в России ежегодно отмечается День сотрудников военных комиссариатов
Чистота, помощь героям и первая навигация нового моста. Весенние дела Петербурга.
День социально-правовой информации «Ваши земельные права и льготы»
В Мариинском дворце наградили победителей конкурса «Кадет года-2026»
«Зелёная» экономика. Петербург ускоряет экологическое развитие
Поздравление заместителя Председателя Законодательного Собрания Санкт-Петербурга Н.Л. Бондаренко с Днём войск национальной гвардии Российской Федерации
О проведении Всемирного дня борьбы с туберкулезом
С Днем работника культуры!
Николай Бондаренко принял участие в мероприятии, посвящённом историческим событиям в Морском лицее Приморского района
Год культуры, рекордные инвестиции в экономику и продолжение ключевой магистрали
Приглашаем принять участие во Всероссийской олимпиаде школьников «Четыре листа»
13 марта мы отмечаем важную дату — День участников поискового движения
Сообщение о возможном установлении публичного сервитута
Сообщение о возможном установлении публичного сервитута
Заместитель Председателя Законодательного Собрания, член фракции «ЕДИНАЯ РОССИЯ» Николай Бондаренко принял участие во встрече Губернатора Санкт-Петербурга Александра Беглова с матерями и жёнами участников специальной военной операции в БКЗ «Октябрьский»
Сообщение о возможном установлении публичного сервитута
Милые женщины, поздравляю вас с замечательным праздником весны — Международным женским днём!
Поздравляем вас с Международным женским днем!
Дорогие женщины! От всего сердца поздравляю вас с Международным женским днём!
Сообщение о возможном установлении публичного сервитута
Сообщение о возможном установлении публичного сервитута
Сообщение о возможном установлении публичного сервитута
Сообщение о возможном установлении публичного сервитута
Сообщение о возможном установлении публичного сервитута
Сообщение о возможном установлении публичного сервитута
Сообщение о возможном установлении публичного сервитута
Сообщение о возможном установлении публичного сервитута
4 марта в Петербурге пройдет плановая масштабная проверка систем оповещения населения
Сообщение о возможном установлении публичного сервитута
Сообщение о возможном установлении публичного сервитута
Сообщение о возможном установлении публичного сервитута
Сообщение о возможном установлении публичного сервитута
Сообщение о возможном установлении публичного сервитута
Сообщение о возможном установлении публичного сервитута
Сообщение о возможном установлении публичного сервитута
Сообщение о возможном установлении публичного сервитута
Сообщение о возможном установлении публичного сервитута
Безопасность на льду
Участники СВО и члены их семей могут бесплатно и круглосуточно получить медико-психологическую помощь в специальном федеральном чате
Дорогие петербуржцы! Примите самые искренние поздравления с Днём защитника Отечества!
В Законодательном Собрании чествовали защитников Отечества
Региональная Общественная Организация «Творческий Союз Работников Культуры и Искусств» приглашает на концерт,посвященный Дню Защитника Отечества
В Приморском районе состоялась церемония награждения волонтёров-участников Форума «Вместе к Победе!»
заместитель Председателя Заксобрания Петербурга, член фракции «Единая Россия» Николай Бондаренко встретился со студентами Российского государственного педагогического университета имени А.И. Герцена
15 февраля — День памяти о россиянах, исполнявших служебный долг за пределами Отечества.
Уважаемые работники и ветераны дипломатической службы, примите искренние поздравления с вашим профессиональным праздником!
Николай Бондаренко посетил Политехнический колледж городского хозяйства!
Сообщение о возможном установлении публичного сервитута
Сообщение о возможном установлении публичного сервитута
Сообщение о возможном установлении публичного сервитута
Сообщение о возможном установлении публичного сервитута
Стартовал прием заявок на Всероссийский конкурс «Моя страна — мои решения»
IX Всероссийский конкурс «Идеи, преображающие города» принимает проекты
25 января – День российского студенчества
ГАТИ информирует о планируемых закрытиях и ограничениях дорожного движения в Приморском районе с 20 января
Сообщение о возможном установлении публичного сервитута
Извещение о предстоящем выделе в натуре доли в праве общей долевой собственности
Сообщение о возможном установлении публичного сервитута
Сообщение о возможном установлении публичного сервитута
Санкт-Петербургское государственное бюджетное учреждение «Центр помощи семье и детям» приглашает приемных родителей (усыновителей, опекунов, попечителей) принять участие во встрече Кино клуба «НЕПРОСТО КИНО»
Информация о возможностях канала «ОПОВЕЩЕНИЕ населения Санкт-Петербурга»
Сообщение о возможном установлении публичного сервитута
Сообщение о возможном установлении публичного сервитута
Сообщение о возможном установлении публичного сервитута
Сообщение о возможном установлении публичного сервитута
Сообщение о возможном установлении публичного сервитута
Сообщение о возможном установлении публичного сервитута
Сообщение о возможном установлении публичного сервитута
Сообщение о возможном установлении публичного сервитута
Сообщение о возможном установлении публичного сервитута
Сообщение о возможном установлении публичного сервитута
Сообщение о возможном установлении публичного сервитута
Сообщение о возможном установлении публичного сервитута
Мессенджер Max
Сообщение о возможном установлении публичного сервитута
Сообщение о возможном установлении публичного сервитута
Сообщение о возможном установлении публичного сервитута
Сообщение о возможном установлении публичного сервитута
Сообщение о возможном установлении публичного сервитута
Сообщение о возможном установлении публичного сервитута
Сообщение о возможном установлении публичного сервитута
Сообщение о возможном установлении публичного сервитута
ИЗВЕЩЕНИЕ о принятии акта об утверждении результатов определения кадастровой стоимости, а также о порядке рассмотрения заявлений об исправлении ошибок, допущенных при определении кадастровой стоимости
Сообщение о возможном установлении публичного сервитута
Сообщение о возможном установлении публичного сервитута
Сообщение о возможном установлении публичного сервитута
ОПОВЕЩЕНИЕ о начале общественных обсуждений по проекту планировки с проектом межевания территории для размещения линейного объекта регионального значения «Фрунзенско-Приморская линия метрополитена от станции «Шуваловский проспект» до станции «Коломяжская» с электродепо «Коломяжское»
Сообщение о возможном установлении публичного сервитута
Сообщение о возможном установлении публичного сервитута
Сообщение о возможном установлении публичного сервитута
Сообщение о возможном установлении публичного сервитута
Сообщение о возможном установлении публичного сервитута
Сообщение о возможном установлении публичного сервитута
Сообщение о возможном установлении публичного сервитута
Петербург готовится к Х юбилейному этнографическому диктанту
ОПОВЕЩЕНИЕ о начале общественных обсуждений по схеме расположения земельных участков
С октября 2025 года в России вводится обязательная маркировка спортивного питания
III Всероссийский Конкурс лучших практик управления многоквартирными домами
Приглашаем принять участие в открытом лектории «Твои финансы – серебряный возраст»
Сообщение о возможном установлении публичного сервитута
Сообщение о возможном установлении публичного сервитута
Гала-концерт «Мы вместе!»
НЕДЕЛЯ ИНФОРМАЦИОННОЙ ПОДДЕРЖКИ ГРАЖДАН ПОЖИЛОГО ВОЗРАСТА
Сообщение о возможном установлении публичного сервитута
Сообщение о возможном установлении публичного сервитута
ДЕНЬ СОЦИАЛЬНО-ПРАВОВОЙ ИНФОРМАЦИИ для граждан старшего поколения «ВАШИ ПРАВА – ВОПРОСЫ И ОТВЕТЫ»
Филиал ППК «Роскадастр» по Санкт-Петербургу предлагает услугу выездного обслуживания
ОПОВЕЩЕНИЕ о начале общественных обсуждений по схеме расположения земельного участка
Более 15 представителей российских компаний посетили Биржу поставщиков на выставке «Строим загородный дом»
Старт III Всероссийского конкурса детей и молодёжи «Юный Управдом – созидатель благоприятной среды проживания»
Извещение о размещении проекта отчета о государственной кадастровой оценке, а также о порядке и сроках предоставления замечаний к нему
Объявление о проведении опроса жителей Санкт-Петербурга об оценке эффективности деятельности руководителей органов местного самоуправления внутригородских муниципальных образований города федерального значения Санкт-Петербурга
Сообщение о возможном установлении публичного сервитута
ИЗВЕЩЕНИЕ от 11.08.2025 О предстоящем выделе в натуре доли в праве общей долевой собственности и об осуществлении согласования местоположения машино-места № 005 и № 093 с участниками общей долевой собственности (78:34:0004229:3021)
Извещение о предстоящем выделе в натуре доли в праве общей долевой собственности и об осуществлении согласования местоположения машино-место с участниками общей долевой собственности
Извещение о предстоящем выделе в натуре доли в праве общей долевой собственности и об осуществлении согласования местоположения машино-место с участниками общей долевой собственности
Извещение о предстоящем выделе в натуре доли в праве общей долевой собственности и об осуществлении согласования местоположения машино-место с участниками общей долевой собственности
Центр адаптивной физкультуры и адаптивного спорта Санкт‑Петербурга
Российская академия народного хозяйства и государственной службы при Президенте Российской Федерации предлагает бесплатно пройти обучение.
Всероссийский конкурс признания и поддержки сообществ «Городские интонации»
Оповещение о начале общественных обсуждений по схеме расположения земельного участка
В историческом мультимедийном парке «Россия — моя история» состоится Форум в рамках проекта «Крепкая семья»
Роспотребнадзор напоминает правила безопасного посещения плавательных бассейнов
Сообщение о возможном установлении публичного сервитута
ОПОВЕЩЕНИЕ о начале общественных обсуждений по схеме расположения земельного участка
КДЦ «Максим» приглашает на открытие «Городских танцевальных веранд»
Осторожно мошенники!!!
Осторожно мошенники!
Оповещение о начале общественных обсуждений
Сообщение о возможном установлении публичного сервитута
Сообщение о возможном установлении публичного сервитута
Санкт-Петербургский университет технологий управления и экономики приглашает на бесплатное обучение
Сообщение о начале общественных обсуждений
Сообщение о возможном установлении публичного сервитута
ОПОВЕЩЕНИЕ О НАЧАЛЕ ОБЩЕСТВЕННЫХ ОБСУЖДЕНИИ ПО ПРОЕКТУ О ВНЕСЕНИИ ИЗМЕНЕНИЙ В ПРАВИЛА ЗЕМЛЕПОЛЬЗОВАНИЯ И ЗАСТРОЙКИ САНКТ-ПЕТЕРБУРГА
Госавтоинспекция Приморского района г. Санкт-Петербурга информирует
Сообщение о возможном установлении публичного сервитута
Весенняя неделя добра в Санкт-Петербурге
Редакция журнала «Экономическая политика России — 21 век» формирует Сводную федеральную презентацию «Социальное развитие регионов России»
Петербург станет площадкой для международного проекта «Общая память»
СПБ ГБУ «Комплексный центр социального обслуживания населения Приморского района Санкт-Петербурга»
IX Всероссийский конкурс «История местного самоуправления моего края
О лицензировании деятельности по оказанию услуг по дезинфекции, дезинсекции и дератизации
В России стартовала традиционная акция «Ура Победе!»
Приглашаем Вас посетить бесплатное выездное мероприятие «Зимний дворец Петра I»
Сообщение о возможном установлении публичного сервитута
Сообщение о возможном установлении публичного сервитута
Информация о проведении комплексной проверки готовности региональной системы оповещения населения Санкт-Петербурга
В связи с зимним периодом очень важно обеспечить безопасность на дороге детей и подростков.
Сообщение о возможном установлении публичного сервитута
Цифровая экосистема по поддержке предпринимателей Петербурга расширяет свои возможности
Риновирусная инфекция!
Сообщение о возможном установлении публичного сервитута
Сообщение о возможном установлении публичного сервитута
Сообщение о возможном установлении публичного сервитута
Сообщение о возможном установлении публичного сервитута
Бизнес выбирает медийность — петербургских предпринимателей обучили основам работы со СМИ
В Петербурге подведены итоги нацпроекта «Малое и среднее предпринимательство»
Отдел Госавтоинспекции УМВД России по Приморскому району г. СПб обращает Ваше внимание на соблюдение правил безопасности
35 отдел полиции УМВД России по Приморскому району г. СПб ОБЪЯВЛЯЕТ О ПРИЕМЕ НА СЛУЖБУ В ОВД РФ
Региональный турнир по шахматам на приз Санкт-Петербургской избирательной комиссии.
Поликлиники Приморского района приглашают на диспансеризацию
Осторожно мошенники!
ОПОВЕЩЕНИЕ О НАЧАЛЕ ОБЩЕСТВЕННЫХ ОБСУЖДЕНИЙ
РОЖДЕСТВЕНСКОЕ СВЕТОВОЕ ПРЕДСТАВЛЕНИЕ В КРОНШТАДТЕ
В России стартовал IX Всероссийский конкурс «История местного самоуправления моего края»
Нейросети в помощь бизнесу — предпринимателям Петербурга провели «экспресс-курс» по возможностям ИИ
ПРАВИЛА БЕЗОПАСНОГО НОВОГО ГОДА
Памятка по безопасности на льду для школьников!
Куда обращаться, если в квартире холодно?
АО «Невский экологический оператор информирует»
Приглашаем принять участие в конкурсе «Ёлочная игрушка»
Прокуратура Санкт-Петербурга информирует
Для предпринимателей Петербурга прошел большой бизнес-завтрак «Три подхода к бизнесу»
Присоединяйтесь к к проекту «Подарите книги детскому СеРдЦу»
Энтеровирусы
Представители более 30 организаций приняли участие в Бирже деловых контактов ЦРПП на XXVIII Международном форуме «Российский промышленник»
Северный филиал Федерального бюджетного учреждения здравоохранения «Центр гигиены и эпидемиологии в городе Санкт-Петербурге и Ленинградской области» информирует.
Установите приложение «Госуслуги Дом»
Мой Бизнес Forum Санкт-Петербурга признан лучшим в России
Предприниматели Петербурга прошли бизнес-игру по «прокачке» навыков продаж
Петербург подвел итоги Правового диктанта для предпринимателей
Бизнесу Петербурга расскажут, как привлекать клиентов через партнерские отношения
ОПОВЕЩЕНИЕ о начале общественных обсуждений по схеме расположения земельного участка
Обеспечение правил пребывания в России иностранных граждан
Акция «Нет ненависти и вражде»
Участницы бизнес-клуба «Женская среда» посетили петербургский Технохаб и Умный дом Сбера
Начинающие бизнесмены Петербурга прошли завершающую в 2024 году программу «Азбука предпринимателя»
Бизнесу Петербурга расскажут, как создать функциональный онлайн-магазин
С 1 сентября 2024 года вступили в силу изменения законодательства в сфере долевого строительства
ВОЕННОСЛУЖАЩИЙ ПО ПРИЗЫВУ
Баркемп «Национальная технологическая революция 20.35»
«СЛУЖИТЬ РОДИНЕ С ДЕТСТВА!» — девиз наших кадетских классов
Участницы петербургской программы «Мама-предприниматель» посетили бизнес-экскурсии
площадке КСК «Арена» стартует первый в стране Открытый форум по развитию популяризации единоборств в Санкт-Петербурге и России.
АО «Невский экологический оператор» информирует граждан
На Ozon появилась витрина товаров «Сделано в Санкт-Петербурге»
Любовь к животным как стимул для бизнеса — петербурженка открыла зоогостиницу с помощью господдержки
«ГосСтарт» запустил регистрацию на стажировки в региональных органах власти и органах местного самоуправления по всей России в рамках направления «ГосСтарт.Стажировки»!
В Петербурге стартовала образовательная программа «Мама-предприниматель»
02 октября с 10:30 до 11:00 планируется проведение комплексной проверки готовности региональной системы оповещения населения Санкт-Петербурга.
Перед покупкой табачной и никотинсодержащей продукции настоятельно рекомендуется проверить её легальность.
РАЗЪЯСНЕНИЯ Управления Федеральной службы по надзору в сфере защиты прав потребителей и благополучия человека по городу Санкт-Петербургу потребителям услуг связи (телетрансляции)
Выстроить коммуникацию на «отлично» — предприниматели Петербурга прошли семинар по нетворкингу
ОПРОС ЖИТЕЛЕЙ
Госавтоинспекция Приморского района напоминает водителям
ВОПРОСЫ ПО ВАКЦИНАЦИИ ОТ ГРИППА
Поддержка своих: в петербургском Центре «Мой бизнес» прошла закупочная сессия для локальных производителей
В Петербурге 3000 предпринимателей примут участие в Мой Бизнес Forum 4 сентября
В поиске смыслов: петербургские предприниматели прошли бизнес-игру по активации личного бренда
Агентство занятости населения ского района Санкт-Петербурга
Участницы бизнес-клуба Петербурга поговорили о продвижении в соцсетях
Обеспечение пожарной безопасности объектов образования — на особом контроле сотрудников петербургского МЧС
Комитет Государственной Думы по региональной политике и местному самоуправлению объявил конкурс объектов социальной инфраструктуры «МАРТ»
В Главном управлении Минюста России по Санкт-Петербургу и Ленинградской области состоится мероприятие по оказанию бесплатной юридической помощи жителям Санкт-Петербурга и Ленинградской области, в том числе военнослужащим и членам их семей.
«День безопасности» устроили представители петербургского МЧС для отдыхающих в оздоровительном лагере «Дружных»
Бизнесу Петербурга расскажут про систему управления прибылью в 2025
Активный отдых
Сообщение о возможном установлении публичного сервитута
Сообщение о возможном установлении публичного сервитута
ОПОВЕЩЕНИЕ О НАЧАЛЕ ОБЩЕСТВЕННЫХ ОБСУЖДЕНИЙ
Всероссийский фестиваль энергосбережения #ВместеЯрче
В Петербурге для самозанятых создают рабочие места в коворкингах
Петербургские предприниматели в ходе экспертной гостиной обсудили вопросы привлечения финансирования
Совет муниципальных образований Санкт-Петербурга: В Петербурге будет запушена новая мера поддержки дизайнеров
ОНДПР по Приморскому р-ну СПб: о приемке образовательных учреждений к новому учебному году
Союзом организаций атомной отрасли «Атомные города» проводится «Атомный диктант»
Игры детей с огнем могут привести к трагедии
Информация о пожарах и их последствиях
Памятка для участников рынка обращения с отходами I и II классов опасности, организующих пункты приема ОПВК от населения
Сообщение о возможном установлении публичного сервитута
О СЕМЬЕ, ЛЮБВИ И ВЕРНОСТИ!
Всероссийский конкурс видеороликов «Стимул мечты — это сам ты!»
Новая мера поддержки для самозанятых
От идеи до запуска бизнеса: открылась школа социального предпринимательства
Оповещение о начале общественных обсуждений
ОПОВЕЩЕНИЕ О НАЧАЛЕ ОБЩЕСТВЕННЫХ ОБСУЖДЕНИЙ
Сообщение о возможном установлении публичного сервитута
За пять лет в Петербурге решили проблему дефицита детских садов, которые с 1 сентября станут бесплатными для всех горожан.
Афиши Домов культуры Приморского культурного центра на июнь
Информация для потребителей о туристских услугах
ПАМЯТКА Как не стать жертвой уличных грабежей и краж
Памятка по профилактике краж велосипедов, самокатов и т.д.
Памятка по безопасности на водных объектах в летний период
Сообщение о возможном установлении публичного сервитута
Сотрудники петербургского МЧС России провели профилактическую беседу с несовершеннолетними
Сообщение о возможном установлении публичного сервитута
«Гастрономический код Петербурга»
Приглашаем записаться на получение билетов на семейный музыкальный спектакль «Приключения в СОЮЗ-ХОЛЛЕ»
Старшее поколение может быстро и удобно воспользоваться услугами Соцфонда
Кризисный Центр помощи женщинам
Сообщение о возможном установлении публичного сервитута
Программа развития района в 2024 году
Афиши Домов культуры Приморского района на май
Петербуржцы могут бесплатно пройти обучение в рамках национального проекта
Информация о проведении регионального дня приёма граждан 20 мая 2024 года
Объединяем локальных поставщиков с крупными сетями
В начале апреля 2024 года в Оренбургской области произошло наводнение.Жители региона оказались в трудной жизненной ситуации и нуждаются в помощи.
Что такое программа долгосрочных сбережений граждан?
Комитет имущественных отношений Санкт-Петербурга уведомляет.
Афиши Домов культуры Приморского района на апрель
Фестиваль «Звезда спасения»
АНО Центр поддержки репродуктивного здоровья «НАСЛЕДИЕ» приглашает принять участие в Форуме репродукции и планирования семьи «Путь к счастью»
Национальная телевизионная премия «Дай пять!»
Сообщение o возможном установлении публичного сервитута.
Мошенники. Покупки в сети Интернет.
Петербургские спасатели помогали творить волшебство программе «День Ангела».
«Огонь без опасности»: приглашаем к участию!
Выборы 2024
Афиши Домов культуры Приморского района на март 2024
Объединенный кадетский корпус информирует об осуществлении набора кандидатов на 2024 -2025 учебный год в 8, 9, 10 классы
ПАМЯТКА РОДИТЕЛЯМ о профилактике случаев выпадения детей из окон
Открыт прием документов на получение и подтверждение статуса социального предприятия
Памятки родителям
Запрет выхода на лед
«Мама-предприниматель»
ПОЛОЖЕНИЕ О РАЙОННОМ ЭТАПЕ ВСЕРОССИЙСКОГО КОНКУРСА ДЕТСКО-ЮНОШЕСКОГО ТВОРЧЕСТВА ПО ПОЖАРНОЙ БЕЗОПАСНОСТИ «НЕОПАЛИМАЯ КУПИНА»
Информация Комитета по молодежной политике и взаимодействию с общественными организациями
Где брать деньги социальным предпринимателям
Прием на службу
Приглашаем записаться на получение билетов на хореографический спектакль «Снегурочка»
Свежий номер газеты «Коломяжские вести» — ноябрь, 2023
Чтобы оплатить обучение ребёнка в автошколе с помощью средств материнского капитала, должны быть соблюдены следующие условия:
Лекторий «Открой мир здоровья!»
Народный фронт
Оповещение о начале общественных обсуждений
Конкурс народного признания
Положение о Всероссийском конкурсе «Знатоки пожарной охраны»
Положение о проведении Всероссийской электронной олимпиады по пожарной безопасности
«Международный творческий фестиваль «Шаг навстречу!»
ВОЕННОСЛУЖАЩИЙ ПО ПРИЗЫВУ
Правительство Санкт-Петербурга оказывает финансовую поддержку самозанятым и начинающим предпринимателям
Регистрация на участие во Всемирном фестивале молодёжи
ОПОВЕЩЕНИЕ О НАЧАЛЕ ОБЩЕСТВЕННЫХ ОБСУЖДЕНИЙ
Приглашаем посетить бесплатную автобусную экскурсию «Санкт-Петербург – город многих конфессий» для совершеннолетних жителей МО Коломяги
Конкурс детского рисунка «Вместе мы одна страна»
Большой этнографический диктант
Безопасность детей
Профилактика инсульта
КАК ДОБРЫНЯ НИКИТИЧ С ВРАГАМИ ЗАМИРИЛСЯ
СКАЗАНИЕ О КОЛДОВСКОМ СОБЛАЗНЕ
Сводка ДТП за октябрь
Опрос
Свежий номер газеты «Коломяжские вести» — октябрь, 2023
Что делать, когда утерян багаж?
Внимание! Мошенники!
Уважаемые жители МО Коломяги!
Работа в МФЦ
О раке молочной железы
О социальном проекте «Служба помощи маломобильным группам населения и людям с ограниченными возможностями здоровья»
Информация от УФНС
91 год ГРАЖДАНСКОЙ ОБОРОНЕ: важнейший опыт в достижении целей по защите населения и государства в целом.
Профилактика кожных заболеваний
Вниманию потребителей!
Прокуратурой Приморского района Санкт-Петербурга 29.09.2023 планируется проведение «горячей линии»
НЕДЕЛЯ ИНФОРМАЦИОННОЙ ПОДДЕРЖКИ ГРАЖДАН ПОЖИЛОГО ВОЗРАСТА
Информация по мошенничествам и кражам
Национальность
Представляем Вашему вниманию алгоритм действий для организации вывоза разукомплектованного транспортного средства:
УМВД Приморского района г. Санкт-Петербурга информирует
АЗН Приморского района приглашает на открытый отбор в Военный комиссариат
Памятка по сохранности личного имущества
Свежий номер газеты «Коломяжские вести» — сентябрь, 2023
Служба по контракту в вооруженных силах
Осторожно, дикие звери!
Общенациональный просветительский проект «Достижения.РФ»
СПб ГБУ «Приморский культурный центр» информирует о начале записи в клубные формирования на новый творческий сезон 2023-2024 гг.
О предоставлении бесплатного проезда в поездах дальнего следования лицам, награжденным знаком «Жителю блокадного Ленинграда»
О безопасности на водоемах в осенний период
Лучший дом. Лучший двор. II Всероссийский конкурс лучших практик управления многоквартирными домами
Экологическая акция «Плоггинг-забег»
Сообщение о возможном установлении публичного сервитута
Сообщение о возможном установлении публичного сервитута
Полезные цифровые сервисы для развития бизнеса
В Санкт-Петербурге открыт набор в акселератор социальных предпринимателей
Всероссийский конкурс ко Дню солидарности в борьбе с терроризмом «Для чего я помню третье сентября»
Рекомендации по проведению церемонии вручения паспортов в рамках Всероссийской акции «Мы – граждане России!»
Председатель Законодательного Собрания Александр Бельский выразил соболезнования коллегам, родным и близким советника Губернатора Санкт-Петербурга, бывшего вице-губернатора Анатолия Анатольевича Повелия:
Сообщение о возможном установлении публичного сервитута
Сообщение о возможном установлении публичного сервитута
Сообщение о возможном установлении публичного сервитута
Сообщение о возможном установлении публичного сервитута
Всероссийский день трезвости
В Петербурге пройдет форум для предпринимателей «Мой бизнес»
Приморский культурный центр информирует
Приморский культурный центр информирует
Голосование за достижения своего региона
Конкурс детского рисунка «В гостях у зебры»
Конкурс детского рисунка «В гостях у зебры»
Птичий грипп
Объявление о проведении опроса жителей Санкт-Петербурга об оценке эффективности деятельности руководителей органов местного самоуправления внутригородских муниципальных образований города федерального значения Санкт-Петербурга
О профилактике гриппа
Неблагоприятные метеорологические условия – не просто слова!
VI Всероссийский конкурс лучших практик в сфере национальных отношений
Памятка школьникам
Неблагоприятные метеорологические условия – не просто слова!
«Набор первоклассника»
Информация о полномочиях сотрудников полиции по составлению протоколов об административных правонарушениях, предусмотренных статьей 8 «Нарушение тишины и покоя граждан в ночное время, в выходные и праздничные дни» Закона Санкт-Петербурга
Свежий номер газеты «Коломяжские вести» — август 2023
Центр спорта Приморского района приглашает жителей для участия в бесплатном традиционном велопробеге «Приморская восьмерка»
Прокуратура Приморского района Санкт-Петербурга информирует
Уважаемые родители!
Обращение к участникам дорожного движения
Уважаемые родители!
О головном мозге
Региональный турнир по шахматам на приз Санкт-Петербургской избирательной комиссии
Приказ Комитета имущественных отношений Санкт-Петербурга
Прокуратура Приморского района Санкт-Петербурга информирует
Обращение к участникам дорожного движения
Национальность.ru
Турнир по волейболу
О состоянии водных акваторий пляжей на 17.07.2023 года
30 июля — День Военно-Морского флота!
Свежий номер газеты «Коломяжские вести» — июль 2023
Нарушения правил размещения транспорта во дворах
Профилактика травматизма
СПБ ГБУ КЦСОН Приморского района Санкт-Петербурга сообщает
Социальный контракт: как получить деньги на открытие бизнеса
Дорогие родители муниципального образования Коломяги!
Сводка аварийности с участием несовершеннолетних на дорогах Приморского района г. Санкт-Петербурга — июнь 2023
Михайловская военная орденов Жукова и Ленина краснознаменная артиллерийская академия проводит набор на обучение курсантов с 2023 по 2028 год
Об эпидемиологической ситуации по инфекциям, передающимися клещами, с 16.06.2023 по 22.06.2023
Шахматный турнир
Семейная мозаика — 2023
Открыты вакансии!
График проведения вебинаров для налогоплательщиков сотрудниками УФНС России по Санкт-Петербургу в 3 квартале 2023 года
Приглашаем посетить бесплатную автобусную экскурсию «Крепость Орешек. Музей «Прорыв блокады Ленинграда» и диорама»
86 отдел полиции УМВД России по Приморскому району г. СПб приглашает граждан Российской Федерации для прохождения службы на должности младшего и среднего начальствующего состава в подразделения:
Турнир по волейболу на кубок главы администрации Приморского района
Бесплатное обучение для лиц с ограниченными возможностями здоровья
Профилактика рака легкого
Свежий номер газеты «Коломяжские вести» — июнь, 2023
Уважаемые жители МО Коломяги!
Всероссийская акция ко Дню молодежи
Злоупотребление алкоголем
Обращение к населению: не пренебрегайте правилами безопасности во время отдыха на водоемах!
Уважаемые жители МО Коломяги!
Изменился порядок списания денежных средств с Единого налогового счета
Приглашаем посетить бесплатную автобусную экскурсию в г. Великий Новгород
Сводка аварийности с участием несовершеннолетних на дорогах Приморского района г. Санкт-Петербурга — май 2023
Сводка аварийности с участием несовершеннолетних на дорогах Приморского района г. Санкт-Петербурга — май 2023
Профилактические диктанты по здоровью
Межрайонная ИФНС России № 26 по Санкт-Петербургу информирует
Межрайонная ИФНС России № 26 по Санкт-Петербургу информирует
Телефон доверия
Агентство занятости населения Приморского района информирует
Эндокринные заболевания
Акция «Серебряный возраст»
Проведение VIII Всероссийской недели охраны труда
Салют на выпускной вечер
С Днём России!
Высокопатогенный грипп птиц
1 июня — Международный день защиты детей
Свежий номер газеты «Коломяжские вести» — май, 2023
В реквизитах платежных документов изменился получатель Единого налогового платежа
Приглашаем жителей округа на мастер-классы по плетению маскировочных сетей
О регистрации ранее возникшего права
Изменения в Приказ Комитета имущественных отношений
Уважаемые жители МО Коломяги!
Служба по контракту
Всероссийский конкурс «Молодые стратеги России»
Уважаемые жители МО Коломяги!
Дорогие выпускники!
Приглашаем посетить бесплатную автобусную экскурсию в г. Псков
Центр «Мой бизнес» Санкт-Петербург (СПб ГБУ «ЦРПП») / Неделя предпринимательства
Меры предосторожности при нахождении на природе
Пожароопасный сезон 2023
Проводится VII Всероссийский конкурс «История местного самоуправления моего края»
Министерство Российской Федерации по делам гражданской обороны, чрезвычайным ситуациями ликвидации последствий стихийных бедствий информирует:
VIII Международный фестиваль народной песни «Добровидение» стартует в Санкт-Петербурге 9 июня
Дорогие жители МО Коломяги!
Дорогие жители МО Коломяги!
Программа развития района в 2023 году
Санкт-Петербургская избирательная комиссия приглашает принять участие в Межвузовской интеллектуальной игре по избирательному праву и избирательному процессу
Дорогие жители МО Коломяги!
Дорогие жители МО Коломяги!
Приглашаем посетить бесплатную автобусную экскурсию «Дорогами войны». Лезье. Сологубовка.
Приглашаем посетить бесплатную автобусную экскурсию «Извара, с посещением музея Рериха»
Служить России — настоящая работа!
Служить России — настоящая работа!
Стартовал прием заявок на Форум «Сильные идеи для нового времени»
Акция «С музыкой в сердце»
С Днем Победы!
Дорогие наши ветераны, уважаемые жители Санкт-Петербурга!
Дорогие ветераны!
Шествие «Бессмертного полка» пройдёт онлайн!
Приглашаем посетить бесплатную интерактивную экскурсию «Победный май»
Уважаемые жители муниципального образования Коломяги! Продолжается Всероссийское онлайн — голосование по выбору общественных территорий для благоустройства.
Правила безопасного вождения
Помощь при укусе змеи
Корпоративные программы по укреплению здоровья
Обращение с отходами I и II класса опасности
Сводка аварийности с участием несовершеннолетних на дорогах Приморского района г. Санкт-Петербурга — март, апрель 2023
В Санкт-Петербурге и Ленинградской области оформлено более 12 тысяч электронных сертификатов на технические средства реабилитации
Свежий номер газеты «Коломяжские вести» — апрель, 2023
Прокуратурой Приморского района Санкт-Петербурга в рамках мероприятий по правовому просвещению и правовому информированию организована экскурсия в музей Банка России для учащихся в ГБОУ школа 617 Приморского района Санкт-Петербурга.
Справка «Проведение диспансеризации и профилактических осмотров взрослого населения Приморского района Санкт-Петербурга»
Информация о проведении регионального дня приёма граждан 15 мая 2023 года
Уважаемые депутаты и сотрудники муниципалитетов!
Уважаемые коллеги, друзья!
Осторожно: мошенники!
Осторожно: мошенники!
Приглашаем на экскурсии в апреле!
Информация о проведении форума «Сильные идеи для нового времени»
Уважаемые жители и гости города!
Информация для налогоплательщиков
Информация для налогоплательщиков
Оповещение о начале общественных слушаний
Специалистами Высшей школы менеджмента СПбГУ проводится анкетирование жителей Санкт-Петербурга
Всероссийское онлайн-голосование за объекты благоустройства на платформе za.gorodsreda.ru
Уважаемые жители и гости города!
Приглашаем посетить бесплатную автобусную экскурсию «Пушкинские места Петербургской губернии. Кобрино. Выра»
Национальные проекты России. Что стоит за этим знаком?
Внимание, начался нерест!
О правилах оформления платежных документов
Свежий номер газеты «Коломяжские вести» — март, 2023
Комитет по природопользованию, охране окружающей среды и обеспечению экологической безопасности информирует:
Фотоконкурс «Деревья – памятники живой природы»
Внимание, начался нерест!
Федеральная налоговая служба информирует
Федеральная налоговая служба информирует
Лучший предприниматель 2023
Вирусный клещевой энцефалит
Служба в полиции
Служба в полиции
Об упрощенном порядке поступления на службу в органы внутренних дел Российской Федерации на территориях Донецкой Народной Республики, Луганской Народной Республики, Запорожской области и Херсонской области
Меры пожарной безопасности для пожилых людей
Проведение «горячей линии» по вопросам законности занятия земельных участков, расположенных на территориях района
Управление информирует об основных ошибках при формировании Уведомления об исчисленных суммах налога
АО «Невский экологический оператор информирует»
Мой дом — моя крепость: как избежать пожара в быту
Уважаемые жители МО Коломяги!
Уважаемые жители МО Коломяги!
О проведении «горячей линии» по защите прав потребителей с 13 по 24 марта 2023 года
Горячая линия Прокуратуры
С праздником 8 марта!
8 марта — Международный женский день
Милые наши женщины!
Экскурсия в Музей воды
Не забудьте отчитаться о доходах
Налоговая инспекция Приморского района Санкт — Петербурга напоминает об источниках информации о порядке уплаты налогов в 2023 году с использованием ЕНС
Свежий номер газеты «Коломяжские вести» — февраль, 2023
1 марта в Санкт-Петербурге пройдет комплексная техническая проверка готовности системы оповещения населения
С праздником 23 февраля!
Дорогие петербуржцы!
Дорогие петербуржцы!
Пункты сбора помощи
Уважаемые жители Санкт-Петербурга!
Приглашаем на экскурсию!
Сообщение о возможном установлении публичного сервитута, адреса — дор.в Каменку
Приглашаем на экскурсию!
«Горячая линия» по вопросу соблюдения требований трудового законодательства
Дорогие жители МО Коломяги!
Дорогие жители МО Коломяги!
Приглашаем посетить бесплатную автобусную экскурсию «Санкт-Петербург – город военно-морской славы», с посещением подводной лодки «Народоволец»
Меры социальной поддержки мобилизованным и членам их семей
Онлайн трансляция Отчета об итогах социально-экономического развития района
Уважаемые жители МО Коломяги!
Уважаемые жители МО Коломяги!
Уважаемые жители МО Коломяги!
Уважаемые ленинградцы-петербуржцы!
Уважаемые ленинградцы-петербуржцы!
Свежий номер газеты «Коломяжские вести» — январь, 2023
Обмен качественного товара в магазине
«Коломяжские вести» — среди победителей XXI конкурса муниципальных и районных газет
Конкурс рисунка «Россия — Родина моя»
Приглашаем посетить бесплатную автобусную экскурсию «Ладожская Дорога жизни» (с посещением музея в Осиновце)
Начни год правильно – подай отчеты!
Уважаемые жители!
Профилактические рейды по местам реализации пиротехнических изделий
Уважаемые жители!
Дорогие друзья!
В Приморском районе прошёл урок пенсионной грамотности
Дорогие Приморцы!
Профилактические рейды по местам реализации пиротехнических изделий
СВОДКА АВАРИЙНОСТИ С УЧАСТИЕМ НЕСОВЕРШЕННОЛЕТНИХ НА ТЕРРИТОРИИ ПРИМОРСКОГО РАЙОНА Г.САНКТ-ПЕТЕРБУРГА
СВОДКА АВАРИЙНОСТИ С УЧАСТИЕМ НЕСОВЕРШЕННОЛЕТНИХ НА ТЕРРИТОРИИ ПРИМОРСКОГО РАЙОНА Г.САНКТ-ПЕТЕРБУРГА
Новогодний номер газеты «Коломяжские вести» — декабрь 2022
Одна взятка — два преступника
Вакансия в МКУ «Коломяги»
О профилактике заболеваний в школе
«Новогодний остров»
О районном этапе Всероссийского конкурса «Неопалимая купина»
О вакцинации против гриппа
Памятки для детей к Новому году
Как правильно и безопасно установить и украсить новогоднюю ёлку
Профилактическое мероприятие «ЕВРОПРОТОКОЛ» пройдёт с 5 по 19 декабря 2022 года на территории г. Санкт-Петербурга и Ленинградской области
Профилактический рейд по домам с печным отоплением
Состоялось заседание комиссии по предупреждению ЧС и ПБ
Ко Дню Конституции для жителей МО Коломяги организована Акция «Я-гражданин!»
Оплата ребенка в автошколе средствами материнского капитала
Чтобы тепло было «безопасным»…
Безопасный Новый год
Конкурс детского рисунка «Всем спорт!»
Конкурс новогодних поделок
Распорядок (график) работы учебно-консультационного пункта по гражданской обороне и защите от чрезвычайных ситуаций на территории МО Коломяги
Прокуратура Приморского района проводит прием граждан
Онлайн-турнир по берпи
Встреча Заместителя Председателя Законодательного Собрания Санкт-Петербурга Н.Л. Бондаренко с молодёжным советом при Главе местной администрации МО Коломяги
Ваша безопасность на льду зависит от вас!
Всемирный день борьбы со СПИДом
Памятки о запрете выхода на лед
30 ноября — День участников ликвидации последствий радиационных аварий и катастроф
«Смартфон-кафе» в Приморском районе
XVII Конгресс «Здоровье основа человеческого потенциала»
Новогоднее представление!
Как заказать справку о размере пенсии?
Опасность электронных сигарет
Как заказать справку о размере пенсии?
Пожарная безопасность в зимний период
Заблокировал въезд на контейнерную площадку – получай штраф!
Свежий номер газеты «Коломяжские вести» — ноябрь, 2022
Дом молодежи Приморского района приглашает вас на открытый показ работ финалистов и церемонию награждения победителей XI кинофестиваля короткометражных фильмов о детях и молодежи «Галактика 35 мм»
Расселение коммунальных квартир
График выплаты пенсий, ЕДВ и иных социальных выплат в декабре 2022 года
Мероприятие «Территория здоровья»
Опасная привычка
Всероссийский день призывника
Вступил в силу запрет выхода на лед водоемов, расположенных в черте Санкт-Петербурга
Будьте внимательны при отоплении своего жилья!
Рыбья благодать или как согласовать деятельность у водоемов!
20 ноября — Всемирный день ребенка
Рациональное питание
Как определяется размер пособия на детей от 8 до 17 лет
Общероссийская акция Тотальный тест «Доступная среда»
Первый Всероссийский диктант по энергосбережению в сфере жилищно-коммунального хозяйства «Е-ДИКТАНТ»
Уважаемые сотрудники и ветераны органов внутренних дел!
Закажите выписку о состоянии ИЛС
Онкоскрининг колоректального рака в рамках диспансеризации
Подписывайтесь на официальный телеграм-канал ПФР
Информационно-культурное мероприятие для иностранных граждан «Под крылом Петербурга»
Инструктаж о мерах пожарной безопасности в осенне-зимний период
Поздравление с Днём народного единства
Уважаемые налогоплательщики!
Уважаемые налогоплательщики!
Маленькая спасенная жизнь…
Национальные проекты России
ПРОЕКТ ПРОГРАММЫ IV Петербургского форума межрегиональной кооперации и партнерства СЗФО. КОД ТЕРРИТОРИЙ КАК ОСНОВА РАЗВИТИЯ РЕГИОНОВ
Рейд «Нетрезвый водитель»
Уважаемые жители частного сектора МО Коломяги!
Конкурс рисунка «Вместе мы одна страна»
Мода элегантного возраста
Подведены итоги конкурса детского рисунка «Моя планета»
Сводка аварийности с участием несовершеннолетних на дорогах Приморского района г. Санкт-Петербурга — октябрь 2022
«Световозвращающие элементы»
Меньше соли! Особенно людям, которые страдают артериальной гипертензией
Свежий номер газеты «Коломяжские вести» — октябрь, 2022
О вакцинации против клещевого вирусного энцефалита
Осенние риски: советы от спасателей
Акция «Чистые Коломяги»
Акция «Чистые Коломяги»
Контролируйте артериальное давление
Приглашаем жителей округа принять участие в экологической Акции «Кормушка для птиц»
Проект бюджета Санкт-Петербурга на 2023-2025 годы
Номера для обращения семей мобилизованных
Приморский район за безопасность граждан
О дополнительных мерах социальной поддержки отдельных категорий граждан в связи с проведением специальной военной операции (выполнением специальных задач) на территориях Донецкой Народной Республики, Луганской Народной Республики и Украины и мобилизационных мероприятий в период ее проведения»
Этнографический диктант
Региональный конкурс детских тематических рисунков-рассказов в картинках «Комикс безопасности»
Правила пожарной безопасности при пользовании печным отоплением
«Стратегия социальной поддержки населения субъектов РФ 2023» — Общественный обзор
Мойти руки перед едой!
Уплатите налоги не позднее 1 декабря 2022
Рациональное питание
20 октября инсталляцию «Пропавшие в кинохронике» можно посетить бесплатно.
«Сообщи, где торгуют смертью»
Профилактика алкоголизма
Без памяти о прошлом, нет будущего. Мы помним…
Афиши Домов культуры Приморского культурного центра
Дорогие учителя и все педагогические работники!
Уважаемые работники образования и ветераны педагогического труда, сердечно поздравляю вас с профессиональным праздником!
Напоминаем порядок выплаты пособия на детей от 8 до 17 лет
Обращение к Губернатору Санкт-Петербурга А.Д. Беглову от депутатов Муниципального Совета
Конкурс детского рисунка
День социально-правовой информации
Конкурс этнокультурных выставочных проектов «Виртуальный тур по многонациональной России»
Памятка по пожарной безопасности в осенний период
Международный день пожилых людей
90 лет ГРАЖДАНСКОЙ ОБОРОНЕ: важнейший опыт в достижении целей по защите населения и государства в целом
Муниципальные общественные палаты: новый статус и полномочия
Оздоровительная гимнастика плейстик
Оздоровительная гимнастика плейстик
Свежий номер газеты «Коломяжские вести» — сентябрь, 2022
Опрос «Доступность услуг для молодёжи в муниципальных парках культуры и отдыха», проводимого Общественной палатой РФ
Уважаемые жители города!
Диспансеризация
За этот год более 6 тысяч жителей Санкт-Петербурга и Ленинградской области получили консультации через официальное сообщество Отделения ПФР в «ВКонтакте»
Бесплатная юридическая помощь беженцам и вынужденным переселенцам
Бесплатный онлайн вебинар для субъектов малого предпринимательства
Всероссийский день ходьбы
Конкурс «Хрустальная нота — 2022»
ПФР: вопрос-ответ
Приглашаем на концертную программу легендарного ансамбля «Дружба» им. А.А. Броневицкого «Вчера, Сегодня, Завтра …».
Акция «Чистые Коломяги»
Акция «Чистые Коломяги»
ГАТИ информирует
Бесплатный вход в Музей гигиены
Всемирный день сердца — 29 сентября
Сводка аварийности с участием несовершеннолетних на дорогах Приморского района г. Санкт-Петербурга — август 2022
Уроки безопасности в школах
Уроки безопасности в школах
Незаконный оборот оружия
Афиша на сентябрь Домов культуры Приморского культурного центра
Внимание, конкурс!
Вакцинация от гриппа
Вакцинация от гриппа
Незаконное нанесение граффити
Безопасность детей в бассейнах и водоемах
Фестиваль «Перерыв на кино»
Поздравление Председателя Законодательного Собрания Санкт-Петербурга А.Н. Бельского с Днём знаний
Информация об организации отдыха детей и молодежи Приморского района Санкт-Петербурга в 2022 году
Свежий номер газеты «Коломяжские вести» — август, 2022
1 сентября инспекторы отдела надзорной деятельности и профилактической работы Приморского района управления по Приморскому району ГУ МЧС России по г. Санкт-Петербургу проведут открытые уроки на территории района.
Открыта запись на спектакль
Серия экологических благотворительных акций «ЗЕЛЁНАЯ СУББОТА»
22 августа — День Государственного флага Российской Федерации
Спектакль «Весёлый светофор»
Приглашаем принять участие в велопробеге
Всероссийская акция «Бабушкина забота»
Бесплатные занятия по адаптивной физкультуре
Военная служба по контракту
Последствия алкоголизма
Военная служба по контракту
Последствия алкоголизма
Как узнать о привлечении к административной ответственности за незаконное размещение транспортного средства на внутриквартальной территории
Поздравление Председателя Законодательного Собрания Санкт-Петербурга А.Н. Бельского с Днём строителя
По телефону и в онлайн-чате на сайте ПФР любой гражданин может получить информацию по всем вопросам, связанным с мерами социальной поддержки.
Терроризм – угроза обществу!
Терроризм – угроза обществу!
Пожарно-спасательный спорт в 2022 году отмечает свое 85-летие
Пожарно-спасательный спорт в 2022 году отмечает свое 85-летие
Получение ключа электронной подписи
Любителей ложного вызова ждут реальные штрафы
Не руби с плеча!
Безопасный дачный отдых
Безопасность в лесу
Приглашаем принять участие в шахматном турнире
Начались работы по благоустройству территории с заменой детского игрового оборудования по адресу: ул. Афонская, д.24, к.1, 2
«Набор первоклассника»
С Днем Военно-Морского флота!
Парад кораблей «Семь футов под килем!»
Сводка аварийности с участием несовершеннолетних на дорогах Приморского района г. Санкт-Петербурга — июль 2022
31 июля – День Военно-Морского флота Российской Федерации
МЧС — за безопасные каникулы!
Викторина по пожарной безопасности
Профилактика пожаров
Фестиваль Семья Music Fest в Таврическом саду
Профилактика пожаров
Приглашаем посетить бесплатную экскурсию «Санкт-Петербург – город многих конфессий», с посещением Музея Религии
III место в номинации «Лидеры местного самоуправления»!
Свежий номер газеты «Коломяжские вести» — июль, 2022
Конференция, приуроченная ко Дню торговли
Вакансии АО «Коломяжское»
План мероприятий для обеспечения досуга посетителей пляжа для маломобильных групп населения в период с 01.06.2022 по 30.09.2022 год
Стартовал Всероссийский грантовый конкурс молодёжных инициатив Росмолодёжь.Гранты: «МИКРОГРАНТЫ»
Есть вопрос? Росреестр Петербурга проведет горячую линию для кадастровых инженеров
СПБ ГБУ ЦСРИИДИ Приморского района приглашает инвалидов трудоспособного возраста и детей-инвалидов на социальную реабилитацию
С 1 сентября 2022 года вступают в силу правила действий членов экипажа воздушного судна при пресечении противоправных действий на борту
Уважаемые жители Приморского района!
Уважаемые жители Приморского района!
Уважаемые жители Приморского района!
Уважаемые жители Приморского района!
Уважаемые жители Приморского района!
Информация от ФНС
Информация от ФНС
Питание детей летом: 7 советов родителям
Уважаемые жители Приморского района!
Внимание! Общественное голосование!
Правила безопасности
Проведен рейд на водных объектах района с целью недопущения травмирования и гибели людей
Пропавшие в кинохронике — бесплатные дни
Внимание! Общественное голосование!
В Санкт-Петербурге и Ленинградской области увеличился размер ежемесячной выплаты из средств материнского (семейного) капитала
Служить в полиции — престижно!
Фестиваль спасателей «Мой папа – пожарный, мой папа – герой» пройдёт на Финском заливе
Если аномальная жара
Статьи от ГУ МЧС
Уважаемые жители!
Профилактическое мероприятие «Такси»
Военная служба по контракту
Уважаемые жители!
Профилактическое мероприятие «Такси»
Свежий номер газеты «Коломяжские вести» — июнь, 2022
О проверке готовности РАСЦО
Уважаемые жители МО Коломяги, приглашаем посетить бесплатные автобусные экскурсии в июле!
Приглашаем принять участие до 30.06 в увлекательном онлайн-квесте «Кольца Олимпиады»
22 июня — День памяти и скорби
Уважаемые налогоплательщики!
Уважаемые налогоплательщики!
Ответственность за нарушение требований по обеспечению безопасного использования и содержание внутридомового и внутриквартирного газового оборудования
Вода – друг или враг?
Порядок проведения Всероссийской молодежной акции «Свеча памяти»
Уважаемые медицинские работники!
Сбор гуманитарной помощи
Молодежный карьерный форум
Не оставляйте детей без присмотра!
Фестиваль короткометражных фильмов о Великой Отечественной войне
Сводка аварийности с участием несовершеннолетних на дорогах Приморского района г. Санкт-Петербурга
Сводка аварийности с участием несовершеннолетних на дорогах Приморского района г. Санкт-Петербурга
О пищевой безопасности во время отдыха с детьми
12 июня — День России!
Бесплатный доступ к курсам платформы для детей из многодетных малоимущих семей
МЧС России проводит конкурс музыкального творчества пожарных и спасателей
Усилена административная ответственность за нарушение требований пожарной безопасности
На территории киностудии «Ленфильм» начал работу новый масштабный проект команды «Невский баталист» о кинодокументалистах ХХ века – «Пропавшие в кинохронике»
Экологическая акция «Мой дом — Земля!»
Экскурсия в Новгород
Летний пожароопасный период
«День эколога – 2022»
«Семейная мозаика» — 2022
С Днем защиты детей!
В Санкт-Петербурге функционирует молодёжное пространство «ПРОСТО»
Соглашение о взаимодействии уполномоченного по правам ребёнка в Санкт-Петербурге с Отделением ПФР по Санкт-Петербургу и Ленинградской области
Ежемесячная выплата семьям с детьми от 8 до 17 лет
Острые кишечные инфекции
Фестиваль «За тех, кто в море»
Экскурсия в Псков
Поздравление Губернатора Александра Беглова и Председателя Законодательного Собрания Александра Бельского с Днем города — Днем основания Санкт-Петербурга
Профилактическое мероприятие «Автобус»
Конференция, приуроченная ко Дню российского предпринимательства
Свежий номер газеты «Коломяжские вести» — май, 2022
Профилактическое мероприятие «Автобус»
«Лучший предприниматель Санкт-Петербурга — 2022»
Всемирный день без табака
Всемирный день без табака
Защитите свое здоровье
Досааф России
Петербургский дуб поборется за статус Российского дерева года
Экскурсия в Ивангород
Ночь музеев
Билеты на цирковое представление!
Инспекторы ОНДПР Приморского района управления по Приморскому району ГУ МЧС России по г. Санкт-Петербургу провели учебно-тренировочную эвакуацию.
Акция «Ребенок наше счастье» в рамках Дня защиты детей
Безопасность на водных объектах
Награждение участников конкурса детского рисунка по правилам дорожного движения «В гостях у зебры»
Билеты на музыкальный вечер «О чем поют слова»
День борьбы с артериальной гипертонией
Как выплачиваются новые пособия на детей от 8 до 17 лет
Сводка аварийности с участием несовершеннолетних на дорогах Приморского района г. Санкт-Петербурга
Памятка населению по правилам безопасности на водных объектах Санкт-Петербурга в летний период
Памятка населению по правилам безопасности на водных объектах Санкт-Петербурга в летний период
Сводка аварийности с участием несовершеннолетних на дорогах Приморского района г. Санкт-Петербурга
Приглашаем посетить бесплатную автобусную экскурсию с посещением военно-исторической экспозиции «Победный май»
С наступающим Днем Победы!
Поздравление Губернатора Санкт-Петербурга Александра Беглова и председателя Законодательного Собрания Санкт-Петербурга Александра Бельского с Днем Победы
Военная прокуратура Санкт-Петербургского гарнизона готова оперативно отреагировать на нарушение закона в ходе весеннего призыва 2022 года
Информация для потребителей
Наезд на животное влечет за собой ответственность!
Фестиваль народной песни
Полиция Приморского района предупреждает!
Информация о проведении регионального дня приёма граждан
Памятка по пожарной безопасности в весенний период
Межрайонная ИФНС России № 26 по Санкт-Петербургу
Акция «Чистые Коломяги»
Пункты сбора гуманитарной помощи
Пункты сбора гуманитарной помощи
Более 100 банков готовы оказать помощь семьям в распоряжении материнским капиталом
В Санкт-Петербурге и Ленинградской области проживает 6 747 чернобыльцев
Свежий номер газеты «Коломяжские вести» — апрель, 2022
Внимание!
Внимание!
Осторожно! Телефонные мошенники!
«В памяти поколений»
«В памяти поколений»
Акция «Переходи дорогу правильно»
Ждём работы ваших детей на конкурс рисунка по правилам дорожного движения!
День местного самоуправления — 21 апреля
Уважаемые жители МО Коломяги, приглашаем посетить бесплатную автобусную «Экскурсию с посещением Усадьбы Богословка»!
График выплаты пенсий, ЕДВ и иных социальных выплат в мае 2022 года
Информация по вопросам организации ТОС
Служба в полиции
20 апреля — День донора
Условия обращения за ежемесячным пособием для беременных женщин с низкими доходами изменились
Практическая отработка по антитеррористической защищенности на базе школы №555 «Белогорье»
Азбука Интернета
Размеры выплат и пособий
«Пять лет под шпилем»
Сводка аварийности с участием несовершеннолетних на дорогах Приморского района г. Санкт-Петербурга
12 апреля – День космонавтики
Встреча с известным российский лётчиком — космонавтом, Героем Российской Федерации Андреем Ивановичем Борисенко
Памятка о размещении ТС во дворах
Нано-марафон по скандинавской ходьбе, посвященный 11-летию создания группы «Коломяжские нордики»
Уважаемые жители МО Коломяги, приглашаем 12.04. с 11:00 записаться на бесплатную автобусную экскурсию
Стартовал конкурсный отбор в Молодежный парламент при Законодательном Собрании Санкт-Петербурга
Просьба о помощи. В Коломягах пропал ребенок!
Информация от «ОАО РЖД»
Продолжается подписная компания на 2022 год
В 2022 году исполняется 90 лет со дня образования гражданской обороны в России
Пожарная безопасность при весеннем пале травы
Вопросы по взаимодействию и реализации совместных проектов по оказанию помощи инвалидам по зрению
Ребенок нашелся!
Всемирный день здоровья
Дети России — 2022
Стартовал прием заявок в программу «Инициативные инвестиционные проекты для развития муниципальной экономики»
В прокуратуре с понедельника стартует «горячая линия» по вопросам питания детей в общеобразовательных организациях
Важные даты: 95 лет со Дня создания органов государственного пожарного надзора
Глава МО Коломяги Сергей Эдуардович Борисенко отмечен почетной грамотой за существенный вклад в развитие местного самоуправления
Уважаемые жители!
Акция «Книги — Донбассу»
Уважаемые жители МО Коломяги, приглашаем посетить бесплатную автобусную экскурсию «Санкт-Петербург – город многих конфессий»
Рейд по выходу на лед
Информация для желающих поступить в качестве курсанта в Санкт-Петербургский Университет Государственной противопожарной службы МЧС России
Ответственность за порчу земли
Памятка по сбору отходов
Муниципальный Совет теперь в телеграм
Свежий номер газеты «Коломяжские вести» — март, 2022
Старожил Коломяг
«Приют для добрых душ»
График выплаты пенсий, ЕДВ и иных социальных выплат в апреле 2022 года в отделениях почтовой связи Санкт-Петербурга:
Дорогие наши жители! Взрослые и дети!
Профилактическое мероприятие «Автобус»
Подведены итоги городского этапов конкурса детско-юношеского творчества по пожарной безопасности в рамках Всероссийского конкурса «Неопалимая Купина»
Профилактическое мероприятие «Автобус»
#МойКрым78: «Единая Россия» к 18 марта приглашает петербужцев рассказать свои истории о Крыме в соцсетях
Профилактическое мероприятие «ЕВРОПРОТОКОЛ»
«Люди по-разному переживают стресс: кто-то через свою полезность, а кто-то – замирая», – психологи волонтерского центра «Единой России» рассказали о первых днях работы
«Работайте, братья!»
Председатель Госдумы РФ В.Володин: «Настал момент истины»
Фестиваль по скандинавской ходьбе, посвященный Международному женскому дню
Уважаемые жители МО Коломяги, приглашаем посетить бесплатные автобусные экскурсии!
Оказание первой помощи
Устроиться на работу по электронной трудовой книжке просто
Оказание первой помощи
«Единая Россия» объявила о старте акции «Zащитникам Отечества» в Петербурге
Петербуржцы собрали пять тонн вещей для центра распределения гуманитарной помощи в Ростовской области
8 марта – Международный женский день
Дорогие петербурженки!
Дорогие петербурженки!
8 марта – Международный женский день
Дорогие женщины Приморского района!
Налоговые льготы
3 марта ярмарка вакансий для испытывающих трудности в поиске работы
График выплаты пенсий — март, 2022
Стартовал Открытый городской конкурс-фестиваль исполнительского искусства им. В.П. Соловьева-Седого «Город над вольной Невой»
Информационные материалы по транспортной реформе
Информация от Федеральной налоговой службы
Свежий номер газеты «Коломяжские вести» — февраль, 2022
Светлая память
Транспорт – 2022. Как будет вводиться Новая модель транспортного обслуживания и что она изменит?
О возврате денежных средств за подарочные карты и сертификаты
Безопасный двор
23 февраля – День защитника Отечества
Уважаемые защитники Отечества!
Подведены итоги конкурса «Мы помним подвиг твой, блокадный Ленинград!»
Прогуляться по залам первого в России музея пожарного дела можно виртуально
Автоинспекторы Приморского района г. Санкт-Петербурга напоминают водителям об ответственности за управление транспортным средством в состоянии опьянения
Спасатели напоминают: «Препятствуя проезду пожарных, ты обрываешь чью-то жизнь»!
Традиционное вручение медалей «Рожденному в Коломягах»
Прогуляться по залам первого в России музея пожарного дела можно виртуально
Бесплатное обучение для инвалидов и лиц с ограниченными возможностями
Объявление о вакансии
Общероссийская акция Хартия «Цифровая этика детства»
«Педиатрический» COVID-19 и вакцинация
ФНС информирует
Подвиги пожарных в годы ВОВ
Социальная догазификация в Санкт-Петербурге
#жкхменяется
Свежий номер газеты «Коломяжские вести» — январь, 2022
Вакцинация в детских поликлиниках
Приглашение на работу
Год новый – отчетность прежняя!
Конкурс рисунка, посвящённый 78 годовщине полного освобождения Ленинграда от фашистской блокады
Правила безопасности на водных объектах в зимний период
Фонд «Круг добра»
Новый опрос «Отношение петербуржцев к продолжительности новогодних каникул»
Вступили с силу поправки в Уголовный и Уголовно-процессуальный кодексы Российской Федерации в сфере дорожной безопасности
Пешеходы! Не пренебрегайте собственной безопасностью
«Характер закаляют трудности»
Портал «Культура Петербурга» — все культурные события в одном информационном пространстве
«Здравствуй, дедушка Мороз»
С наступающим 2022 годом и Рождеством!
«Человек года – 2021»
Новый опрос «О чем мечтают петербуржцы?»
Награждение участников конкурса рисунков «Россия – Родина моя»
Программа «К защите Родины – готов!»
Оперативно-профилактическое мероприятие «Внимание дети»
Оперативно-профилактическое мероприятие «Внимание дети»
Всероссийская акция «Согревая сердца»
Первый лед. Инспекторы МЧС и ОСВОД предупреждают об опасности
Как запустить салют, чтобы не оказаться на больничной койке? Управление по Приморскому району Главного управления МЧС России по г. Санкт-Петербургу напоминает основные правила безопасности
Новогодний выпуск газеты «Коломяжские вести» — декабрь, 2021
27 декабря – День спасателя Российской Федерации
Новый год без долгов
Этно-квест «Моя Россия!»
Дополнительное профилактическое мероприятие «Автобус»
Увидел открытый люк? Звони!
Конкурс детского рисунка «Россия — Родина моя»
Памятка по пожарной безопасности в новогодние праздники
«Читатель года – 2021»
Билеты на новогоднее представление «Как Баба-Яга, Кикимора и Лихо Новый год спасали»
В Петербурге объявлен «желтый» уровень погодной опасности из-за гололеда
«Я хочу строить корабли!»
Акция «Я НА СВЯЗИ»
ВНИМАНИЮ ПОТРЕБИТЕЛЯ: Что делать авиапассажиру, если задержан рейс
Подведены итоги Конкурса на лучшую организацию работы с молодежью на предприятиях и организациях Санкт-Петербурга
Невский экологический оператор — организация работы с потребителями твердых коммунальных отходов
Уважаемые жители и гости города Санкт-Петербурга!
Городской медицинский центр вакцинации информирует
Лично-командное первенство Санкт-Петербургского института войск национальной гвардии Российской Федерации по рукопашному бою памяти Героя Советского Союза Ашика Михаила Владимировича
Катки и лыжные трассы Санкт-Петербурга
Опрос «Какое кино предпочитают смотреть петербуржцы?»
Профилактические рейды (обходы) КРД
Районнный этап Всероссийского детско-юношеского творчества по пожарной безопасности «Неопалимая купина»
28 ноября – День матери
Опрос «Каких домашних животных предпочитают заводить петербуржцы?»
Профилактические мероприятия по предупреждению наездов на пешеходов
Управление ФНС России по Санкт-Петербурга информирует
Пожарная безопасность в зимнее время
Профилактическое мероприятие «Такси»
Выход на лед опасен
Запустили новый онлайн-ресурс для обращений малого и среднего бизнеса
С 18 ноября по 1 декабря на портале ekp.spb.ru и в мобильном приложении Единой карты петербуржца проходит новый опрос «Петербуржцы о социологических опросах»
Свежий номер газеты «Коломяжские вести» — ноябрь, 2021
В Санкт-Петербурге расширены условия финансовой поддержки, предоставляемой некоммерческой организацией «Фонд содействия кредитованию малого и среднего бизнеса, микрокредитная компания»
С 15 по 28 ноября на портале ekp.spb.ru и в мобильном приложении Единой карты петербуржца проходит новый опрос «Бумажные или электронные трудовые книжки – что выбирают петербуржцы?».
Итоги конкурса детского рисунка «Моя планета»
Международный день отказа от курения
Опасные отходы: утилизируем правильно!
Вакцинация от covid 19
О внесении изменений в Приказ Комитета имущественных отношений Санкт-Петербурга от 28.11.2018 №130-п
Социальный контракт: помощь в трудной жизненной ситуации, при трудоустройстве, для организации бизнеса
Срок уплаты имущественных налогов — не позднее 1 декабря 2021 года
Профилактическое мероприятие «Автобус»
Сводка аварийности с участием несовершеннолетних на дорогах Приморского района Санкт-Петербурга в период 01.10.2021 по 31.10.2021 года
Профилактическое мероприятие «Автобус»
Оперативно-профилактическое мероприятие «Внимание дети»
Главное управление МЧС России по Санкт-Петербургу проводит онлайн-опрос по вопросам профилактики коррупции
На сервисе «Городской диалог» проекта Единая карта петербуржца с 28 октября по 10 ноября проходит опрос «Кто ходит в гости? Молодежь!»
«Совершая покупки, берут ли петербуржцы чеки?»
С 1 по 19 ноября 2021 года на образовательной платформе Учи.ру пройдет Всероссийская онлайн олимпиада для учащихся 1-9 классов «Безопасные дороги»
Единая городская регистратура
С 8 по 21 ноября на портале ekp.spb.ru и в мобильном приложении Единой карты петербуржца проходит новый опрос «Могут ли старые вещи получить новую жизнь?»
Памятка паспортно-визового центра
Социальный контракт — программа новых возможностей
Дорогие наши жители, приглашаем вас получить билеты на спектакль «Очень простая история»
Продолжается запись на балет для детей!
Всероссийская тренировка по гражданской обороне
Единая карта петербуржца запускает новый сервис «Афиша»
«Какие изобретения XX и XXI веков петербуржцы считают изменившими жизнь человечества»
Ведомственные издания МЧС России: актуально, полезно, интересно
Управление ФНС России по Санкт-Петербурга
Новый опрос «Пользуются ли петербуржцы кешбэком?» доступен на портале ekp.spb.ru и в мобильном приложении Единой карты петербуржца!
Свежий номер газеты «Коломяжские вести» — октябрь, 2021
Сводка аварийности с участием несовершеннолетних на дорогах Приморского района Санкт-Петербурга в период 01.09.2021 по 30.09.2021 года
Министерство просвещения Российской Федерации информирует
Конкурс поделок из природных материалов
На портале Единой карты петербуржца запущен новый опрос «Городского диалога» «Каким образом петербуржцы предпочитают получать государственные услуги»
Как узнать переписчика?
Военный комиссариат Приморского района города Санкт-Петербурга информирует
Конкурс детского рисунка «Моя планета»
Список помещений для размещения переписных участков
Профессиональный-реабилитационный центр приглашает на обучение
Населению o правилах пожарной безопасности в осенний период
«80+, на старт!»
Используйте световозвращатели!
Мобильное приложение ФНС России
Пребывание в мобилизационном людском резерве
Уважаемые жители МО Коломяги, открыта онлайн запись на бесплатные автобусные экскурсии!
Свежий номер газеты «Коломяжские вести» — сентябрь, 2021
Наши ветераны
Уважаемые жители МО Коломяги, открыта онлайн запись на бесплатные автобусные экскурсии!
Дорогие жители, приглашаем вас получить билеты на спектакль «О времена, о нравы!»
Всемирный день сердца (World Heart Day) отмечается по инициативе Всемирной федерации сердца с 1999 года ежегодно 29 сентября
Проведение смотра-конкурса на лучшее защитное сооружение гражданской обороны
Осенний Кубок чистоты Санкт-Петербурга 2021
Как сочетать вакцинацию от гриппа с вакцинацией от COVID-19 и после перенесенного заболевания?
Уполномоченный по правам ребенка в Санкт-Петербурге информирует
Меры пожарной безопасности при эксплуатации электрооборудования
Единовременная выплата пенсионерам 10 тысяч рублей в сентябре 2021 года
В СЗИУ РАНХиГС продолжается набор слушателей на бесплатное обучение
Офицерам запаса, сержантам и солдатам предлагают вступить в мобилизационный людской резерв
Вдохновение Арктики
Отдельный Батальон патрульно-постовой службы полиции по Приморскому району приглашает на работу
В связи с началом учебного года на территории Приморского района Санкт-Петербурга еженедельно проходит мероприятие «Детская площадка»
Санкт-Петербургская транспортная прокуратура разъясняет о порядке обеспечения работников средствами индивидуальной защиты
Кто в ответе за безнадзорных животных на улицах города?
Реорганизация территориальных отделов полиции
Петербуржцев приглашают принять участие в акции «Дети вместо цветов»
Уважаемые жители МО Коломяги, приглашаем Вас на экскурсии!
Жителю Коломяг Лидии Михайловне Шереметьевой исполнилось 90 лет
Поехал? Пристегнись!
Городским центром медицинской профилактики, в соответствии с Межведомственным планом мероприятий по предупреждению смерти детей от внешних причин (суицидов) сделаны видеозаписи лекций ведущих специалистов по данной проблем
Инспекторы ОНДПР Приморского района осуществляют рейды на территории района
Профилактические мероприятия «Внимание-Дети!», «Пристегнись», «Юный пешеход», «Юный Велосипедист»
О мерах профилактики отравлений грибами
О профилактике пищевых отравлений и инфекционных болезней, передающихся с пищей
О профилактике пищевых отравлений и инфекционных болезней, передающихся с пищей
Оперативно-профилактическое мероприятие «Такси»
Мини-приложение для социальной сети «ВКонтакте» для оказания услуги «Запись на прием к врачу»
Акция «Будь заметнее на дороге»
Свежий номер газеты «Коломяжские вести» — август, 2021
Международный молодежный конкурс социальной антикоррупционной рекламы «ВМЕСТЕ ПРОТИВ КОРРУПЦИИ!»
Будь заметнее на дороге
Всероссийский молодежный гражданский образовательный форум «Выше Крыши»
Каникулы с общественным советом
Уважаемые жители МО Коломяги, приглашаем вас на экскурсию в Старую Ладогу!
Курение может стать причиной пожара
«Безопасный путь-дорога»
Инициативы россиян будут рассматриваться через портал «Российская общественная инициатива», получат поддержку народа и будут реализованы
Сказочный мир в каждой поделке
Приглашаем жителей округа принять участие в конкурсе цветников «Цветущие Коломяги»!
Национальный антитеррористический комитет информирует!
В Приморском районе госинспектора взяли под контроль автобусы ( 2 этап)
СВОДКА АВАРИЙНОСТИ С УЧАСТИЕМ НЕСОВЕРШЕННОЛЕТНИХ НА ДОРОГАХ ПРИМОРСКОГО РАЙОНА Г.САНКТ-ПЕТЕРБУРГА В ПЕРИОД С 22.07.2021 по 28.07.2021 года
Памятка о соблюдении правил безопасного поведения при сильном ливне (дожде)
Всенародный Фестиваль-конкурс «СОЗВУЧИЕ СЕРДЕЦ» в поддержку Президента Российской Федерации
Спортсмены, представляющие Санкт-Петербург, включенные в расширенный состав сборной команды России, сформированной Паралимпийским комитетом России для участия в XVI Паралимпийских летних играх в г.Токио (Япония)
Информация по предоставлению государственной социальной помощи на основании социального контракта
Природоохранной прокуратурой г. Санкт-Петербурга проведена проверка по факту уничтожения зеленых насаждений
Сообщение о возможном установлении публичного сервитута «Реконструкция и эксплуатация объекта электросетевого хозяйства КВЛ 220 кВ Парголово — Проспект Испытателей», и его неотъемлемых технологических частей
Уважаемые жители МО Коломяги, приглашаем Вас на экскурсии в августе!
Доступ к береговой полосе – право, а не привилегия!
«Вакцинация нации — сила государства!» — сводный обзор субъектов РФ
В Санкт-Петербурге стартовала заявочная кампания на бесплатную социальную газификацию домовладений
Кубок на горе Нелюбина
Планируется полное перекрытие железнодорожного переезда «Торфяной» 11 км.203 м
Военно-морской флот отмечает 325-летие!
«Детская площадка»
«Безопасные каникулы» в летнем лагере
Результаты общественного голосования по выбору «флагманского» проекта Приморского района Санкт-Петербурга в рамках ежегодного конкурса «Родной район»
Свежий номер газеты «Коломяжские вести» — июль, 2021
О профилактике ботулизма
Сводка аварийности с участием несовершеннолетних на дорогах Приморского района г. Санкт-Петербурга в период с 01.05.2021 по 05.07.2021 года
Уважаемый пациент!
Возобновился проект «Подвези врача»
В Приморском районе госинспектора взяли под контроль автобусы
Купания в несанкционированных местах – серьезный риск для жизни!
Санкт-Петербургская транспортная прокуратура разъясняет о порядке рассмотрения обращений о фактах коррупции
Управление Роспотребнадзора по городу Санкт-Петербургу с 5 по 16 июля 2021 года открывает работу «горячей линии» по туристическим услугам и инфекционным угрозам за рубежом
Госстройнадзор Санкт-Петербурга выдал разрешение на ввод в эксплуатацию нового детского сада в ЖК Ultra City в Приморском районе
Адреса нахождения помещений для голосования на предстоящих выборах
Информация
Всероссийский молодежный конкурс медиапроектов в сфере урбанистики
Торжественные проводы коломяжских призывников
Конкурс «Супер семья!»
Уважаемые жители МО Коломяги приглашаем Вас на экскурсии в июле!
Пожарная безопасность в летний период
Фотоконкурс «Мои Коломяги»
Фотоконкурс «Мои Коломяги»
В связи с участившимися случаями незаконной рубки или повреждения зеленых насаждений природоохранная прокуратура г. Санкт-Петербурга разъясняет следующее.
Билеты на детский спектакль «Жар-птица»
5 июня — Всемирный день охраны окружающей среды!
Невская краса — 2021
Стартовала Х Всероссийская акция «Добровольцы — детям»
Итоги деятельности депутата Государственной Думы ФС РФ Владимира Катенева в VII созыве
Приглашаем принять участие в конкурсе декоративно-прикладного творчества «Семейная мозаика»
Соблюдение правил дорожного движения – обязанность не только водителей, но и пешеходов!
Санкт-Петербургская транспортная прокуратура разъясняет об ограничении пассивного избирательного права причастных к деятельности экстремистских или террористических организаций лиц
Свежий номер газеты «Коломяжские вести» — июнь, 2021
VII Всероссийская премия «За верность науке»
Управление по Приморскому району ГУ МЧС России по Санкт-Петербургу проводит увлекательные экскурсии продолжаются
Управление по Приморскому району ГУ МЧС России по Санкт-Петербургу с заботой о безопасности гражда
Госавтоинспекция Приморского района Санкт-Петербурга перед началом летнего сезона, а также перед массовыми выездами детей в летние оздоровительные лагеря напоминает о правилах перевозки групп детей автобусами
СПб ГБУ «Ленсвет» информирует о работе сервиса «Вопросы и заявки»
СПб ГБУ «Ленсвет» приглашает кандидатов на вакансию электромонтёр по эксплуатации распределительных сетей 2-3 разряда
12 июня – День России
12 июня – День России
Проект ФизкультРАСС «Ни минуты не теряя, мы здоровье укрепляем!»
Аварийность по Приморскому району за 5 месяцев
Велобиатлон в Коломягах
«Мой папа — герой!»
Внимание владельцам оружия!
План мероприятий для обеспечения досуга посетителей пляжа Курортного района
Городской фестиваль славянской культуры «Славянская ярмарка»
Фестиваль «Мой папа – герой»
Пожароопасный период 2021 года
«Рельсы, которые видели революцию»
Азбука безопасности: правила поведения на воде в летнее время
Санкт-Петербургская транспортная прокуратура разъясняет об антитеррористической защите детских оздоровительных лагерей
27 мая — День города — День основания Санкт-Петербурга
Фестиваль мороженого
Приглашаем юных жителей округа и их родителей на День двора, посвящённый Дню защиты детей
Тебе от 14 до 35 лет? Тогда приходи к нам 1 июня с 12.00 до 18.00 на городской молодежный фестиваль «Будь НЕзависим» в Петропавловскую крепость, а именно на территорию Нарышкина бастиона и атриума Комендантского дома
Проверка готовности лагерей
Обращайтесь в Центр контроля качества
Победители и участники регионального этапа V Всероссийского конкурса «История местного самоуправления моего края»
II Открытый международный конкурс вокального искусства «НАШ БЕЗОПАСНЫЙ МИР. ГОЛОС БЕЗОПАСНОСТИ»
Брошюра по экологии
Всероссийский ежегодный открытый дистанционный (online) музыкальный фестиваль – конкурс военной и патриотической песни «День России!»
Уважаемые собственники помещений в многоквартирном доме!
ОГИБДД УМВД России по Приморскому району информирует
Акция «Медаль моей памяти» продлена до 19 сентября 2021 года
Голосование за очередность реализации объектов благоустройства
Санкт-Петербургская транспортная прокуратура разъясняет о закреплении возможности взыскания процессуальных издержек с лиц, уголовное дело или уголовное преследование в отношении которых прекращено по основаниям, не дающим права на реабилитацию.
Победители конкурса муниципальных и районных СМИ
Уважаемые жители МО Коломяги, приглашаем вас на экскурсию «Сортавала. Рускеала»
Как действуют мошенники?
УМВД по Приморскому району приглашает на службу
Свежий номер газеты «Коломяжские вести» — май, 2021
Яблони в ДИПИ №1
Общественный совет по развитию малого предпринимательства при губернаторе Санкт-Петербурга
Онлайн-голосование за очередность реализации объектов благоустройства
Премия «Экология – дело каждого»
Награждение участников акции «Чистые Коломяги»
Шахматный турнир
Аллея Памяти, посвященная 76-летию Победы в Великой Отечественной войне
«Европротокол»
Приглашаем на семейные старты
Рейды к летнему пожароопасному периоду 2021
«Настоящий учитель»
Подарки ветеранам
Уважаемые жители муниципального образования Коломяги!
30 апреля 2021 года утреннее совещание в УМВД России по Приморскому району г. СПб началось не с оперативной сводки
Рейды к летнему пожароопасному периоду — 2021
Профилактическая акция «Переходи дорогу правильно»
Информация о мерах профилактического характера в целях предотвращения участия несовершеннолетних в протестных акциях, а так же об ответственности за участие в несанкционированных протестных акциях
Информация о мерах профилактического характера в целях предотвращения участия несовершеннолетних в протестных акциях, а так же об ответственности за участие в несанкционированных протестных акциях
Правила перевозки рейсами ПАО «Аэрофлот» ветеранов и инвалидов ВОВ, несовершеннолетних узников концлагерей и сопровождающих их лиц в рамах акции, посвященной 76-й годовщине Победы в Великой Отечественной войне
Поздравление с Днём Победы от Главы Приморского района Н.Г. Цед
Все о вакцинации от новой коронавирусной инфекции
Осторожно, пожар!
Осторожно, пожар!
Опрос жителей города в целях оценки качества проведения весенней уборки
Стартовало голосование за благоустройство 22 территорий Петербурга
Подготовка к новому учебному году
Отправлено повторное обращение в ГКУ ДОДД относительно необходимости обустройства наземных пешеходных переходов через Нижне-Каменскую ул.
Отправлено повторное обращение в ГКУ ДОДД относительно необходимости обустройства наземных пешеходных переходов через Нижне-Каменскую ул.
Санкт-Петербургская транспортная прокуратура разъясняет про ответственность за нарушения в области культивирования наркосодержащих растений
С 1 апреля 2021 года в Российской Федерации стартовал весенний призыв на военную службу.
Памятки по запрету купанию
Билеты на праздничный концерт ко Дню Победы
Фестиваль «Звезда спасения»
Фестиваль «Звезда спасения»
Кадастровая палата запустит горячую линию для жителей России
Где заканчивается власть женщин
Памятка по пожарной безопасности в весенний период
Сигнал о пожаре на Чернобыльской атомной станции
Пал сухой травы и отдых на природе. Ответственность.
Информация об организации отдыха детей и молодежи Приморского района Санкт-Петербурга в 2021 году
Свежий номер газеты «Коломяжские вести» — апрель, 2021
Информация об организации отдыха детей и молодежи Приморского района Санкт-Петербурга в 2021 году
Действия населения при радиоактивном загрязнении
Алгоритм действий в случае возникновения пожара
15 апреля в муниципалитете состоялось чествование малолетних узников фашистских концлагерей.
Запись на экскурсию в г. Извара с посещением музея-усадьбы им. Н.Рериха
Андрей Турчак: «Единая Россия» обратится к Владимиру Путину с предложением запустить программу развития инфраструктурных проектов в регионах
Субботник в Приморском районе
Конкурс «Комикс безопасности»
Останови огонь!
Вакцинация от новой коронавирусной инфекции
О внесении изменений в приказ Комитета имущественных отношений Санкт-Петербурга от 28.11.2018 № 130-и
12 апреля – День космонавтики
С днем основания Приморского района! В этом году ему исполнилось 85 лет!
Отлов безнадзорных животных
Акция «Медаль моей памяти» продлена до 17 мая 2021 года
Военный комиссариат Приморского района города Санкт-Петербурга информирует:
Временное трудоустройство несовершеннолетних граждан
Временное трудоустройство несовершеннолетних граждан
Бесплатные консультации
МЧС: Что взять с собой в поход
Заместитель прокурора Санкт-Петербурга проведет личный прием граждан в Приморском районе
В Мариинском дворце открылась выставка, посвященная 800-летию со дня рождения Святого благоверного князя Александра Невского
О льготах по транспортному налогу для физических лиц
О порядке предоставления льгот физическим лицам по имущественным налогам
Как действуют мошенники
Особенности кампании по записи в 1 класс
Новости УМВД России по Приморскому району
О рекомендациях как бороться с клещами домашней пыли
Свежий номер газеты «Коломяжские вести» — март, 2021
Телеграм-канал: «#МыПетербург»
Новости УМВД России по Приморскому району
Вячеслав Макаров: Законопроект об индексации выплат на детей привязывает индексацию ежемесячной выплаты к среднедушевому доходу семьи
Осторожнo — мошенники!
Информационное сообщение
Информационное сообщение
I этап Общероссийской акции «Сообщи, где торгуют смертью»
Подал отчет вовремя – избежал штрафа!
Светлая память!
Поздравление Председателя Законодательного Собрания Санкт-Петербурга, Секретаря Санкт-Петербургского регионального отделения партии «Единая Россия» Вячеслава Макарова
Дорогие женщины!
Поздравление Председателя Законодательного Собрания Санкт-Петербурга, Секретаря Санкт-Петербургского регионального отделения партии «Единая Россия» Вячеслава Макарова
Поздравление Депутата Государственной Думы ФС РФ В.И. Катенева
Как подарить недвижимость: советы Кадастровой палаты
Как подарить недвижимость: советы Кадастровой палаты
Стартует голосование на конкурсе «Я рисую перепись»
Лыжная гонка среди муниципалитетов
Согреваемся безопасно!
Информация для призывников
Акция #СкоростьНеГлавное
Согреваемся безопасно!
Санкт-Петербургская транспортная прокуратура разъясняет: Новые ограничения на продажу никотиносодержащей продукции, а также устройств для ее потребления
Приморское местное районное отделения Всероссийской политической партии «ЕДИНАЯ РОССИЯ» проводит прием граждан на тему «ЖКХ»
Стартовал конкурс мультимедийных проектов «Созвездие»
В День защитника Отечества на Пискаревском мемориальном кладбище состоялась церемония возложения цветов в рамках акции «Единой России» «Защитим память героев»
Осторожно — Мошенники!
Свежий номер газеты «Коломяжские вести» — февраль, 2021
Примите самые теплые, искренние поздравления с Днем защитника Отечества!
Проведение «горячей линии» для приема обращений, связанных с некачественной уборкой снега и наледи
Поздравление с 23 февраля от Депутата Государственной Думы ФС РФ Владимира Ивановича Катенева
Поздравление Председателя Законодательного Собрания Санкт-Петербурга, Секретаря Санкт-Петербургского регионального отделения партии «Единая Россия» Вячеслава Серафимовича Макарова
Отдел ГИБДД Приморского района Санкт-Петербурга призывает водителей вести транспортное средство со скоростью, не превышающей установленного ограничения
О принципах формирования меню здорового питания для школьников
Информация для потребителей
Санкт-Петербургская транспортная прокуратура разъясняет об особенностях правового положения инвалидов в рамках трудовых отношений
Гость программы «Политкухня» — Владимир Иванович Катенев, депутат Государственной Думы РФ VII созыва
Природоохранная прокуратура защищает водные объекты от загрязнения!
Экомобили Комитета по благоустройству и в праздничные дни принимают опасные отходы от горожан
Безопасность в быту
Отдел ГИБДД УМВД России по Приморскому району г. СПб обращает внимание водителей на обязательное соблюдение безопасного скоростного режима.
Общая информация о штрафах за нарушение правил пользования зоной платной парковки
«Горячая линия» по уборке снега
Рубка без порубочного билета может серьезно ударить по карману!
Памятка населению по правилам поведения на льду
Муниципальный Совет в Инстаграм!
Пенсионный фонд продолжает перечисление единовременной выплаты 5000 рублей
Установлена административная ответственность за публичные призывы к осуществлению действий, направленных на нарушение территориальной целостности Российской Федерации
Поздравляем с 90-летием!
Памятка населению по правилам поведения на льду
Вниманию всех пациентов!
Отраслевой проект «Общественное питание»
Всероссийский Конкурс «Инициативы, развивающие местное Самоуправление»
О новых правилах продажи товаров в розницу
27 января — День полного освобождения Ленинграда от фашистской блокады
27 января — День полного освобождения Ленинграда от фашистской блокады
В Санкт-Петербурге стартует акция по сбору историй о защитниках блокадного Ленинграда «Медаль моей памяти»
Кадастровая палата по Санкт-Петербургу проконсультирует петербуржцев по вопросам льготного предоставления услуг по выездному обслуживанию
Информационная кампания по реализации отраслевого проекта «Общественное питание»
Свежий номер газеты «Коломяжские вести» — январь, 2021
Аварийность по Приморскому району за 12 месяцев 2020 года
Опрос Минобрнауки России в целях мониторинга процессов, происходящих в молодежной среде Санкт-Петербурга
УФНС России по Санкт-Петербургу информирует
Санкт-Петербургская транспортная прокуратура разъясняет о внесении изменений в Федеральные правила использования воздушного пространства Российской Федерации
Отчетность для водопользователя!
Центр развития инновационно-образовательных технологий «Глобус» предупреждает о возможном росте дорожно-транспортных происшествий с участием несовершеннолетних
Главное следственное управление по городу Санкт-Петербургу информирует
Вячеслав Макаров обозначил задачи Собрания в новом году
Единая региональная информационно-справочная служба Санкт-Петербурга по вопросам предупреждения коронавирусной инфекции
Уважаемые петербуржцы!
Уважаемые петербуржцы!
Поздравление Председателя Законодательного Собрания Санкт-Петербурга, секретаря Санкт-Петербургского регионального отделения партии «Единая Россия» Вячеслава Макарова с Новым годом и Рождеством Христовым.
Отдел ГИБДД УМВД России по Приморскому району г. СПб
Как хорошо вы знакомы с основами общественного и личного здоровья?
100 дней до начала переписи и онлайн-игра на внимательность
Федеральная кадастровая палата Росреестра: спрос на электронные подписи вырос
Выбор подходящего налогообложения
Новый интерактивный сервис «Городской диалог»
Профилактическое мероприятие «Такси»
Кадастровая палата проконсультирует по электронным услугам и сервисам Росреестра
В период с 28.12.2020 г. по 08.01.2020 г. будет организован отдых детей из социально незащищенных семей
Росстат приглашает малый бизнес принять участие в экономической переписи
Мобильное приложение по безопасности «МЧС России»
Федеральная кадастровая палата Росреестра: спрос на электронные подписи вырос
Новогодний номер газеты «Коломяжские вести» — декабрь, 2020
Всероссийская акция «Ёлка желаний»
Почти 60 аллей появилось по всей России в честь 20-летия Кадастровой палаты
«Световозвращатели»
Безопасный Новый год
Памяти Протоиерея Ипполита (Ковальского)
Вячеслав Макаров: Наша общая задача – запустить правовой процесс обновления городской среды
Выход на лёд запрещён
Роспотребнадзором даны рекомендации по снижению распространения COVID-19 при осуществлении массовых железнодорожных перевозок в период зимних каникул.
Новый год — без пожаров
Выбросы в атмосферу под учет!
Кадастровая палата проконсультирует по исправлению технических ошибок в ЕГРН
Фейерверки — безопасность
О профилактике коронавирусной инфекции в домашних условиях
Отдел ГИБДД УМВД России по Приморскому району г. Санкт-Петербурга разыскивает очевидцев дорожно-транспортного происшествия
«Горячая линия» по вопросам нарушения законодательства в сфере противодействия коррупции
Экологическое правонарушение: куда и как обращаться
С 27.11.2020 изменился адрес сайта ПФР в сети Интернет
Единая региональная информационно-справочная служба
Всероссийский правовой (юридический) диктант
Информационная справка о проекте «Подвези врача»
В рамках операции «Автобус» проходящей на территории Приморского района г. СПб с 1 по 7 декабря 2020 года
Пожарная безопасность при использовании печного отопления
Памятка для граждан по предупреждению несчастных случаев
Депутаты Законодательного Собрания Санкт-Петербурга фракции «Единая Россия» направили Губернатору Санкт-Петербурга депутатский запрос
Ребенок и закон: как защитить жилищные права детей?
Заставленные дворы? Решение есть!
Сотрудники МЧС провели рейд по местам проживания многодетных семей
ДТП по европротоколу
Новости от владельцев усадьбы Орловых-Денисовых
«В добрый путь, ребята!»
29 ноября — День матери!
Председатель Законодательного Собрания, секретарь Петербургского отделения партии «Единая Россия» Вячеслав Макаров вместе с активистами Волонтерского навестил многодетные семьи Петроградского и Приморского районов
Кадастровая палата по Санкт-Петербургу проведет горячую линию на тему «Услуги Удостоверяющего центра. Получение электронной подписи»
Вячеслав Макаров: «Поправка, подготовленная фракцией «Единая Россия», детально выверена и просчитана»
Свежий номер газеты «Коломяжские вести» — ноябрь, 2020
Онлайн-выставка рисунков детских работ «Имя твоё неизвестно, подвиг твой бессмертен»
Кадастровая палата запускает всероссийскую горячую линию по вопросам операций с недвижимостью
Всероссийский экологический диктант
Официальная информация о коронавирусе в России на портале https://стопкоронавирус.рф/
Профилактическая акция «Пристегнись»
Начальник УМВД России по Приморскому району г. Санкт-Петербурга полковник полиции Саунин Евгений Валерьевич поздравил руководящий и личный состав управления с профессиональным праздником
Аллея Памяти сотрудников УМВД России по Приморскому району г. СПб
Председатель Законодательного Собрания Санкт-Петербурга, секретарь регионального отделения партии «Единая Россия» Вячеслав Макаров поздравил с профессиональным праздником сотрудников и ветеранов Главного управления Министерства внутренних дел России по Санкт-Петербургу и Ленинградской области
Министерство юстиции Российской Федерации информирует
В соответствии с требованиями законодательства Российской Федерации об оружии подача документов на продление разрешительных документов должна быть осуществлена на позднее 1 ноября 2020 года.
Внимательно выбирайте организации, предоставляющие юридические услуги
Служба медиации
4 ноября — День народного единства
Разъяснения законодательства в сфере незаконного оборота наркотиков
Как Коломяги оказались в составе Ленинграда
Председатель Законодательного Собрания Санкт-Петербурга, секретарь регионального отделения партии «Единая Россия» Вячеслав Макаров прокомментировал принятие бюджета города в первом чтении.
Тестируются технологии 3D-сканирования при выполнении комплексных кадастровых работ
Интернет-голосование для жителей: петербуржцы могут оценить чистоту своего района
Росреестр завершил переход на централизованную систему ФГИС ЕГРН
Отправлено обращение относительно организации Участкового пункта полиции (УПП) на территории ЖК «Чистое Небо».
Приглашаем принять участие в Спартакиаде семейных команд Приморского района
3-8 ноября пройдет Международная акция «Большой этнографический диктант»
Приглашаем работодателей принять участие в организации оплачиваемых общественных работ
Отправлено обращение относительно организации Участкового пункта полиции (УПП) на территории ЖК «Чистое Небо».
Всероссийский конкурс молодежных проектов стратегии социально-экономического развития «РОССИЯ 2035»
С 19 по 30 октября 2020 года проводится 2 этап Общероссийской акции «Сообщи, где торгуют смертью»
В 2019 году из Северной столицы нашей страны стартовала уникальная по своему формату и содержанию экспедиция – мотопробег из Санкт-Петербурга на полуостров Сахалин, протяжённостью 13 тысяч километров, приуроченный к 30-летию МЧС России.
Свежий номер газеты «Коломяжские вести» — октябрь, 2020
Публичные слушания по проекту бюджета Санкт-Петербурга на 2021 год
Вячеслав Макаров: Главная цель бюджетной политики — сбережение людей
Призовое место на Спартакиаде по плаванию
Памятка о безопасной покупке лекарственных препаратов в зарубежных Интернет-магазинах
Всероссийская тренировка по гражданской обороне
Большое количество пожаров происходит из-за электрических обогревателей
Срок уплаты имущественных налогов – не позднее 1 декабря 2020 года
Будьте осторожны при эксплуатации печного отопления
Фильм «Герои нашего времени», посвященный 30-летию МЧС России
В Петербурге формируется Единый календарь событий на 2021 год
10 октября петербуржцы вновь выйдут на улицы города, чтобы убрать мусор
Отправлены обращения для увеличения скорости движения транспорта на Комендантском пр. и пр. Авиаконструкторов (запрет парковки и организация выделенных полос для общественного транспорта)
Информация для граждан, нуждающихся в регулярной социальной помощи
Комитет по развитию туризма Санкт-Петербурга формирует Единый календарь событий Санкт-Петербурга на 2021 год
Всероссийская перепись населения 2020 года информирует
Подведены итоги Всероссийского конкурса «Семья года- 2020»
Второй Международный Конгресс волонтёров познавательного туризма, культуры и медиа «Живое наследие малой Родины» и Литературный фестиваль #Узнай Россию. Донское слово
Информация о старте конкурса на соискание награды Правительства Санкт-Петербурга – почетного знака «За качество товаров (продукции), работ и услуг» в 2020 году
Пожарная безопасность в осенний период
Отправлены обращения для увеличения скорости движения транспорта на Комендантском пр. и пр. Авиаконструкторов (запрет парковки и организация выделенных полос для общественного транспорта)
Осенний призыв 2020
Жителей Петербурга пригласили принять участие в деятельности рабочей группы по вопросу «балконной амнистии»
Прокуратура Приморского района Санкт-Петербурга разъясняет:
Прием граждан в следственном отделе Следственного комитета Российской Федерации
Всероссийский реестр стратегических программ развития субъектов РФ 2020 – 2021
«Подвиг, воплощенный в камне»
Дацан приглашает на субботник
Турнир по городошному спорту
Финал Всероссийского конкурса «История местного самоуправления моего края»
Турнир по городошному спорту
Причина пожара курение на балконе!
Кадастровая палата проконсультировала по актуальным вопросам кадастрового учета объектов капитального строительства
Кадастровая палата проконсультировала по актуальным вопросам кадастрового учета объектов капитального строительства
Прокуратура Санкт-Петербурга разъясняет:
Истекает срок подачи заявлений для назначения выплат семьям с детьми до 16 лет
30 сентября – последний день, когда можно подать заявление на выплату семьям с детьми до 16 лет
Транспортная прокуратура разъясняет о правилах водопользования для целей рыбоводства и предусмотренной ответственности
Свежий номер газеты «Коломяжские вести» — сентябрь, 2020
Вячеслав Макаров определил задачи парламентского года
Новые законы в области пожарной безопасности. МЧС России уточнены требования к нормативным правовым актам
Информация для пользователей пригородного железнодорожного транспорта
Центр спорта Приморского района приглашает на бесплатные занятия
Что хотят видеть жители на берегу Шуваловского карьера?
Памятка поведения гражданами при введении режима повышенной готовности и чрезвычайной ситуации
Стартовал первый этап конкурса «Народный участковый 2020»
Пожарный извещатель – необходимый элемент в быту
Кадастровая палата ответит на актуальные вопросы кадастрового учета объектов капитального строительства
«Научись спасать жизнь!»
Прячьте зеркала подальше от окон!
Девять петербургских фонтанов поставлено на кадастровый учёт в 2020 году
Уважаемые жители частных жилых домов МО Коломяг!
«Экскурсионный подарок»
Приобщаем жителей к творчеству
1 сентября – День создания службы по исполнению административного законодательства в системе МВД России.
2 сентября – День создания патрульно-постовой службы полиции в системе МВД РОССИИ
СПб ГБУ «Профессионально — реабилитационный центр» принимает на БЕСПЛАТНОЕ обучение инвалидов и лиц с ограниченными возможностями здоровья по основным образовательным программам среднего профессионального образования на базе среднего общего образования:
Санкт-Петербургская транспортная прокуратура разъясняет:
Статья Преподавателя высшей категории Санкт-Петербургского государственного казенного учреждения дополнительного профессионального образования «Учебно-методический центр по делам ГО и ЧС» — Галича Владимира Александровича.
Профилактическое мероприятие «Внимание — дети!»
Международный онлайн-урок Победы
Первый раз в первый класс!
МО Коломяги приглашает получить подарки для первоклассников и учеников 1-4 классов из многодетных семей!
Прокуратура информирует
ПУТЕШЕСТВУЕШЬ ПО РОССИИ С КАМЕРОЙ – ПОКАЖИ СВОИ ФОТОГРАФИИ НА КОНКУРСЕ
Об истории Новодеревенского-Ждановского-Приморского районного управления милиции/полиции
Прокуратура информирует
Конкурс «Российское дерево года»
Причина пожара — курение
Главная задача профилактических рейдов: сохранение жизни и здоровья людей
«Как уберечь свой автомобиль от хищения и угона»
Всероссийский конкурс профессионального мастерства «Моя реконструкция — наша история»
22 августа – День государственного флага Российской Федерации
22 августа – День государственного флага Российской Федерации
Праздник для детей и школьников, посвященный казачьему обряду «Посажение на коня»
Продолжаются мероприятия по вручению медалей «75 лет Победы в Великой Отечественной войне 1941 – 1945 гг.» ветеранам на дому
Свежий номер газеты «Коломяжские вести» — август, 2020
Информирование туристов об обязательной регистрации и осуществлении туристской деятельности
Отправлено обращение в Комитет по контролю за имуществом Санкт-Петербурга для внесения изменений в законодательство с целью повышения эффективности борьбы с незаконной торговлей на придомовых территориях.
Ответственное и внимательное отношение к вопросам пожарной безопасности поможет избежать беды
Преступность уходит с улиц в электронные сети
Что такое молниезащита и зачем она нужна!?
Центр контроля качества товаров (продукции), работ и услуг
Прием граждан Прокуратурой Санкт-Петербурга по вопросам нарушения федерального законодательства
Главное управление МЧС России по Санкт-Петербургу напоминает
Правила возврата авиабилетов на отмененный рейс
Как не заблудиться в лесу — советы специалистов
Правила пожарной безопасности в жилом секторе
Названы три основные причины провести межевание земельного участка
Полжизни за витриной универмага
Обращаем внимание кандидатов в усыновители и опекуны
Коломяжский велоклуб сдаваться не собирается
УМВД России по Приморскому району г. СПб объявляет о приеме на службу в ОВД РФ
Отправлено повторное обращение в СПбГКУ ДОДД относительно организации пешеходного перехода через Нижне-Каменскую ул.
Рыбалка в удовольствие
Безопасность детей в период каникул
Изменения в региональную программу капитального ремонта общего имущества в многоквартирных домах в Санкт-Петербурге
О рекомендациях как выбирать и готовить грибы
Санкт-Петербургская транспортная прокуратура информирует
Свежий номер газеты «Коломяжские вести» — июль, 2020
Стартовала Всероссийская акция «Моё детство — война»
Правила содержания и выгула собак
Профилактические рейды по Приморскому району
Губернатор Санкт-Петербурга Александр Беглов продлил на территории города действие особого противопожарного режима
Информация о реализации Материнского (семейного) капитала в Санкт-Петербурге
Поздравляем юбиляров ДИПИ №1
С 13 июля свои двери для посетителей после ремонта открывает сектор № 1 МФЦ Приморского района по адресу: пр. Новоколомяжский, д. 16/8, лит. А.
«Жить будет — значит, Женя!»
Война, шторма и бури
Приглашаем принять участие в семейном конкурсе «Семейная мозаика»
Внимание: сезон клещей!
Всероссийский фотоконкурс «От трех до бесконечности»
Дополнительные меры поддержки безработных граждан
Разъяснения об отмене поверки бытовых приборов учета
Не проморгай! Стартует фотоконкурс переписи населения
«Несовершеннолетний велосипедист»
Поправки к Конституции. Почему это важно.
Вячеслав Макаров поздравил выпускников Санкт-Петербурга и России
Общероссийское голосование 1 июля 2020
Общероссийское голосование 1 июля 2020
Лучший педиатр России
Свежий номер газеты «Коломяжские вести» — июнь, 2020
Оградите детей от табачного дыма!
Вячеслав Макаров объяснил, почему нужно прийти на избирательные участки 1 июля
Оградите детей от табачного дыма!
Вячеслав Макаров: «Законодательное Собрание Санкт-Петербурга поддержит внесение прогрессивных и своевременных изменений в Трудовой кодекс РФ»
Санкт-Петербургское государственное автономное учреждение «Центр занятости населения Санкт-Петербурга» планирует организацию временного трудоустройства несовершеннолетних граждан в возрасте от 14 до 18 лет в летний период 2020 года.
Безопасный пожароопасный сезон
Информационное письмо Комитета по тарифам Санкт-Петербурга
Региональный конкурс мультимедийных проектов, направленных на повышение правовой культуры избирателей
Цифры России: кто в доме хозяин?
Безопасный пожароопасный сезон
Безопасный мангал
С 01 января 2021 года отменяется специальный налоговый режим ЕНВД
Всероссийская программа «Деревья — памятники живой природы»
Как уберечь ребёнка от падения из окна?
Общероссийское голосование 1 июля 2020 года
О запрете купания в неустановленных местах
Как уберечь ребёнка от падения из окна?
Поздравление Губернатора А.Д. Беглова и Председателя Законодательного Собрания В.С. Макарова с Днем России.
Профилактическое мероприятие «Автобус»
Спорт сильных и смелых
Почему сегодня основной закон страны требует обновления?
Не доверяешь своей стране – не претендуй на право решать ее судьбу
Что новая Конституция даст всем без исключения гражданам страны?
Культура, русский язык, понятие Бога и многие другие многовековые духовно-нравственные ценности российского народа также должны быть конституционно закреплены, считает Секретарь Санкт-Петербургского отделения партии «Единая Россия», Председатель Законодательного Собрания Санкт-Петербурга Вячеслав Макаров.
Секретарь Санкт-Петербургского отделения партии «Единая Россия», Председатель Законодательного Собрания Санкт-Петербурга Вячеслав Макаров для себя уже все решил. Он придет на участок для того, чтобы проголосовать за…
Журавль в Удельном парке
Как живете, карапузы? Российские дети глазами статистики
Санкт-Петербургская транспортная прокуратура разъясняет
О правовых аспектах отказа потребителям в допуске на торговые объекты без средств индивидуальной защиты (масок) в случае введения режима их обязательного использования
Санкт-Петербургская транспортная прокуратура разъясняет
Информационная справка о ежемесячной денежной выплате на ребенка в возрасте от 3 до 7 лет включительно
Берегите лес! Соблюдайте противопожарные правила поведения, помните о вреде от самовольных выжиганий сухой травы в пожароопасный сезон!
Об ответственности за заведомо ложное сообщение об акте терроризма
График движения экомобилей за 2020 г.
Поздравление с Днем города от Депутата Государственной думы Федерального собрания Российской Федерации Владимира Ивановича Катенева
Военный комиссариат Приморского района информирует
Поздравление c Днем города от Председателя Законодательного Собрания Санкт-Петербурга, секретаря Санкт-Петербургского регионального отделения партии «Единая Россия» Вячеслава Серафимовича Макарова
Госземнадзор за пожарную безопасность
О единовременной денежной выплате гражданам старше 65 лет, соблюдающим режим самоизоляции
COVID 19 Выплаты
Электронное голосование
Правила поведения на воде
Правила пожарной безопасности. Памятка детям.
Рейд по обращениям жителей
Свежий номер газеты «Коломяжские вести» — май, 2020
СПб ГБУ «Профессионально — реабилитационный центр» принимает на БЕСПЛАТНОЕ обучение инвалидов и лиц с ограниченными возможностями здоровья по основным образовательным программам среднего профессионального образования на базе среднего общего образования
Открытые окна могут быть опасны для детей
Во время каникул стоит уделять особое внимание безопасности детей
Обращение по легитимизации установки дорожных знаков на внутриквартальных территориях
Бесплатные консультации по усыновлению
Горячая телефонная линия по вопросам нарушения законодательства в сфере противодействия коррупции
Обращение по легитимизации установки дорожных знаков на внутриквартальных территориях
Памятка о правилах поведения на воде
Как защитить ребенка от падения из окна
Постановление Правительства Российской Федерации от 11.05.2020 №652 «О внесении изменений в Постановление Правительства Российской Федерации от 09.04.2020 №474»
Памятка о правилах поведения на воде
Использование средств индивидуальной защиты в общественных местах обязательно
Вячеслав Макаров: В условиях продления ограничительным мер нам необходимо с еще большей отдачей подходить к помощи людям
Дистанционное отложенное пополнение проездных билетов
Безопасность на железнодорожном транспорте
Информация о реализации региональных проектов
Поздравление Председателя Законодательного Собрания Санкт-Петербурга, Секретаря Санкт-Петербургского регионального отделения партии «Единая Россия» Вячеслава Макарова с Днем Победы
Акция «Открытка в окне»
О ежемесячных выплатах семьям, имеющим детей
С ДНЕМ ВЕЛИКОЙ ПОБЕДЫ!
Продолжается акция «Окна Победы»
РОССТАТ И МУЗЕЙ ПОБЕДЫ РАССКАЗАЛИ О ЦИФРАХ И ЛИЦАХ ВЕЛИКОЙ ОТЕЧЕСТВЕННОЙ ВОЙНЫ
Поздравление Председателя Законодательного Собрания Санкт-Петербурга, Секретаря Санкт-Петербургского регионального отделения партии «Единая Россия» Вячеслава Макарова с Днем Победы
Акция «День Победы на разных языках»
Нарушение требований пожарной безопасности на железнодорожном транспорте влечет административную ответственность
Законное водопользование – это не сложно!
Охотник на львов на коломяжском ипподроме
Установлена уголовная ответственность за производство, сбыт или ввоз в РФ фальсифицированных лекарственных средств, медицинских изделий или БАД, совершенные с использованием СМИ и сети Интернет
Вячеслав Макаров прочитал стихотворения поэтов-фронтовиков
Творческий конкурс «Многогранный Петербург» в дистанционном формате
Установлена уголовная ответственность за производство, сбыт или ввоз в РФ фальсифицированных лекарственных средств, медицинских изделий или БАД, совершенные с использованием СМИ и сети Интернет
Весенний пал травы
Памятка населению по палам травы
УМВД России по Приморскому району за февраль-апрель 2020 года было возбуждено семь уголовных дел по ст. 159 ч.2 УК РФ.
Весенний пал травы
Интернет-ресурс для мигрантов
Как уберечь свой автомобиль от хищения и угона?
Интернет-ресурс для мигрантов
Как уберечь свой автомобиль от хищения и угона?
Санкт-Петербургский Дом национальностей
О необходимости соблюдения режима самоизоляции
Конкурс «Доброволец России-2020»
Обращение по поводу размещения остановки общественного транспорта около дома 14, корпус 1 по Афонской улице
Вячеслав Макаров передал автомобили в безвозмездное пользование городской Автобазы скорой и неотложной помощи
Обращение Уполномоченного по правам ребенка в Санкт-Петербурге Митяниной А.В.
Жители Петербурга могут оценить качество уборки в своем районе
21 апреля – День местного самоуправления
Все инструменты для помощи предпринимателям в условиях пандемии коронавируса на одном ресурсе
Информация о проведении государственной регистрации
Временные правила оформления листков нетрудоспособности в случае карантина.
Местное самоуправление глазами школьников
Все инструменты для помощи предпринимателям в условиях пандемии коронавируса на одном ресурсе
Временные правила оформления листков нетрудоспособности в случае карантина.
Информация о проведении государственной регистрации
Свежий номер газеты «Коломяжские вести» — апрель, 2020
Нужны как воздух, какие сайты вошли в перечень социально значимых
Вячеслав Макаров оказал адресную помощь нуждающимся петербуржцам
Особая территория — особое отношение!
Прокуратура информирует
Прокуратура информирует
ПРФ информирует
Как справляться с растущей тревогой во время сложившейся эпидемиологической ситуации,связанной с угрозой распространения новой коронавирусной инфекции CОVID-19
Ветераны боевых действий и доноры получат безденежные проездные билеты
12 апреля — День космонавтики
Досрочные выплаты пенсий
Библиотека Салтыкова-Щедрина предоставляет доступ к книгам ЛитРес
Досрочные выплаты пенсий
О закрытии детских и спортивных площадок
Проект «Мы Вместе»
Открыта вакансия
Волонтерский центр «Единой России»
Рекомендации по проведению дезинфекционных мероприятия в жилых помещениях для лиц, находящихся в домашней изоляции
Возможность получения государственных услуг в электронной форме через Портал государственных и муниципальных услуг в Санкт-Петербурге
ГРО «ПетербургГаз» информирует
Управление ФНС России по Санкт-Петербургу информирует
Местная Администрация МО Коломяги запускает Конкурс #КоломягиДома
Управление ФНС России по Санкт-Петербургу информирует
Акция взаимопомощи во время пандемии коронавируса
Губернатор Санкт-Петербурга подписал постановление правительства о новых мерах по борьбе с коронавирусом
Открытие городской горячей линии справочной службы Санкт-Петербурга по вопросам, связанным с коронавирусом
Утвержден перечень ограничительных мер в работе транспорта на период с 28 марта по 5 апреля
Повесть о блокадных Коломягах
Дежурные детские сады на период с 30 марта по 3 апреля
В Петербурге заработала «Горячая линия» для помощи горожанам в период эпидемии коронавируса
Позаботьтесь о своих близких!
Важная информация от Городского центра медицинской профилактики
Всероссийская перепись населения — 2020
Подготовка населения в области гражданской обороны и защиты от чрезвычайных ситуаций
Видеоролики: профилактика и защита от коронавируса
Школе в ЖК «Чистое небо» будет присвоен номер 573
Телефоны «горячих» линий по вопросам предоставления социального обслуживания
Свежий номер газеты «Коломяжские вести» — март, 2020
Важная информация о приеме граждан
Председатель «Единой России» поручил партийцам оказывать всю необходимую помощь людям на фоне распространения коронавируса и перейти в режим волонтерства
Президент подписал Указ «О единовременной выплате некоторым категориям граждан Российской Федерации в связи с 75-й годовщиной Победы в Великой Отечественной войне 1941–1945 годов».
Важная информация о коронавирусной инфекции
Дополнено Постановление Правительства Санкт-Петербурга «О мерах по противодействию распространению в Санкт-Петербурге новой коронавирусной инфекции (COVID-19)»
«Единая Россия» и «Волонтеры Победы» объединят усилия по оказанию помощи ветеранам и членам их семей в связи с пандемией коронавируса
Вручение медалей к 75-летию Победы в лицее №597
Вручение медалей к 75-летию Победы
Что надо знать о коронавирусе?
Информационная противопожарная кампания «Останови огонь!»
«Плейстик» для коломяжцев
Отчет по ПЭК!
Памятка населению в период весеннего паводка
Куда девать умище: определены победители викторины переписи населения
Курение может стать причиной пожара
Всегда ли 8 марта было нерабочим днём?
Памятка населению в период весеннего паводка
8 марта – Международный женский день
О трудной судьбе коломяжской усадьбы Орловых-Денисовых
Субъекты социального предпринимательства
Пруд у Графских развалин
О трудной судьбе коломяжской усадьбы Орловых-Денисовых
Субъекты социального предпринимательства
Бесплатный мастер-класс по оздоровительной гимнастике «Плейстик»
Талисман переписи
ТАЛИСМАН ПЕРЕПИСИ: ГОЛОСОВАНИЕ ПОЛЬЗОВАТЕЛЕЙ ВСЁ
Статистика знает из чего сделаны наши мужчины
Конкурс детского рисунка «Россия – Родина моя»
Приглашаем жителей округа на экскурсию в Мемориальный музей обороны и блокады Ленинграда
В январе – феврале 2020 года в УМВД России по Приморскому району г. СПб участились случаи возбуждения уголовных дел за совершение преступления, предусмотренного ст. 306 Уголовного кодекса РФ (заведомо ложный донос).
Поздравление Председателя Законодательного Собрания Санкт-Петербурга, Секретаря Санкт-Петербургского регионального отделения партии «Единая Россия» Вячеслава Макарова с Днем защитника Отечества
Поздравление депутата Государственной Думы ФС РФ В.И. Катенева с Днем защитника Отечества
Бесплатный семинар для страхователей
Поздравление Председателя Законодательного Собрания Санкт-Петербурга, Секретаря Санкт-Петербургского регионального отделения партии «Единая Россия» Вячеслава Макарова с Днем защитника Отечества
Поздравление депутата Государственной Думы ФС РФ В.И. Катенева с Днем защитника Отечества
Головной педикулез
Свежий номер газеты «Коломяжские вести» — февраль, 2020
Плату за негативное воздействие ПЛАТИТЬ НЕОБХОДИМО!
Презентация проекта памятника «Павшим при исполнении воинского и служебного долга»
Четвертый городской творческий фестиваль детей с ограниченными возможностями здоровья «Парус мечты»
Прокуратура Приморского района проводит прием граждан
Приглашаем жителей округа на бесплатный концерт «За полчаса до весны»
Генеральная прокуратура Российской Федерации реализует праворазъяснительный телепроект «Сила в правде»
Скоростной бег на фигурных коньках
«Единая Россия» предлагает не штрафовать петербуржцев, остекливших свои балконы до 11 января 2020 года
«Лучшая оценка работ – знать, что вас читают»
Об изменениях порядка представления налоговой отчетности по НДФЛ
Выход на лёд запрещён с 10 февраля по 15 апреля 2020 года
Агентство занятости населения Приморского района приглашает граждан от 50-ти лет и старше пройти профессиональное обучение повышения квалификации!
Что нужно знать о короновирусе
Петербург выстраивает эффективное взаимодействие с федеральным центром и муниципальными органами
Лекция для жителей МО Коломяги по защите прав потребителей
Вручение медалей «Рожденному в Коломягах»
Вручение медалей «Рожденному в Коломягах»
Информация СПб ГУП «Горэлектротранс»
Ответ на обращение по поводу остановки общественного транспорта на Афонской ул.,14
О предоставлении государственной услуги через МФЦ
Турнир по настольным играм в Доме-интернате для престарелых и инвалидов №1
Регби-клуб «Приморец» проводит набор на отделение регби мальчиков 2006-2012 годов рождения
Интернет-перепись населения станет доступнее
Вспоминайте иногда Вашего студента
Ветерану Великой Отечественной войны Иванову Владимиру Ивановичу исполнилось 95 лет
Фестиваль по скандинавской ходьбе, посвященный Полному освобождению Ленинграда от фашистской блокады
Поздравление Председателя Законодательного Собрания Санкт-Петербурга, Секретаря Санкт-Петербургского регионального отделения партии «Единая Россия» Вячеслава Макарова
Бесплатные спортивные секции на территории МО Коломяги
Поздравление Депутата Государственной Думы ФС РФ В.И. Катенева с Днем полного освобождения Ленинграда от фашистской блокады
Проведение городских конкурсов «Мужчина года» и «Женщина года»
О недопустимости принятия законопроекта о профилактике семейно-бытового насилия
Ученик 617-й школы спас человека
Всероссийская перепись населения 2020 года
АНОНС: 25 января Всеволод Беликов станет гостем программы «Местное время. Суббота»
Свежий номер газеты «Коломяжские вести» — январь, 2020
Экологическая отчетность уже на носу!
Вячеслав Макаров: Экономический рост должен отразиться на благосостоянии каждого
Памятка по безопасному использованию газа на коммунально-бытовые нужды
Оказание содействия гражданам в случае международного похищения детей
Приближается знаменательное событие в жизни прокуратуры города – 80 лет со дня образования прокуратуры города Санкт-Петербурга
Запрос об обустройстве остановки общественного транспорта около дома 14, корпус 1 по Афонской улице в сторону станции метро «Удельная»
Информация УФНС России по Санкт-Петербургу
Запрос об обустройстве остановки общественного транспорта около дома 14, корпус 1 по Афонской улице в сторону станции метро «Удельная»
Конкурс детского рисунка в Храме Всех Святых
Поздравление Губернатора Санкт-Петербурга А.Д. Беглова и Председателя Законодательного Собрания Санкт-Петербурга В.С. Макарова с Новым годом
Санкт-Петербургская транспортная прокуратура разъясняет
Поздравление Председателя Законодательного Собрания Санкт-Петербурга, секретаря Санкт-Петербургского регионального отделения партии «Единая Россия» Вячеслава Макарова с Новым годом и Рождеством Христовым
Агентство занятости населения Приморского района приглашает пройти бесплатное обучение
Санкт-Петербургская транспортная прокуратура разъясняет
Поздравление Председателя Законодательного Собрания Санкт-Петербурга, секретаря Санкт-Петербургского регионального отделения партии «Единая Россия» Вячеслава Макарова с Новым годом и Рождеством Христовым
Поздравление Председателя Комитета по межнациональным отношениям и реализации миграционной политики в Санкт-Петербурге О.А.Капитанова с Новым годом!
Поздравление Депутата Государственной Думы ФС РФ В.И. Катенева с Новым годом!
Информация Жилищного Комитета Санкт-Петербурга
Новогоднее вручение медалей «Рожденному в Коломягах»
Информация от отдела опеки и попечительства
Информация от отдела опеки и попечительства
Прямая линия с руководством Управления Пенсионного фонда в Приморском районе
Памятка по установке и украшению ёлки
Прямая линия с руководством Управления Пенсионного фонда в Приморском районе
Памятка о запрете выхода на лёд
Памятка по установке и украшению ёлки
Новогодний номер газеты «Коломяжские вести», декабрь-2019
Бесплатная горячая линия помощи гражданам по вопросам защиты прав потребителей
Бесплатная горячая линия помощи гражданам по вопросам защиты прав потребителей
«Дорогу построили, а с тротуарами подождёте»
Транспортная прокуратура Санкт-Петербурга разъясняет правила поведения детей на улице и дома
Транспортная прокуратура Санкт-Петербурга разъясняет правила поведения детей на улице и дома
Билеты на новогодние представления
12 декабря – День Конституции Российской Федерации
12 декабря – День Конституции Российской Федерации
В соответствии с Федеральным законом «О государственной социальной помощи» будет осуществляться переход выплаты федеральной социальной доплаты к пенсии на региональную социальную доплату к пенсии
Информация о проведении общероссийского дня приёма граждан в День Конституции Российской Федерации 12 декабря 2019 года
XXIII Всероссийский конкурс, проводимый Ассоциацией женщин-предпринимателей России
Потомки жителей блокадного Ленинграда
Ответ на обращение по вопросу благоустройства сквера на улице Шаврова между Комендантским пр. и пр. Королева
Ответ на обращение по вопросу благоустройства сквера на улице Шаврова между Комендантским пр. и пр. Королева
Запрос о содержании объекта «Комендантский проспект от Шуваловского проспекта до проезда К-1»
Запрос о создании нерегулируемого пешеходного перехода через улицу Нижне-Каменскую
Запрос о содержании объекта «Комендантский проспект от Шуваловского проспекта до проезда К-1»
Остановку «Удельный парк» переносят в другое место
Дистанционная торговля: знаем риски – покупаем грамотно
24 ноября — День матери!
«Санкт-Петербургская транспортная прокуратура разъясняет». Охрана труда несовершеннолетних
Каждому жителю города необходимо знать!
Акция «Сообщи, где торгуют смертью» пройдет в Петербурге
Свежий номер газеты «Коломяжские вести» — Ноябрь, 2019
Единая платформа о добровольческом движении в стране
Правила пожарной безопасности при эксплуатации печного отопления от ОНДПР, ПСО, ВДПО, ТО УГЗ МЧС России по ПРИМОРСКОМУ РАЙОНУ
Форум работающей молодежи – 2019
Статья: «Пожарный дозор в районе»
Бесплатный прием юристов в Свято-Троицкой Александро-Невской Лавре
Опрос жителей города в целях оценки качества проведения осенней уборки
Cовременная система обслуживания пассажиров
Прием граждан заместителем прокурора города Жуковским Сергеем Анатольевичем
Свежий номер газеты «Коломяжские вести» — Октябрь, 2019
Бесплатные билеты на концерт «День народного единства»
Водопользователям на заметку!
Субботник на территории МО Коломяги
Примите участие в опросе и оцените карты городской навигации!
Сбор данных об участниках Великой Отечественной войны для размещения в историко-мемориальном комплексе «Дорога Памяти»
Всероссийская перепись населения 2020
Макаров: Интересы отдельных представителей бизнеса не должны преобладать над правами тысяч петербуржцев
Программа «Городские волонтеры Чемпионата Европы по футболу УЕФА 2020 года города-организатора Санкт-Петербурга»
Ярмарка профессий — форум «Компетенции будущего»
Святое дело — служить Родине!
Сильные и смелые в пожарном спорте!
В библиотеках Приморского района можно будет принять участие в акции «Географический диктант — 2019»
87 годовщина Гражданской обороны РФ
Отчетно-выборное собрание ветеранов МО Коломяги
С 01 октября изменился порядок работы автобусного транспорта на маршрутах Приморского района.
Долгожители нашего округа
1 октября – Международный день пожилых людей
1 октября – Международный день пожилых людей
Отцовство — твой главный жизненный проект
Антинаркотическая «горячая линия» будет проведена прокуратурой Приморского района
Всемирный День Сердца
Не получили уведомление на уплату налогов. Что делать?
27 сентября – День воспитателя и всех дошкольных работников
29 сентября состоится торжественное открытие IV Всероссийского фестиваля энергосбережения и экологии #ВместеЯрче-2019
Диспансеризация — это комплекс мероприятий
В Петербурге пройдет Фестиваль молодых семей 28 сентября
ВНИМАНИЮ ПОТРЕБИТЕЛЯ: Отравились в ресторане, что делать?
Вручение медалей «Рожденному в Коломягах»
Билеты на концерт Ярослава Евдокимова в ДК Ленсовета
Билеты на концерт в БКЗ Октябрьский ко Дню пожилого человека
Вручение медалей «Рожденному в Коломягах»
Основатель нашего города появился на Новоколомяжском проспекте
С 1 октября 2019 года в нашем городе проводится ежегодный осенний месячник по благоустройству
Свежий номер газеты «Коломяжские вести» — Сентябрь, 2019
График работы мобильных пунктов вакцинации от гриппа у станций метро Приморского района
«Скажи наркотикам: НЕТ!»
Семинар для предпринимателей
Исторический парк усадьбы Орловых-Денисовых открыт после капитального ремонта
Все ли обращения петербуржцев читает Председатель Законодательного Собрания Санкт-Петербурга, секретарь Петербургского регионального отделения партии «Единая Россия» Вячеслав Макаров? И как ведется работа с этими обращениями после прочтения? Ответ в этом видео.
Праздничный концерт «С Днем знаний!»
Председатель Законодательного Собрания Санкт-Петербурга, секретарь Петербургского регионального отделения партии «Единая Россия» Вячеслав Макаров рассказал, кто должен победить на выборах в муниципальные советы.
Почему большая ответственность 8 сентября лежит на избирателях? Именно петербуржцам предстоит решить, кто будет управлять городом в ближайшие 5 лет. Но голосовать нужно не на эмоциях, не сердцем, а холодной головой, уверен Председатель Законодательного Собрания Санкт-Петербурга, секретарь Петербургского регионального отделения партии «Единая Россия» Вячеслав Макаров.
Председатель Законодательного Собрания Санкт-Петербурга, секретарь Петербургского регионального отделения партии «Единая Россия» Вячеслав Макаров заявил, что готов ответить за каждого кандидата в муниципальные советы, выдвинутого партией «Единая Россия».
Обращение временно исполняющего обязанности губернатора Санкт-Петербурга Александра Беглова
Ярмарка вакансий для граждан с ограниченными возможностями здоровья
Ярмарка вакансий для граждан с ограниченными возможностями здоровья
Обращение временно исполняющего обязанности губернатора Санкт-Петербурга Александра Беглова
В целях обеспечения необходимых условий для реализации гражданами Российской Федерации их прав и свобод, а также исполнения ими обязанностей перед другими гражданами, государством и обществом ввведён регистрационный учет граждан Российской Федерации по месту пребывания и по месту жительства в пределах Российской Федерации.
Оказание содействия в реализации инвалидами избирательного права
Свежий номер газеты «Коломяжские вести» — Август, 2019
День знаний
Что нужно знать об обращении с отходами!
8 сентября — единый день голосования
Билеты на детский спектакль «Дюймовочка»
Условия привлечения к работе в выходные и праздничные дни
«МОСТОТРЕСТ» И МЧС напоминают о последствиях прыжков с мостов
XV Всероссийский конкурс деловых женщин России «Успех» 2019
Обращение временно исполняющего обязанности губернатора Санкт-Петербурга Александра Беглова 26 августа
Приглашаем на концерт 1 сентября
Приглашаем жителей МО Коломяги на автобусную экскурсию в Новгород
Экскурсия по программе «Золотой возраст»
Межрайонная ИФНС России № 9 по Санкт-Петербургу сообщает о проведении информационной кампании «В отпуск без долгов» в период с 09.08.2019 по 30.09.2019
Обращение временно исполняющего обязанности губернатора Санкт-Петербурга Александра Беглова
Обращение временно исполняющего обязанности губернатора Санкт-Петербурга Александра Беглова
Служба занятости населения Санкт-Петербурга приглашает на ярмарку вакансий
Форум «Выше крыши»
Всероссийский день приема предпринимателей — 3 сентября 2019
Открыта регистрация на традиционный велопробег «Приморская восьмёрка»
Обращение временно исполняющего обязанности губернатора Санкт-Петербурга Александра Беглова О программах развития районов Санкт-Петербурга
Извещение о внесении изменений в приказ Комитета от 28.11.2018 № 130-п «Об утверждении результатов определения кадастровой стоимости» 26 апреля 2019 г.
Центр занятости населения приглашает на обучение лиц предпенсионного возраста
Консультации по переходу на цифровое вещание 14 августа
Обращение временно исполняющего обязанности губернатора Санкт-Петербурга Александра Беглова О выборе названия и разработке концепции арт-парка на пр. Добролюбова
Спрашивали? Отвечаем!
Единый день голосования — 8 сентября
Правила безопасности на водных объектах Санкт-Петербурга
Горячее лето 2019 года
О подготовке города к зиме
Мифы и правда об алкоголизме
На Вербной улице построят коммерческий объект, «связанный с проживанием населения». Застройщик – ООО «РМ-строй» – на днях продлил разрешение на строительство
На проспекте Испытателей идёт укладка нового трамвайного съезда для сохранения трамвайного движения до метро «Пионерская» на период ремонта путей с 3 августа до 16 сентября
Обязанность каждого родителя — забота о ребенке!
Бесплатные билеты в кинотеатр
Бесплатные билеты в кинотеатр
Отдел опеки и попечительства информирует
28 июля – День Военно-Морского Флота Российской Федерации
Парад ко Дню Военно-морского флота изменит график разводки мостов и ограничит движение транспорта центре Санкт-Петербурга
«Горячая линия» по приему сообщений о фактах продажи наркотических средств и психотропных веществ
Обращение временно исполняющего обязанности губернатора Санкт-Петербурга Александра Беглова — незаконные свалки
Служба социальных участковых
Прием граждан по вопросам соблюдения законодательства в сфере оплаты труда
Об ответственности за совершение правонарушений в сфере обращения с отходами
Об оказании юридической помощи
Свежий номер газеты «Коломяжские вести» — Июль, 2019
Конкурс «Многогранный Петербург»
О реконструкции ливневой канализации, ремонте жилья и защите Муринского парка
О профилактике пищевых отравлений в летний период
Распоряжение администрации Приморского района об избирательных участках
«Коломяжские туристы» — 2019
Обращение временно исполняющего обязанности губернатора Санкт-Петербурга Александра Беглова
Замена газовых плит, газовых водонагревательных колонок и электрических плит за счет средств бюджета Санкт-Петербурга
Обращение временно исполняющего обязанности губернатора Санкт-Петербурга Александра Беглова
Бесплатные билеты на спектакль «Охота на мужчин»
Центр организации социального обслуживания информирует
Комитет имущественных отношений Санкт-Петербурга уведомляет
Комитет имущественных отношений Санкт-Петербурга уведомляет
8 июля — День семьи, любви и верности
О качестве дорожных работ и благоустройстве петербургских дворов
Вячеслав Макаров: Мы провели год социального законотворчества
«Коломяжские вести» — победитель ежегодного конкурса муниципальных и районных СМИ
О празднике выпускников «Алые паруса» и прямом диалоге с горожанами
Поведение на воде
Информация о чрезвычайных происшествиях на водных объектах Санкт-Петербурга
Поведение на воде
Информация о чрезвычайных происшествиях на водных объектах Санкт-Петербурга
Фестиваль «СОГЛАСИЕ-2019»
День памяти и скорби
Всероссийская Военно-патриотическая акция «Горсть памяти» на территории МО Коломяги
Решение о назначении даты выборов
Ограничения движения транспортных средств в связи с проведением праздника выпускников петербургских школ «Алые паруса»
Правила безопасности при использовании мангала
О снижении темпов роста тарифов на услуги ЖКХ с 1 июля 2019 года
Уважаемые жители частных жилых домов МО Коломяги!
Уважаемые владельцы домашних животных!
Об итогах Петербургского международного экономического форума
«На кране отработала целых 45 лет!»
Приглашаем на экскурсию «Монастыри Приладожья»
Приглашаем на экскурсию «Монастыри Приладожья»
Приглашаем родителей с детьми на экскурсию в Ивангород
Подарки ко Дню семьи, любви и верности
Всероссийская военно-патриотическая акция «Горсть памяти»
Обращение временно исполняющего обязанности Губернатора Санкт-Петербурга Александра Беглова о ремонте и строительстве дорог в Санкт-Петербурге
Александр Беглов объявил о старте кадрового конкурса «Мой город — мои возможности»
Предупреди о территории риска
Обращение временно исполняющего обязанности Губернатора Санкт-Петербурга Александра Беглова
Обращение временно исполняющего обязанности Губернатора Санкт-Петербурга Александра Беглова
Программа шестого фестиваля “Открытые мастерские”. Санкт-Петербургская “Деревня художников” 2019 год.
Приглашаем жителей округа на экскурсию в г. Псков
Билеты на концерт группы «Садко» в ДК им. Горького
ВНИМАНИЕ ФК «СЕСТРОРЕЦК»
Поздравление с Днем города – Днем основания Санкт-Петербурга
Пожароопасный сезон 2019
Обращение временно исполняющего обязанности губернатора Санкт-Петербурга Александра Беглова
Меры предосторожности при курении
Ярмарка вакансий «Малый бизнес и предпринимательство»
Меры предосторожности при курении
Мы – за безопасность на дорогах!
Помните, пожар наносит непоправимый вред лесу
Чистота и артефакты Шуваловского карьера
Приглашаем на экскурсию «Свирская Победа» по программе «Золотой возраст»
Приглашаем жителей округа на экскурсию «Сортавала, Рускеала»
Приглашаем на экскурсию в Павловск по программе «Юный Петербуржец»
Бесплатные билеты в кино
Свежий номер газеты «Коломяжские вести» — Май, 2019
Генеральной прокуратурой Российской Федерации объявлен Международный молодежный конкурс социальной антикоррупционной рекламы «Вместе против коррупции!»
Пожарно-спасательный отряд Приморского района напоминает о правилах поведения на воде
О проведении регионального конкурса мультимедийных проектов
Всероссийский день приема предпринимателей
Всероссийский день приема предпринимателей
9 мая — День Победы
9 мая — День Победы
Всероссийский исторический диктант на тему событий Великой Отечественной войны
ГОСУСЛУГИ ДЛЯ ВЕТЕРАНОВ ВОВ, ЖИТЕЛЕЙ БЛОКАДНОГО ЛЕНИНГРАДА И ТРУЖЕНИКОВ ТЫЛА
ПАМЯТКА по безопасной эксплуатации бытовых электроприборов
День Победы в Приморском районе
Клещи, профилактические и противоэпидемические мероприятия
Введен бесплатный проезд для шести льготных категорий петербуржцев в железнодорожном транспорте пригородного сообщения
Незаконное производство, хранение и сбыт наркотиков уголовно наказуемы
Клещи, профилактические и противоэпидемические мероприятия
О важных градостроительных решениях для исторического центра Санкт-Петербурга
ЭВАКУАЦИЯ как гарант безопасности!
Первомайская демонстрация
Праздничный концерт «Майский вальс»
Приплыли с медалями
Большой Велопарад – 2019
Опрос о качестве весенней уборки города
Что будет сделано в 2019 году?
24 апреля в Санкт-Петербурге стартовала Всероссийская патриотическая акция «Георгиевская ленточка»
Международный молодежный конкурс социальной антикоррупционной рекламы «Вместе против коррупции!»
Весенний сольный концерт Бесаме Мучо в Доме-интернате
Спектакль «Отравленная туника»
В Санкт-Петербурге стартовал сбор предложений в программу «Родной район»
«Чистые Игры» ищут районных организаторов
С Днем местного самоуправления!
Поздравление Председателя Законодательного Собрания Санкт-Петербурга, секретаря Санкт-Петербургского регионального отделения партии «Единая Россия» Вячеслава Макарова с Днем местного самоуправления
Памятка по переходу на цифровое эфирное телевидение для жителей Санкт-Петербурга, проживающих в многоквартирных домах
ОБЪЯВЛЕНИЕ
Митрополит Варсонофий посетил Храм Всех Святых
О возвращении федерального ресурса Санкт-Петербургу
Свежий номер газеты «Коломяжские вести», Апрель, 2019
Макаров: В организации социального питания должно быть разумное соотношение цены и качества
МЕЖДУНАРОДНЫЙ КОНКУРС «ИДЕИ, ПРЕОБРАЖАЮЩИЕ ГОРОДА»
В апреле состоится глобальное урбанистическое мероприятие «Неделя городских изменений»
Билеты на спектакль «Отравленная туника»
Политехнический колледж городского хозяйства приглашает потенциальных абитуриентов 2019 года на дни отрытых дверей
О начале масштабной работы по благоустройству города
Проект «Родной район»
Профилактика клещевого энцефалита
Акция, посвященная Международному Дню борьбы с наркоманией и незаконному обороту наркотиков
Профилактика клещевого энцефалита
Информация от Управления пенсионного фонда Приморского района
В Петербурге пройдет опрос по качеству оказания госуслуг
Старт проекта «Родной район»
МА МО Коломяги приглашает господ частных предпринимателей и юридических лиц принять участие в организации временного трудоустройства несовершеннолетних в возрасте от 14 до 18 лет, в свободное от учебы время, на территории МО Коломяги.
Экскурсия в Ивангород по программе «Культурная столица»
Экскурсия на Ленфильм по программе «Золотой возраст»
Экскурсия по Санкт-Петербургу с посещением Кунсткамеры по программе «Юный Петербуржец»
Уважаемые жители нашего округа!
Начало весенней уборки Петербурга
Военно-патриотическая акция «Сирийский перелом»
МЧС предупреждает!
Служить Родине с честью и достоинством
Служить Родине с честью и достоинством
По результатам проверки природоохранной прокуратуры возбуждено уголовное дело!
Ежегодный весенний месячник по благоустройству, озеленению и уборке территории округа после зимнего периода
ПАМЯТКА НАСЕЛЕНИЮ ПО ПРАВИЛАМ ПОВЕДЕНИЯ НА ЛЬДУ
УМВД России приглашает на службу в полицию
УМВД России приглашает на службу в полицию
ПАМЯТКА НАСЕЛЕНИЮ ПО ПРАВИЛАМ ПОВЕДЕНИЯ НА ЛЬДУ
ПАМЯТКА ПО ПЕРЕХОДУ НА ЦИФРОВОЕ ЭФИРНОЕ ТЕЛЕВИДЕНИЕ ДЛЯ ЖИТЕЛЕЙ САНКТ-ПЕТЕРБУРГА, ПРОЖИВАЮЩИХ В МНОГОКВАРТИРНЫХ ДОМАХ
Госавтоинспекция Приморского района проводит акцию «ПРИСТЕГНИСЬ!»
Открыта постоянно действующая «горячая линия» по вопросам несанкционированного складирования отходов в Санкт-Петербурге
О фактах распростанения наркотиков можно будет сообщить на «горячую линию» Прокуратуры Приморского района
Единая Система Идентификации и Аутентификации
1 этап Общероссийской акции «Сообщи, где торгуют смертью»
Вячеслав Макаров: Необходимо создать вокруг пенсионера защитную сферу, которая сделает его жизнь лучше
Свежий номер газеты «Коломяжские вести» — март, 2019
С 7 марта выход на лед петербургских водоемов запрещен
Ответ на обращение по поводу строительства взрослой поликлиники в Коломягах
ШИРОКАЯ МАСЛЕНИЦА на ОРЛОВСКОМ КАРЬЕРЕ
Дорогие петербурженки!
ПЭК – что это?
Приглашаем родителей с детьми на бесплатную экскурсию в Музей-усадьбу Г.Р.Державина
Соболезнование близким Жореса Ивановича Алферова
«Всероссийский день приема предпринимателей» 05 марта 2019 года
Дни культуры Карелии
Приглашаем на спектакль «Путники в ночи»
Экскурсии по программам «Золотой возраст» и «Культурная столица» в Музей прикладного искусства им. А.Л.Штиглица
О введении административной ответственности за осуществление хозяйственной и (или) иной деятельности без комплексного экологического разрешения
Поздравление Председателя Законодательного Собрания Санкт-Петербурга, Секретаря Санкт-Петербургского регионального отделения партии «Единая Россия» Вячеслава Макарова с Днем защитника Отечества
Поздравление Депутата Государственной Думы ФС РФ В.И.Катенева с Днем защитника Отечества
Поздравление Депутата Государственной Думы ФС РФ В.И.Катенева с Днем защитника Отечества
Профилактика гриппа и ОРВИ
Свежий номер газеты «Коломяжские вести» — февраль, 2019
Своевременные сдача отчетов и внесение платы за негативное воздействие помогут избежать ответственности!
«ЧИСТОЕ НЕБО» ИЛИ «ЛЕВАШОВСКАЯ ПУСТОШЬ»?
Петербургские депутаты предложили ввести федеральный стандарт помощи больным диабетом
Внимание! Корь!
В целях правового просвещения населения и профилактики правонарушений Главное управление Минюста России по Санкт-Петербургу информирует
В целях правового просвещения населения и профилактики правонарушений Главное управление Минюста России по Санкт-Петербургу информирует
Юный пассажир!
Приглашаем на экскурсии в Музей специй по программам «Культурная столица» и «Золотой возраст»
Экскурсия в Ботанический сад по программе «Юный петербуржец»
СОБЛЮДАЙТЕ ПРАВИЛА ПОВЕДЕНИЯ НА ЖЕЛЕЗНОДОРОЖНОМ ТРАНСПОРТЕ И ОБЪЕКТАХ ЕГО ИНФРАСТРУКТУРЫ!
Лыжной гонке мороз не помеха
Ежегодный фестиваль единоборств «Честь имею»
Порядок приема детей в первые классы на 2019/2020 учебный год
Бесплатные билеты на спектакль «Мещанин во дворянстве»
Вручение юбилейных медалей, выпущенных к 75-летию полного освобождения Ленинграда от фашистской блокады
Жизнь требует движения
27 января – День полного освобождения Ленинграда от фашистской блокады
Санкт-Петербургская академия Следственного комитета Российской Федерации объявляет о приеме абитуриентов
«О размерах минимальной и максимальной величин пособия по безработице на 2019 год»
Вред курения
Агентство занятости населения Приморского района Санкт-Петербурга сообщает
Агентство занятости населения Приморского района Санкт-Петербурга сообщает
Новый год в ЖК «Шуваловский»
Конкурсы «Мужчина года» и «Женщина года»
Прием заявителей по вопросам соблюдения законодательства в сфере жилищно-коммунального хозяйства
С 1 января вступили в силу изменения в Закон о занятости населения
Всероссийский день приема предпринимателей
Детей блокадного Ленинграда приравняют к ветеранам Великой Отечественной войны
Раздельный сбор мусора
Свежий номер газеты «Коломяжские вести» — январь, 2019
Раздельный сбор мусора
ИЗО-студия подростково-молодежного клуба «Чайка» приглашает на занятия
Лекторий «МОЛОДОЖЕНЫ — ЭТО ВАЖНО!» начало в 16.00
Обзорные экскурсии по городу с посещением особняка Половцова по программам «Культурная столица» и «Золотой возраст»
Экскурсия в Ораниенбаум по программе «Юный петербуржец»
«Лыжные стрелы» 2019 года стартовали
Новогодние гуляния в Коломягах
Природопользователь сдавать отчетность обязан!
Незаконное хранение оружия — преступление
Лучшее время бросить пить – сегодня!
Природопользователь сдавать отчетность обязан!
«Безопасные каникулы или «правильный» Новый год»
Пожарная безопасность и пиротехника
Учебно-методический семинар по самбо
Приближается срок уплаты страховых взносов в фиксированном размере за 2018 год
Физическая культура и спорт
7 основных правил безопасной зимней рыбалки
О единовременной денежной выплате в связи с 75-летием полного освобождения Ленинграда от фашистской блокады
Правила пожарной безопасности при проведении Новогодних праздников
Памятка для граждан по предупреждению несчастных случаев в Новогодние праздники
Памятка для граждан по предупреждению несчастных случаев в Новогодние праздники
Новогодний номер газеты «Коломяжские вести» — декабрь, 2018
Изменилось время приема жителей специалистами опеки и попечительства
Новогодние гуляния в Коломягах и Юбилейном квартале
С 10 по 23 декабря проходит второй тур проекта «Великие имена России», который определит дополнительное имя для аэропорта Санкт-Петербурга
Вячеслав Макаров: Зеленые насаждения – это зеленая книга города, которую надо охранять
12 декабря – День Конституции Российской Федерации
Приглашаем на концерт ансамбля «Атаман»
Об установлении периодов запрета выхода на лед
Билеты на детский новогодний спектакль
Билеты на детский новогодний спектакль
Экскурсии в Меншиковский дворец по программам «Культурная столица» и «Золотой возраст»
Экскурсия по программе «Юный Петербуржец» — Гранд Макет Россия
Отдел ГИБДД УМВД приглашает на работу
Отдел ГИБДД УМВД приглашает на работу
Вниманию получателей средств реабилитации по линии ФСС
Информация о проведении общероссийского дня приёма граждан в День Конституции Российской Федерации 12 декабря 2018 года
Ежегодная акция «Подарок от Деда Мороза»
Информационно-консультационная выставка«ВАШЕ ИМУЩЕСТВО и ВАШИ ПРАВА»
9 декабря — День Героев Отечества
Поздравление Секретаря Санкт-Петербургского регионального отделения партии «Единая Россия», Председателя Законодательного Собрания Санкт-Петербурга Вячеслава Макарова с Днем матери
«Санкт-Петербург — город всех вер»
Единый прием граждан в МО Коломяги
Петровская Акватория
Первое заседание Попечительского совета Межрегионального отделения ДОСААФ России Санкт-Петербурга и Ленинградской области
Свежий номер газеты «Коломяжские вести» — ноябрь, 2018
С 1 января услуга по обращению с ТКО будет включена в состав коммунальных услуг
Материнский капитал разрешат использовать на высокотехнологичную медицинскую помощь и реабилитацию детей-инвалидов
«СОГЛАСИЕ-2018»
Сертификаты ко Дню инвалида
МБУ «Развитие» требуются сотрудники
О внесении изменений в отдельные законы Санкт-Петербурга в части обеспечения дополнительных гарантий социальной защиты граждан, достигших возраста 60 и 55 лет (для мужчин и женщин соответственно)
Встреча председателя Комитета по межнациональным отношениям реализации миграционной политики в Санкт-Петербурге Олега Ивановича Махно с населением Приморского района
Открыта Горячая линия акции «Сообщи, где торгуют смертью»
В Санкт-Петербурге стартовал общероссийский проект «Великие имена России»
В Приморском районе состоялась торжественная отправка призывников в армию
Подарочные сертификаты многодетным семьям ко Дню матери
Подарочные сертификаты многодетным семьям ко Дню матери
Приглашаем родителей с детьми на экскурсию по Санкт-Петербургу с посещением Петровской Акватории
Приглашаем на экскурсию по программе «Золотой возраст»
Приглашаем жителей округа на экскурсию в Музей религии
Действия населения при радиационной аварии и радиоактивном загрязнении местности
Демонтированные незаконные рекламные конструкции подлежат уничтожению через месяц
Поздравление с Днем народного единства от Депутата Государственной Думы ФС РФ В.И. Катенева
Поздравление Председателя Законодательного Собрания Санкт-Петербурга, Секретаря Санкт-Петербургского регионального отделения партии «Единая Россия» Вячеслава Макарова с Днем народного единства
Молодогвардейцы Приморского района организовали детский спортивный праздник
ПРОКУРАТУРА ПРИМОРСКОГО РАЙОНА САНКТ-ПЕТЕРБУРГА РАЗЪЯСНЯЕТ ПОСЛЕДСТВИЯ ДАЧИ И ПОЛУЧЕНИЯ ВЗЯТКИ
Призывники и их родители. Обратите внимание на важную информацию
Пожарный дозор в районе
Водоемы и деревья горожанам не нужны?
Уведомляем Вас об изменении даты проведения встречи с населением руководителя Комитета по социальной политике Александра Николаевича Ржаненкова с 25 октября 2018 года на 01 ноября 2018
Юные коломяжцы посетили Кронштадт
Первая медаль
Что важно знать про новый закон о пенсиях?
Билеты на спектакль «Малыш и Карлсон»
Первая медаль
Меры предосторожности при использовании обогревательных приборов
Петербуржцы могут оценить качество осенней уборки в своем районе
Субботник в МО Коломяги
Свежий номер газеты «Коломяжские вести» — октябрь, 2018
Внесены изменения в Кодекс Российской Федерации об административных правонарушениях
Петербуржцев, перенесших инфаркты, обеспечат бесплатными лекарственными препаратами в течение года
Акция для жителей города «Скажи инсульту нет!»
О собраниях, митингах, демонстрациях, шествиях и пикетированиях
День благоустройства — 20 октября 2018
О собраниях, митингах, демонстрациях, шествиях и пикетированиях
Экскурсия в Тихвин для жителей округа
Экскурсия в Кронштадт по программе «Юный Петербуржец»
Ярмарка вакансий 18 октября и 25 октября
Дни открытых дверей в Межрайонной ИФНС России № 26
Встреча c председателем Комитета по социальной политике Санкт-Петербурга
День учителя в МО Коломяги
86 годовщина Гражданской обороны РФ
Поздравление Председателя Законодательного Собрания Санкт-Петербурга, Секретаря Санкт-Петербургского регионального отделения партии «Единая Россия» Вячеслава Макарова с Днем учителя
Международный день ходьбы
Осенний месячник по благоустройству
Бесплатное цифровое эфирное телевидение доступно каждому
1 октября – Международный день пожилых людей
Чествование воспитателей МО Коломяги
Поздравление с Днем пожилого человека от депутата Государственной Думы ФС РФ В.И. Катенева
Не откладывайте уплату налогов на последний день!
Здоровое сердце — длинная жизнь!
Первая медаль
Экскурсия в Новгород по программе «Золотой возраст»
Первая медаль
Экскурсия в Новгород по программе «Золотой возраст»
Билеты на спектакль «Игроки»
Прокуратура Приморского района проводит прием предпринимателей
27 сентября — ярмарка вакансий для граждан предпенсионного и пенсионного возраста
Великая Л’АРТовская стена
C 1 июля 2018 года изменились требования к информационной открытости застройщика
Из Коломяг в Кобону
Концерт «Золотые хиты»
Приглашаем на спектакль «Красная шапочка»
Как защитить себя от гриппа
Петербуржцам сохранят пенсионные льготы
Второй этап межведомственной комплексной оперативно-профилактической операции «Дети России»
Свежий номер газеты «Коломяжские вести» — сентябрь, 2018
«Всемирный день без автомобиля»
Подведены итоги конкурса «Цветущие Коломяги»
Горячая статистика лета 2018г.
Видеофайл — Прокуратура информирует
Горячая статистика лета 2018г.
Военно-спортивный праздник «Мобилизация»
Фиктивная постановка на учет иностранного гражданина может грозить уголовной статьей
Победители XVII Конкурса муниципальных и районных СМИ
Проект «Сила Русского Оружия»
12 сентября — день перенесения мощей святого благоверного князя Александра Невского
График проведения вакцинации против гриппа у метро в сентябре 2018
Приглашаем Вас и Ваших детей на Зарядку!
Экскурсия в Стрельну для жителей округа
Экскурсия для родителей и детей в д. Кобона
«О внесении изменений в статьи 114 и 115 Семейного кодекса Российской Федерации»
Билеты в кинотеатр для детей с открытой датой
В Кадастровой палате по Санкт-Петербургу изменятся номера телефонов
Раздельный сбор мусора
Малая Октябрьская железная дорога отметила юбилей
«О внесении изменений в статьи 114 и 115 Семейного кодекса Российской Федерации»
Народный конкурс «Храм78. Православный символ Санкт Петербурга» пройдет в Санкт-Петербурге
12 сентября — Общегородская ярмарка вакансий
Общественная приемная Председателя ВПП «ЕДИНАЯ РОССИЯ» Д.А. Медведева в МО Коломяги
Экскурсия в Стрельну по программе «Золотой возраст»
Общественная приемная Председателя ВПП «ЕДИНАЯ РОССИЯ» Д.А. Медведева в МО Коломяги
Детский спортивный праздник в ЖК «Шуваловский»
Голосуйте в фотоконкурсе «Моя земля, моя Россия»
Балкон — пожароопасная зона
Отдел социальной защиты населения информирует о начале приема заявлений на компенсационные выплаты на детей из многодетных семей
Федеральная налоговая служба напоминает о необходимости оплаты имущественных налогов
Свежий номер газеты «Коломяжские вести» — август, 2018
Конкурс цветников «Цветущие Коломяги»
«Град» над Коломягами
Межрайонная инспекция Федеральной налоговой службы № 26 по Санкт-Петербургу информирует
Берегите детей от выпадения из окна!
В День археолога в Приморском районе начнет свою работу «Школа юного археолога»
Волейбольный турнир на приз МО Коломяги
Водоохранная зона — зона запретов!
Регистрация на участие в велопробеге «Приморская восьмерка» стартовала
Внимание розыск очевидцев ДТП
Турнир по пейнтболу «Коломяжский рубеж»
Внимание розыск очевидцев ДТП
Кадастровая палата по Санкт-Петербургу расскажет о кадастровой стоимости объектов недвижимости
Корь — опасное заболевание, в ряде случаев смертельное
Памятка о действиях населения при получении сигналов и экстренной информации об угрозе возникновения или возникновении чрезвычайных ситуаций
Памятка о действиях населения при получении сигналов и экстренной информации об угрозе возникновения или возникновении чрезвычайных ситуаций
Извещение о размещении промежуточных отчетных документов, а также о порядке и сроках предоставления Замечаний
«Звездочка, с которой все начнется»
Африканская чума свиней (информационная памятка для населения)
Что необходимо знать при получении гостиничного сервиса
Экскурсия для детей и родителей «В гости к страусам»
Автобусные экскурсии на Валдай по программам «Культурная столица» и «Золотой возраст»
«А 70 не хотите?!» Чествование юбиляров семейной жизни в МО Коломяги
Видеоролик «Пожарная безопасность в лесах»
Как получить сведения из Единого государственного реестра недвижимости расскажут в Кадастровой палате по Санкт-Петербургу
Цифровое эфирное телевидение – для больших городов
29 июля — День Военно-Морского Флота России
Коротко о пневмококковой инфекции
Ограничение движения транспорта в период проведения Военно-морского парада
Телефонное мошенничество
Телефонное мошенничество
Билеты в кинотеатр с открытой датой
Билеты в кинотеатр с открытой датой
Чемпионат по волейболу
Турслет «Коломяжские туристы»
Корь – это острое инфекционное вирусное заболевание с воздушно-капельным путем передачи
Прием граждан по вопросам исполнения законодательства при приеме несовершеннолетних в образовательные учреждения
Прием граждан по вопросам исполнения законодательства при приеме несовершеннолетних в образовательные учреждения
«Колёс меньше – опасности больше»
«Колёс меньше – опасности больше»
Об изменении платы за коммунальные услуги и содержание жилого помещения на территории Санкт-Петербурга с 01.07.2018
Берегите свой автомобиль от пожара
Свежий номер газеты «Коломяжские вести» — июль, 2018
Экскурсия «Монастыри Приладожья» по программам «Культурная столица» и «Золотой возраст»
Бесплатные билеты в кинотеатры сети «Формула кино» для детей
Рейд по нашему округу
«О внесении изменения в статью 12.8 Кодекса Российской Федерации об административных правонарушениях»
«О внесении изменения в статью 12.8 Кодекса Российской Федерации об административных правонарушениях»
Внимание! Родителям о детской безопасности в дни школьных каникул
День семьи любви и верности в Особой экономической зоне
2018 год – Год культуры безопасности в системе МЧС России
Экскурсия в Изборск
«Лучший врач общей практики (семейный врач)»
Памятка о правилах поведения на воде
Информация по переходу на цифровое эфирное телевещание
Памятка о правилах поведения на воде
Памятка населению о мерах пожарной безопасности в летний пожароопасный период
Вячеслав Макаров: Детский отдых должен быть абсолютно безопасным
Поздравление Председателя Законодательного Собрания Санкт-Петербурга, Секретаря Санкт-Петербургского регионального отделения партии «Единая Россия» Вячеслава Серафимовича Макарова с Днем семьи, любви и верности
Информация о Городской наркологической больнице
Концерт ко Дню семьи и итоги конкурса «Семейная мозаика»
Прокуратура Приморского района разъясняет
Прокуратура Приморского района разъясняет
Внимание свидетелей и очевидцев!
Внимание свидетелей и очевидцев!
Торжественно-траурная церемония в День памяти и скорби
Обращение Председателя Законодательного Собрания Санкт-Петербурга, Секретаря Санкт-Петербургского регионального отделения партии «Единая Россия» Вячеслава Серафимовича Макарова
Беговелозабеги в Удельном парке
Турнир по баскетболу на кубок Главы МО Коломяги
Спортивный праздник для всей семьи
Свежий номер газеты «Коломяжские вести» — июнь, 2018
Экскурсии в Псков для жителей округа по программам «Культурная столица» и «Золотой возраст»
При рождении первого ребенка семьи поддержат ежемесячными выплатами
Безопасная эксплуатация бытовых электроприборов
Безопасная эксплуатация бытовых электроприборов
Забег “Пятерка в Удельном”
12 июня — День России
12 июня — День России
Второй Международный Фестиваль цветов пройдёт в Петербурге
В Приморском районе Санкт-Петербурга проводится профилактическое мероприятие «Автобус»
Ограничения движения транспортных средств в связи с проведением Чемпионата мира по футболу 2018 года
В Приморском районе Санкт-Петербурга проводится профилактическое мероприятие «Автобус»
Всероссийский конкурс «Зеленый маршрут»
ОАО «АБЗ-1» и ООО «АБЗ-ВАД» в МО Коломяги выполнили мероприятия по модернизации заводов
Экскурсия в Тихвин по программе «Золотой возраст»
Экскурсия в Ивангород для родителей с детьми
Ежегодный фотоконкурс «Мои Коломяги»
День семьи в Коломягах
Готовы к труду и обороне!
Cтартовал конкурс проектов по представлению бюджета для граждан в 2018 году
Санкт-Петербургская транспортная прокуратура разъясняет: внесены изменения в Устав железнодорожного транспорта, регламентирующие продажу билетов, возврат которых невозможен
Информация отдела социальной защиты населения администрации Приморского района Санкт-Петербурга
Введение одностороннего движения на Главной улице
Борьба с несанкционированными свалками!
Международный день соседей в Коломягах
О проведении публичных слушаний по проекту изменений в Генеральный план Санкт-Петербурга
VII Молодежный карьерный форум
27 мая — День города Санкт-Петербурга
День семьи, любви и верности
Генеральной прокуратурой Российской Федерации объявлен Международный молодежный конкурс социальной рекламы «Вместе против коррупции!»
День семьи, любви и верности
Подарочный комплект постельного белья
«Даже если заблудимся, то всегда найдем верный путь»
Генеральной прокуратурой Российской Федерации объявлен Международный молодежный конкурс социальной рекламы «Вместе против коррупции!»
Рубрика «Вам отвечает эксперт Фонда социального страхования»
VI Традиционный юношеский турнир по дзюдо памяти Заслуженного тренера России Анатолия Рахлина
Руководителям и владельцам предприятий потребительского рынка, расположенных на территории МО Коломяги!
Рубрика «Вам отвечает эксперт Фонда социального страхования»
Общероссийская патриотическая акция «Сердце солдатской матери»
Конкурс Талисманов ГТО стартовал!
Приглашаем на автобусную экскурсию в Новгород
Ежегодный конкурс декоративно-прикладного творчества «Семейная мозаика»
Свежий номер газеты «Коломяжские вести» — май, 2018
Информация от Военного комиссариата Приморского района
Фракция «Единая Россия» предложила отмечать День ветерана труда
Чемпионат МО Коломяги по футболу
Ярмарка вакансий для граждан, испытывающих трудности в поисках работы
Межрайонная инспекция Федеральной налоговой службы № 26 по Санкт-Петербургу приглашает на работу
Меры пожарной безопасности при использовании открытого огня
Правила поведения при обнаружении боеприпасов и взрывоопасных предметов
Внимание свидетелей и очевидцев!
Внимание свидетелей и очевидцев!
Забег «5каСПб — Пятерка в Удельном»
Центр контроля качества информирует
Центр контроля качества информирует
III Всероссийская ярмарка одежды, обуви и текстиля
«Дорогие ветераны, будьте здоровы и счастливы!»
Обсуждаем проект Декларации обращения с животными в Санкт-Петербурге
Поздравление Председателя Законодательного Собрания Санкт-Петербурга, Секретаря Санкт-Петербургского регионального отделения партии «Единая Россия» Вячеслава Макарова с Днем Победы
Приглашаем на экскурсию в Изборск
Приглашаем на экскурсию «Крепость Орешек»
Поздравление с Днем Победы от депутата Государственной Думы ФС РФ В.И. Катенева
Открытие хутора «Петроградский»
Филиал Кадастровой палаты по Санкт-Петербургу напоминает о бесплатном выездном обслуживании для ветеранов ВОВ
Традиционный легкоатлетический пробег «Приморский»
День Победы в Коломягах
День Победы в Коломягах
Опрос по качеству весенней уборки
«Необыкновенный кросс» — благотворительный совместный забег Человека и Собаки
Пресс-служба МО Коломяги стала лучшей в России
Кубок Европейских Чемпионов по регби-7 среди мужских команд
«Аэрофлот — Российские авиалинии» проводит праздничную акцию для ветеранов Великой Отечественной войны
Памятка по профилактике клещевого энцефалита
Весенний пал травы
Весенний пал травы
Концерт ко Дню космонавтики
Профессиональный праздник
Памятка по профилактике клещевого энцефалита
К 32-летию Чернобыльской катастрофы
День Победы в Коломягах
День Победы в Коломягах
Весенний субботник
Голосуйте за МО Коломяги!
Экскурсия в музей-дачу А. С. Пушкина в Царском Селе
21 апреля — День местного самоуправления
21 апреля — День местного самоуправления
Открытый конкурс студенческих проектов «Россия, устремленная в будущее»
«Горячая линия» по приему сообщений о фактах размещения рекламы о продаже наркотиков
Дорогие жители Приморского района!
За незаконный снос зеленых насаждений придется заплатить!
Свежий номер газеты «Коломяжские вести» — апрель, 2018
Акция по очистке берегов водоемов «Вода России»
Законопроекты «Единой России» направлены на повышение качества жизни граждан
Поздравление Председателя Законодательного Собрания Санкт-Петербурга, Секретаря Санкт-Петербургского регионального отделения партии «Единая Россия» Вячеслава Серафимовича Макарова с Днем космонавтики
Детский дорожно-транспортный травматизм в Приморском районе за 3 месяца 2018 года
Открыт прием заявок на участие во Всероссийском конкурсе «Идеи, преображающие города»
Об объявлении приема предложений по кандидатурам членов участковых комиссий избирательных участков, расположенных в границах полномочий Территориальной избирательной комиссии №28
Муниципальному округу Коломяги исполняется 20 лет
В старом парке у Графского пруда
Экскурсии в г. Волхов с посещением Волховской ГЭС
Организация временного трудоустройства несовершеннолетних
В старом парке у Графского пруда
Внимание свидетелей и очевидцев!
Пожарная безопасность в весенний период
Пожарная безопасность в весенний период
Весенний призыв граждан на военную службу
Соревнования по стрельбе из пневматической винтовки
Прокуратура проводит прием граждан
Уважаемые налогоплательщики — физические лица!
Уважаемые налогоплательщики — физические лица!
21 марта 2018 года Управление Росреестра по Санкт-Петербургу проводит горячую телефонную линию
Свежий номер газеты «Коломяжские вести» — март, 2018
Законопроекты «Единой России» усилят контроль за исполнением законодательства Санкт-Петербурга и предоставят дополнительные права гражданам
Граждане допущены к экологическому контролю
Фестивали «Крым возвращается»
Осторожно — падение сосулек
Скоро вступит в силу запрет выхода на лед водоемов, расположенных в черте Санкт-Петербурга
Ярмарка вакансий приглашает
Бесплатные билеты на детский спектакль «Музыкальный дилижанс»
Скоро вступит в силу запрет выхода на лед водоемов, расположенных в черте Санкт-Петербурга
Осторожно — падение сосулек
Личный кабинет налогоплательщика для физических лиц
Вячеслав Серафимович Макаров поздравил петербурженок с Международным женским днем
Приглашаем жителей на экскурсию «Алексеевский дворец»
Экскурсия по программе «Юный петербуржец» в Зоологический музей
Обзорная экскурсия по городу с посещением Дома ученых
Куда «катится» детство?
Отчет администрации Приморского района и муниципального образования Коломяги
В Санкт-Петербурге стартует творческий конкурс «Многогранный Петербург»
Памятка населению в период весеннего паводка
Первый этап Общероссийской акции «Сообщи, где торгуют смертью»
Информация по проекту «Твой бюджет»
Внесены изменения в Федеральный закон от 02.05.2006 № 59-ФЗ «О порядке рассмотрения обращений граждан Российской Федерации»
Гласность избирательного процесса (информирование избирателей и предвыборная агитация в СМИ, использование QR-кода, видеонаблюдение)
Внесены изменения в Федеральный закон от 02.05.2006 № 59-ФЗ «О порядке рассмотрения обращений граждан Российской Федерации»
Памятка о правилах безопасного поведения на железнодорожном транспорте
Поздравление Секретаря Санкт-Петербургского регионального отделения Партии «Единая Россия», Председателя Законодательного Собрания Санкт-Петербурга Вячеслава Макарова с Днем защитника Отечества
О ежемесячных выплатах при рождении (усыновлении) первого ребенка в соответствии с Федеральным законом от 28.12.2017 № 418-ФЗ «О ежемесячных выплатах семьям, имеющим детей»
Свежий номер газеты «Коломяжские вести» — февраль, 2018
Плата за негативное воздействие на окружающую среду
График проведения встреч с населением на территориях внутригородских муниципальных образований Санкт-Петербурга
Во дворе гуляй, про ПДД не забывай
Мастер-класс по созданию кокошников
Ярмарка вакансий для женщин
Депутаты фракции «Единая Россия» поддержали социальные законопроекты
Ярмарка вакансий для женщин
Культурно-массовые мероприятия, проводимые на территории Приморского района, посвященные празднованию Масленицы
Депутаты фракции «Единая Россия» поддержали социальные законопроекты
В Санкт-Петербурге продолжается реализация проекта «Твой бюджет»
Бесплатные билеты для детей в кинотеатр
Приглашаем на спектакль «На чужом пиру»
Звонкая масленица в Коломягах
Новые конкурсы и розыгрыши призов от «Коломяжских вестей»
Открытый зимний фестиваль спорта «ОРИЕНТИР-КОЛОМЯГИ»
Ответственность страховщиков перед третьими лицами (пассажирами, пешеходами) за вред, причиненный им в результате взаимодействия источников повышенной опасности (столкновения транспортных средств и т.п.)
Опрос-голосование в рамках проекта «Формирование комфортной городской среды»
Экскурсия «Особняк Половцова»
Экскурсия для детей в Военно-морской музей
Ответственность страховщиков перед третьими лицами (пассажирами, пешеходами) за вред, причиненный им в результате взаимодействия источников повышенной опасности (столкновения транспортных средств и т.п.)
Информация о чрезвычайных происшествиях на ледовых покрытиях водных объектов Санкт-Петербурга и Ленинградской области
Информация о чрезвычайных происшествиях на ледовых покрытиях водных объектов Санкт-Петербурга и Ленинградской области
Неблагоприятные метеоявления
Неблагоприятные метеоявления
Реализация избирательных прав граждан Российской Федерации, являющихся инвалидами
Опрос представителей бизнес-сообщества
Концерт, посвященный 74-й годовщине полного освобождения Ленинграда от фашистской блокады
Поехал? Пристегнись!
Обзорная экскурсия по городу с посещением особняка Половцова
Автобус № 180 поможет в транспортном обслуживании жителей квартала на Суздальском шоссе
Голосование по месту нахождения
О проведении общественного конкурса фотографии, посвященного животному миру и природе Ленинградской области
Поздравление депутата Государственной Думы ФС РФ В.И. Катенева с Днем снятия блокады Ленинграда
27 января – День полного освобождения Ленинграда от фашистской блокады (1944 год)
О приеме заявлений избирателей о включении в список избирателей по месту нахождения на выборах Президента Российской Федерации
Обращение Председателя Законодательного Собрания Санкт-Петербурга, Секретаря Санкт-Петербургского регионального отделения партии «Единая Россия» В.С. Макарова по случаю 74-й годовщины полного освобождения Ленинграда от фашистской блокады
Внимание предпринимателям города Санкт-Петербурга!
Стань заметнее на дорогах!
Саженцы в обмен на пластиковые крышки
Бесплатные билеты на спектакль «Последняя любовь Наполеона»
Депутаты выступили против сноса исторических зданий
Экологическая акция по сбору вторсырья
Памятка по безопасному поведению в сильные морозы
Свежий номер газеты «Коломяжские вести» — январь, 2018
Ограничения, связанные с продажей и использованием в коммерческих целях редких видов животных
Памятка по безопасному поведению в сильные морозы
Детские билеты в Сказкин дом/Кидбург/Лабиринтум
Бесплатные билеты в кинотеатр сети Формула кино
Движение автобусов маршрута №38
Дорожно-транспортная обстановка на территории Приморского района Санкт-Петербурга по итогам 2017 года
Новогоднее вручение медалей «Рожденному в Коломягах»
Новогоднее вручение медалей «Рожденному в Коломягах»
Меры предосторожности при купании в ледяной купели
Меры предосторожности при купании в ледяной купели
График «Лыжных стрел» в 2018 году
Беговелогонка в Коломягах
Иерея Алексея Галкина наградили медалью «90-лет ДОСААФ России»
С Новым годом!
С Новым годом!
Акция «Ёлки, палки, пять бизонов» вновь пройдет в Петербурге
Памятка о мерах пожарной безопасности в период отопительного сезона
Поздравление председателя Законодательного Собрания Санкт-Петербурга, Секретаря Санкт-Петербургского регионального отделения партии «Единая Россия» Вячеслава Серафимовича Макарова с Новым 2018 годом и Рождеством Христовым
Конкурс «По дороге всей семьей»
В первые выходные нового года в парке 300-летия Санкт-Петербурга детей будет ждать Дед Мороз
Новый год на Озере Долгом
Поздравление Депутата Государственной Думы ФС РФ В.И.Катенева с Новым годом
Экологический сбор
Информация по утвержденным графикам работы секторов МФЦ Приморского района на 2018 год
Новогодние гуляния в МО Коломяги
Информация по утвержденным графикам работы секторов МФЦ Приморского района на 2018 год
Ответ на обращение по поводу изменения движения общественного транспорта
Новогодняя туристская ярмарка «ЗимаФест» в Пассажирском порту «Морской Фасад»
О проекте «Твой бюджет»
Новогодний номер газеты «Коломяжские вести» — декабрь, 2017
Осуществление деятельности РКО «Балтийская линия» на территории Приморского района
«Об особо охраняемых природных территориях»
Выборы Президента Российской Федерации
Концерт «В кругу друзей»
Информация для работодателей, осуществляющих деятельность на территории Санкт-Петербурга
Памятка населению по правилам поведения на льду
Санкт-Петербургский университет МВД осуществляет набор юношей и девушек по следующим специальностям
Выездное заседание Общественного Совета по малому предпринимательству
День Конституции Российской Федерации – 12 декабря
Управление Пенсионного фонда участвует в Общероссийском дне приема граждан
Экскурсия «Новогоднее убранство города»
Спектакль «Не такой как все» в ДК им. Горького
«Необыкновенный подарок Деда Мороза»
Уважаемые жители Калининского района!
Информация о проведении общероссийского дня приёма граждан в День Конституции Российской Федерации 12 декабря 2017 года
О продлении сроков ограничения реализации отдельных видов спиртосодержащей непищевой продукции и приостановлении розничной торговли спиртосодержащими пищевыми добавками и ароматизаторами на 180 дней
Памятка жителям Приморского района по применению пиротехнических изделий
О продлении сроков ограничения реализации отдельных видов спиртосодержащей непищевой продукции и приостановлении розничной торговли спиртосодержащими пищевыми добавками и ароматизаторами на 180 дней
Памятка жителям Приморского района по применению пиротехнических изделий
Новогодний конкурс детского рисунка
Государственный Центр социальной реабилитации инвалидов и детей-инвалидов приглашает
План подготовки и проведения в Санкт-Петербурге общегородских мероприятий, посвященных Новогодним и Рождественским праздникам
Автомобильный огнетушитель
Правила безопасности при выходе на лед
Автомобильный огнетушитель
Новогодний концерт «В кругу друзей»
Поздравление Председателя Законодательного Собрания Санкт-Петербурга, Секретаря Санкт-Петербургского регионального отделения партии «ЕДИНАЯ РОССИЯ» В.С. Макарова с Днем матери
Акция «Подарок от Деда Мороза»
Акция «Подарок от Деда Мороза»
Подарочные сертификаты ко Дню матери
Прокуратура Приморского района проводит «горячую линию»
Прокуратура Приморского района проводит «горячую линию»
Второй этап Общероссийской антинаркотической акции «Сообщи, где торгуют смертью»
Прокуратура проводит встречу с общественными объединениями инвалидов Санкт-Петербурга
Набор граждан в военные образовательные учреждения высшего профессионального образования Министерства Обороны Российской Федерации
Служба в Вооруженных силах – важный этап в биографии каждого мужчины
Служба в Вооруженных силах – важный этап в биографии каждого мужчины
Набор граждан в военные образовательные учреждения высшего профессионального образования Министерства Обороны Российской Федерации
Обучение водителей категорий «C», «D», «E» в автошколах ДОСААФ России
Внимание, розыск очевидцев!
Свежий номер газеты «Коломяжские вести» — ноябрь, 2017
«День матери» в парке развлечений «Озорные белки»
XV Форум субъектов малого и среднего предпринимательства Санкт-Петербурга
Бюджет Санкт-Петербурга сохраняет социальную направленность
Запись на экскурсию «Зимний дворец Петра I»
Запись на экскурсию в Меншиковский дворец
Бюджет Санкт-Петербурга сохраняет социальную направленность
Встреча с председателем Комитета по межнациональным отношениям и реализации миграционной политики в Санкт-Петербурге
IV Большой Круг Общероссийской Общественной Организации по развитию казачества «Союз Казаков-Воинов России и Зарубежья»
Ярмарка профессий — 14 ноября 2017 года
Приглашаем жителей на спектакль «Мастер и Маргарита»
Два опасных путешествия 1917 года
Фестиваль-смотр коллективов Приморского района
Фестиваль «Вместе мы едины»
Поздравление Депутата Государственной Думы ФС РФ В.И.Катенева с Днем народного единства
Поздравление Председателя Законодательного Собрания Санкт-Петербурга, Секретаря Санкт-Петербургского регионального отделения партии «ЕДИНАЯ РОССИЯ» В.С. Макарова
Урок по профилактике ДТТ
Внимание! Проводится опрос!
Экскурсия в Михайловский замок по программе «Золотой возраст»
Транспортный налог первое чтение
Петербургский фестиваль «Дни национальных культур — 2017»
УМВД России приглашает на службу в полицию
На улице Главная появился пешеходный переход
Многодетные семьи Петербурга освободят от уплаты транспортного налога
Пожарная опасность самодельных отопительных приборов
Свежий номер газеты «Коломяжские вести» — октябрь, 2017
Душа казачья: Петербург выбрал лучшие хутор и станицу
Пожарная опасность самодельных отопительных приборов
В Приморском районе успешно осуществляет свою деятельность СПб ГБУ «Центр социальной реабилитации инвалидов и детей-инвалидов Приморского района»
Экскурсия для жителей старше 60 лет в Строгановский дворец
Экскурсия для жителей округа «Гатчина. Большой Гатчинский дворец»
Бесплатные консультации по установке наружной рекламы в Санкт-Петербурге
Петербургских чиновников будут штрафовать за некачественное предоставление госуслуг
В Петербурге скорректируют перечень зеленых насаждений с учетом мнения жителей
Слет представителей казачьих сообществ Санкт-Петербурга 2017 года
Приглашаем на спектакль «Недоросль»
Перерасчет пенсии
Слет представителей казачьих сообществ Санкт-Петербурга 2017 года
Встреча c председателем Комитета по социальной политике Санкт-Петербурга А.Н. Ржаненковым
В Петербурге запретят продажу «вейпов» несовершеннолетним гражданам
Средний размер социальной выплаты на приобретение жилья для многодетных семей может составить 2,9 млн руб.
В Краснодаре проходит заседание Совета при Президенте РФ по делам казачества
Правовой марафон для пенсионеров
Нормативы в области охраны окружающей среды
Не откладывайте уплату налога на последний день!
Профилактика гриппа
Поздравление Председателя Законодательного Собрания Санкт-Петербурга, Секретаря Санкт-Петербургского регионального отделения партии «Единая Россия» Вячеслава Макарова с Международным днем пожилых людей
Открытие выставки проектов нового музейно-выставочного комплекса «Оборона и блокада Ленинграда»
Комитет по культуре Санкт-Петербурга ведет прием граждан в администрации Приморского района
Бесплатные билеты на концерт Светланы Мудрецовой «Соло для души»
Обращение Военного комиссара Приморского района города Санкт-Петербурга Лашко Олега Анатольевича к родителям призывников.
Детям-сиротам и работникам государственных спортивных школ предоставят дополнительные меры социальной поддержки
Призовые места на XVI конкурсе муниципальных и районных СМИ
Правила пожарной безопасности в образовательных учреждениях от ОНДПР, ПСО, ВДПО И ТО УГЗ МЧС РФ по Приморскому району
Правила пожарной безопасности в образовательных учреждениях от ОНДПР, ПСО, ВДПО И ТО УГЗ МЧС РФ по Приморскому району
Свежий номер газеты «Коломяжские вести» — сентябрь, 2017
Розыск очевидцев ДТП
Семейный мастер-класс «Закладка для книг»
День перенесения мощей святого благоверного князя Александра Невского
Уплата налога в срок — правила хорошего тона!
Спектакль «Царская невеста», вход свободный
Билеты на детский спектакль «Конек-горбунок»
Гражданской обороне России – 85 лет!
Поздравление Председателя Законодательного Собрания Санкт-Петербурга, Секретаря Санкт-Петербургского регионального отделения партии «ЕДИНАЯ РОССИЯ» Вячеслава Макарова с Днем знаний
Ежегодный туристский слет «Коломяжские туристы — 2017»
Фестиваль национальных кухонь пройдет с 1 по 3 сентября
Жизненный хит
Билеты в кинотеатр, выдача 7 сентября
Мобилизация — 2017
Коломяжский азимут — 2017
Маршруты общественного транспорта меняются на время работ на Афонской улице
Приглашаем на экскурсию «Ораниенбаум. Китайский дворец»
Запись на экскурсию «Суворов в Петербурге с посещением музея Суворова»
Водитель, сбивший пешехода на Парашютной улице, объявлен в розыск
Футбольная команда «Коломяги» достойно дебютировала
Экскурсия в Крепость Орешек для родителей с детьми
Поздравление Председателя Законодательного Собрания Санкт-Петербурга, Секретаря Санкт-Петербургского регионального отделения партии «ЕДИНАЯ РОССИЯ» Вячеслава Макарова с Днем Государственного флага Российской Федерации
Профилактическое мероприятие «Внимание – Дети!» пройдет с 21 августа по 10 сентября 2017 года
Информационное сообщение о проведении мероприятий по профилактике гриппа
Информационное сообщение о проведении мероприятий по профилактике гриппа
Меры предосторожности при курении
Запись на экскурсию «Непарадное Царское Село. Арсенал»
Меры пожарной безопасности в отопительный сезон
Всемирный фестиваль молодежи и студентов
Свежий номер газеты «Коломяжские вести» — август, 2017
Пожарная безопасность жилых домов. Пожарный рукав и кран в квартире
Минтруд России проводит опрос граждан о мерах по повышению рождаемости и поддержке семей с детьми
Августовская прибавка к пенсии работающим пенсионерам
Футбол в Коломягах
«Тигрица с тигренком» на Вербной улице
Природоохранная прокуратура г. Санкт-Петербурга разъясняет
Терроризм: как не стать жертвой
Памятка о порядке действий при обнаружении подозрительного предмета, который может оказаться взрывным устройством
Я нашел подозрительный пакет в транспорте. Стоит ли поднимать шум?
Это важно! «Тихая охота»!
Бесплатные билеты для детей в Сказкин дом/ЛабиринтУм/Кидбург
Запись на экскурсии «Псков. Печоры», «Тихвин»
Это важно! «Тихая охота»!
Это важно! Ливневый дождь, гроза
«Колёс меньше – опасности больше»
Ярмарка вакансий для инвалидов — 19 сентября 2017
«В Коломягах всегда жили крепкие семьи»
Вопросы уголовной и административной ответственности за незаконное культивирование наркосодержащих растений
Поздравление Председателя Законодательного Собрания Санкт-Петербурга, Секретаря Санкт-Петербургского регионального отделения партии «ЕДИНАЯ РОССИЯ» Вячеслава Серафимовича Макарова с Днем Военно-Морского Флота
Вопросы уголовной и административной ответственности за незаконное культивирование наркосодержащих растений
Профилактика в пожароопасный период
Приглашаем получить билеты на спектакль «Маленькая услуга»
Правительство Санкт-Петербурга 30 июля приглашает принять участие в праздновании Дня ВМФ
Справочная информация по празднованию Дня ВМФ в Санкт-Петербурге
Экскурсия по рекам и каналам «Парадный Петербург»
Ежегодный двухдневный турслет «Коломяжские туристы-2017»
Свежий номер газеты «Коломяжские вести» — июль, 2017
Алкоголь за рулем
Чемпионат по волейболу — 22.07.2017
Бесплатные билеты на детские мероприятия
Вступили в силу поправки в правила дорожного движения в части обеспечения безопасности детей-пассажиров
Что делать при пожаре в лифте?
В Петербурге можно будет поклониться мощам святителя Николая Чудотворца
Розыск очевидцев!
С вежливым водителем — дорога короче и приятнее!
8 июля – День семьи, любви и верности
Награждение участников военно-патриотического движения Санкт-Петербурга
Турнир по волейболу 15.07.2017
Бывший старший инспектор УФМС предстанет перед судом по обвинению в получении взяток за непривлечение к ответственности
В суд направлено уголовное дело в отношении водителя, из хулиганских побуждений напавшего на несовершеннолетнего
В связи с поступлением в прокуратуру района многочисленных жалоб граждан на неправомерные действия супруга (супруги) при осуществлении выезда за пределы Российской Федерации с несовершеннолетним ребенком прокуратура района разъясняет следующее
Роспотребнадзор проводит консультирование петербуржцев и гостей города
Порядок принудительного исполнения постановлений суда
Соблюдайте требования пожарной безопасности на лестничной клетке — это основной путь эвакуации людей при пожаре
Федеральный закон от 1 мая 2017 г. N 91-ФЗ «О внесении изменений в статью 34 Федерального закона «О воинской обязанности и военной службе»
Приглашаем жителей на бесплатную экскурсию в Псков и Изборск
Бесплатные билеты в кинотеатр сети «Формула кино»
Обращение Председателя Законодательного Собрания Санкт-Петербурга, Секретаря Санкт-Петербургского регионального отделения партии «ЕДИНАЯ РОССИЯ» Вячеслава Макарова
Депутаты петербургского парламента обратились к федеральным министрам с просьбой поддержать учащуюся молодежь
Внимание! Розыск очевидцев
Рыба как источник инвазионных болезней человека
Приглашаем жителей на экскурсию в Кингисепп и Ивангород
Экскурсия для жителей старше 60 лет на Валдай
Свежий номер газеты «Коломяжские вести» — июнь, 2017
Закон о льготном проезде для экстернов вступит в силу с 1 сентября 2017 года
Когда стоит обращаться в Центр занятости населения Санкт-Петербурга
Поздравление Председателя Законодательного Собрания Санкт-Петербурга, Секретаря Санкт-Петербургского регионального отделения партии «Единая Россия» Вячеслава Макарова с Днем России
Турнир по баскетболу — 2017
Возможность получения материальной помощи гражданам, оказавшимся в трудной жизненной ситуации, продлена до конца 2019 года
В МФЦ регистрируют на портале бизнес-навигатора
В День России на Дворцовой площади состоится грандиозный концерт
Уличный праздник «Шаг, и ты в библиотеке»
Какое наказание предусмотрено за сдачу жилья без договора найма
Турнир по футболу 10.06.2017
Фотоконкурс «Мои Коломяги» — 2017
Чемпионат по футболу МО Коломяги — 2017
Категорически запрещено купаться в местных водоемах!
Клещи: как защититься. Признаки укуса, как удалить клеща и что делать после укуса. Средства и прививки от клещей
Правила поведения во время грозы
«Дела частного обвинения»
«Дела частного обвинения»
Подарки ко Дню семьи
Подарки ко Дню семьи
Приглашаем получить билеты в кино!
Уличное гуляние в честь Дня семьи
27 мая — День города – День основания Санкт-Петербурга
27 мая — День города – День основания Санкт-Петербурга
Об адресной инвестиционной программе Санкт-Петербурга на 2017 в сфере строительства улично-дорожной сети в Приморском районе
День Победы в Коломягах — 2017
Федеральным законом от 17.04.2017 № 68-ФЗ внесены изменения в Кодекс Российской Федерации об административных правонарушениях
Памятка «О правилах поведения граждан на водных объектах в летний период»
Федеральным законом от 17.04.2017 № 68-ФЗ внесены изменения в Кодекс Российской Федерации об административных правонарушениях
Свежий номер газеты «Коломяжские вести» — май, 2017
Комитет по труду и занятости населения Санкт-Петербурга информирует
Госавтоинспекция Приморского района проводит акцию «ПРИСТЕГНИСЬ»
Секция по рукопашному бою
С 01.04.2017 года содержание детских и спортивных площадок округа находится в ведении МБУ «Развитие»
УМВД России по Приморскому району г. Санкт-Петербурга предупреждает
Фестиваль славянской культуры «Славянская Ярмарка»
Для чего нужны первичные средства пожаротушения?
Будь внимателен! Дети
Фотографии с праздника, посвященному Дню Победы
Начался прием заявлений на участие в церемонии чествования супружеских пар
Экскурсия для жителей «Шлиссельбург. Крепость Орешек. Невская Дубровка и Невский пятачок»
Начался прием работ на конкурс «Семейная мозаика»
Стихотворение ко Дню Победы
Второе заседание Координационного совета по местному самоуправлению в Санкт-Петербурге
Стартовала Всероссийская информационная кампания против поджогов сухой травы «Береги лес»
Cхема движения колонны торжественного шествия 9 мая
Классика на Дворцовой
Очередной прием субъектов предпринимательской деятельности
Приглашаем родителей получить билеты на спектакль «Вождь краснокожих»
Извещение о проведении государственной кадастровой оценки всех видов объектов недвижимости, в том числе земельных участков
О последствиях злоупотребления алкоголем
Литературная эстафета «Читающий Приморский»
Акции «Добрая дорога детства в Коломягах»
Внимание, опрос!
Бессмертный полк-2017
Российский проект по цифровой грамотности для детей «Сетевичок»
Схема обустройства детской площадки по адресу ул.Вербная, д.20, к.2
Продолжает работать программа поддержки пожилых людей старше 75-летнего возраста
Акция «Мы выбираем жизнь без наркотиков»
Парковка на газонах
Свежий номер газеты «Коломяжские вести» — апрель, 2017
Концерт оркестра ТО «Маэстро» «Романсы, танго, вальсы»
Cнос гаражей, расположенных на перекрестке улицы Солунской и улицы Вербной
День местного самоуправления
Запрос о предотвращении возникновения аварийной ситуации
Информация о деятельности прокуратуры района
Внимание! Розыск!
Морской барьер Петербурга
Информация о деятельности прокуратуры района
Ярмарка вакансий для инвалидов состоится 24 апреля 2017
Приглашаем принять участие в весеннем субботнике!
Поздравление Председателя Законодательного Собрания Санкт-Петербурга, Секретаря Санкт-Петербургского регионального отделения партии «ЕДИНАЯ РОССИЯ» Вячеслава Макарова с Днем космонавтики
На улице Главная ГУДОДД планирует обустроить пешеходный переход
Спектакль для детей «Сказка о заколдованной царевне»
11 апреля — Международный день освобождения узников фашистских концлагерей
Ток-шоу «Азбука дорожного движения»
Информация об изменениях в работе городского пассажирского транспорта в дни православных праздников
Диспансеризация
Рекомендации гражданам по действиям при угрозе совершения террористического акта
Трудоустройство несовершеннолетних
Вопрос: Куда сообщить о фактах экстремизма и терроризма?
Начался прием заявок на участие в молодежном конкурсе «Паруса молодежи»
Рекомендации гражданам по действиям при угрозе совершения террористического акта
Ярмарка вакансий для граждан с ограниченными возможностями
Иски по зеленым насаждениям
Критический «КРАСНЫЙ» уровень
Памятка по профилактике терроризма
Критический «КРАСНЫЙ» уровень
Памятка по профилактике терроризма
Проведение Всероссийского дня приема предпринимателей
Инструкция о действиях при обнаружении объектов, похожих на взрывные устройства
Молодежная биржа труда оформляет на работу и заключает трудовые договоры с несовершеннолетними от 14 до18 лет
Краеведческие чтения ко дню рождения Приморского района
Памятка населению Приморского района о пожарной безопасности
Конкурс исследовательских работ «Моя прекрасная семья»
Концерт Военного оркестра штаба Северо-Западного округа войск национальной гвардии Российской Федерации «Время любить»
Депрессия — взгляд со стороны
30 марта 2017 года в Управлении Росреестра по Санкт-Петербургу состоится горячая телефонная линия
Сотрудники ОНДПР Приморского района в целях предотвращения и снижения числа пожаров проводят консультации по вопросам пожарной безопасности и практически ежедневный прием граждан
Приглашаем на встречу со специалистами Фонда социального страхования
Свежий номер газеты «Коломяжские вести» — март, 2017
Мастер-класс «Пасхальный зайчик»
Все на борьбу с наркобизнесом!
Пожарно-спасательный отряд призывает жителей района к строгому соблюдению требований пожарной безопасности
Расписание занятий с неработающим населением МО Коломяги в области безопасности жизнедеятельности на 2017 год
Обращение Врио начальника отдела военного комиссариата города Санкт-Петербург по Приморскому району Прапорщикова Александра Александровича к родителям призывников
Обращение Врио начальника отдела военного комиссариата города Санкт-Петербург по Приморскому району Прапорщикова Александра Александровича к родителям призывников
Обучение специальности водителя категорий «C», «D», «E» в автошколах ДОСААФ России
Расписание занятий с неработающим населением МО Коломяги в области безопасности жизнедеятельности на 2017 год
Магистраль ЮИД
Город получит новый Генплан
Главы муниципальных образований Санкт-Петербурга посетили Государственную Думу
Главное в газете – творчество читателей!
Прием граждан на службу в войска национальной гвардии
17 марта 2017 года Управление Росреестра по Санкт-Петербургу проведёт горячую телефонную линию
В Санкт-Петербурге стартовала антинаркотическая акция «Сообщи, где торгуют смертью»
Экскурсия в Константиновский дворец в рамках программы «Золотой возраст»
Памятка для пациентов «Бешенство — болезнь смертельная»
Санкт-Петербургский Международный Форум Труда 2017
Доступная среда жизнедеятельности для инвалидов и других маломобильных групп населения
Увеличена административная ответственность за нарушение законодательства в области персональных данных
Спектакль для детей «Как солдат в сказку попал»
Приглашаем принять участие в турнире по шахматам!
Поздравление Председателя Законодательного Собрания Санкт-Петербурга, Секретаря Санкт-Петербургского регионального отделения партии «ЕДИНАЯ РОССИЯ» Вячеслава Макарова с Международным женским днем
Поздравление Депутата Государственной Думы ФС РФ В.И.Катенева c Международным женским днем
Увеличена административная ответственность за нарушение законодательства в области персональных данных
Льготы по налогам
Приглашаем жителей на бесплатную экскурсию «Комплекс защитных сооружений»
Билеты на спектакль «Двое с большой дороги»
Порядок постановки на учет объектов негативного воздействия на окружающую среду
Свежий номер газеты «Коломяжские вести» — февраль, 2017
План-график сбора опасных видов отходов от населения Санкт-Петербурга с использованием мобильного пункта приема «Экомобиля»
Межрайонная ИФНС России №26 по Санкт-Петербургу сообщает
Ответ на обращение по поводу нарушения норм природоохранного законодательства
Осторожно! Хрупкий лёд!
Ответ на обращение по поводу нарушения норм природоохранного законодательства
Приглашаем жителей получить билеты в кино с открытой датой
Масленица в Коломягах и Юбилейном квартале!
«Объединение граждан на «Дальневосточных гектарах»
15 февраля – годовщина вывода советских войск из Республики Афганистан
Ответ на обращение по поводу отсутствия пешеходных тротуаров, в том числе на отрезке ул. Новосельковской от ул. Щербакова до ул. Эстонской
Официальный сайт УМВД России по Приморскому району
УМВД приглашает на службу в отдельный батальон патрульно-постовой службы полиции
О продлении сроков ограничения реализации отдельных видов спиртосодержащей непищевой продукции на 60 дней
Ярмарка профессий состоится 1 марта 2017 года
Индексация пенсий и социальных выплат
Чествование 100-летнего юбиляра
Встреча Главы Администрации Приморского района с жителями МО Коломяги
Приглашаем жителей на экскурсию «Ораниенбаум. Меньшиковский дворец и Картинный дом»
Земельный участок можно получить в безвозмездное пользование
«Горячая линия» по вопросам соблюдения прав субъектов предпринимательской деятельности
В Приморском районе пройдет профилактическое мероприятие «Пешеход. Пешеходный переход»
Текущая ситуация по дорожно-транспортному травматизму в Приморском районе
«О принятии решения об использовании частной автомобильной дороги общего пользования «Западный скоростной диаметр» на платной основе»
Приглашаем на концерт «Защищая Отечество», ансамбль «Казачья Доля»
Лыжня России 2017 в Приморском районе
Год Новый, а пожары всё те же!
Медаль «Рожденному в Коломягах» — в память о малой родине
В целях профилактики нарушений и исключения фактов несвоевременной сдачи сведений в Невско-Ладожское бассейновое водное управление природоохранная прокуратура Санкт-Петербурга разъясняет следующее
В Приморском районе проводится профилактическое мероприятие «Приоритет»
Пользователи единого портала государственных услуг смогут оплачивать государственную пошлину со «скидкой» 30%
27 января — День полного освобождения Ленинграда от фашистской блокады
«Горячая линия» по вопросам несанкционированного складирования отходов в Санкт-Петербурге
Приглашаем на экскурсию «Юсуповский дворец с будуарами»
«Горячая линия» по вопросам несанкционированного складирования отходов в Санкт-Петербурге
Приглашаем на экскурсию «Дорога жизни. Осиновец»
Ответ на обращение по поводу обустройства пешеходного перехода на улице Главная, д.26
Свежий номер газеты «Коломяжские вести» — январь, 2017
На Крещение в Приморском районе откроют две иордани
Обращение Председателя Законодательного Собрания Санкт-Петербурга, Секретаря Санкт-Петербургского регионального отделения партии «Единая Россия» Вячеслава Макарова по случаю 74-й годовщины прорыва блокады Ленинграда:
Единый день приёма по вопросам соблюдения требований действующего законодательства о защите прав юридических лиц и индивидуальных предпринимателей
Единый день приёма по вопросам соблюдения требований действующего законодательства о защите прав юридических лиц и индивидуальных предпринимателей
Состояние дорожно-транспортной обстановки на территории Приморского района г. Санкт-Петербурга по итогам 2016 года
19 ЯНВАРЯ ЗАВЕРШАЕТСЯ ПРИЕМ ЗАЯВЛЕНИЙ НА ЗАПИСЬ В 1 КЛАССЫ ЛЬГОТНИКОВ
Приглашаем родителей получить билеты в «Лабораторию научных чудес»
Билеты на спектакль «Чайка»
Военно-историческая реконструкция «В полосе прорыва»
Семинар «10 шагов к бизнесу»
Самое главное — новогодний настрой!
Семейный конкурс по безопасности дорожного движения «ПО ДОРОГЕ ВСЕЙ СЕМЬЕЙ»
«Коломяжские вести» снова первые!
График работы дежурных поликлиник в новогодние каникулы
Прокуратура разъясняет
Поздравление Председателя Законодательного Собрания Санкт-Петербурга, Секретаря Санкт-Петербургского регионального отделения партии «Единая Россия» В.С.Макарова с Новым 2017 годом
Приглашаем на новогодние уличные гуляния!
Приглашаем на новогодние уличные гуляния!
Государственная регистрация права общей собственности на недвижимое имущество
Прокуратура информирует, декабрь 2016
«Ёлки, палки, пять бизонов»
КВН «Безопасная дорога детства!»
Государственная регистрация права общей собственности на недвижимое имущество
Новогодний номер газеты «Коломяжские вести» на нашем сайте
Праздничный переполох: семь лучших Рождественских ярмарок Петербурга
Безопасные каникулы или «правильный» Новый год
Памятка по пожарной безопасности при проведении Новогодних и Рождественских праздников
Экскурсия «Вечернее убранство Петербурга»
Экскурсия для родителей с детьми «Город желаний»
II Санкт-Петербургский антинаркотический форум «Санкт-Петербург – территория безопасности»
12 декабря — общероссийский день приема граждан
Безопасный Новый год!
15 декабря 2016 года льготные категории граждан смогут начать подавать документы на запись в первые классы школ на 2017-2018 учебный год
Акция «Подарок от Деда Мороза»
6 декабря 2016 года Управление Росреестра по Санкт-Петербургу проводит горячую телефонную линию для юридических лиц
Всероссийская акция «Стоп ВИЧ/СПИД»
Бесплатные билеты для жителей на спектакль «Анатомия любви или игра вслепую»
Чемпионат Федерации рукопашного боя работников правоохранительных органов «Динамо»
Утверждено Положение об особенностях режима рабочего времени и времени отдыха членов экипажей морских судов
Вводятся новые санитарно-эпидемиологические требования к физическим факторам на рабочих местах
Поздравление Губернатора Санкт-Петербурга Г.С. Полтавченко и Председателя Законодательного Собрания Санкт-Петербурга В.С.Макарова с Днем матери
Столбняк. Зачем рисковать, если можно защитить
Памятка населению по безопасному поведению на водных объектах в зимний период
«Варежка. Подари тепло ребёнку!»
Столбняк. Зачем рисковать, если можно защитить
Памятка населению по безопасному поведению на водных объектах в зимний период
Свежий номер газеты «Коломяжские вести» — ноябрь, 2016
Ярмарка вакансий «Труд и занятость»
Рекомендации по пользованию водоразборными колонками
Информирование субъектов предпринимательской деятельности
Депутат Законодательного Собрания Санкт-Петербурга АНОХИН Андрей Юрьевич
Информирование субъектов предпринимательской деятельности
Всемирный день матери
Подарки ко Дню матери
Второй этап Всероссийской антинаркотической акции «Сообщи, где торгуют смертью»
26 и 27 ноября 2016 года пройдет фестиваль, посвященный празднованию Дня матери
Приглашаем на автобусную экскурсию «Морской Петербург» с посещением подводной лодки «Народоволец»
Приглашаем на экскурсию «Ораниенбаум. Большой Меньшиковский дворец»
Комитет по благоустройству и дорожные предприятия открыли горячие линии по уборке улиц Петербурга в зимний период
Отраслевая ярмарка вакансий — 18 ноября 2016
Получить информацию о кадастровой стоимости объектов недвижимости можно онлайн и в офисах МФЦ
Горячая телефонная линия по вопросам осуществления государственного земельного надзора прошла в Управлении Росреестра по Санкт-Петербургу
Информация для многодетных семей
Пожарная безопасность зданий повышенной этажности
Внимание! Предупредите детей, будьте осторожны!
Урок по профилактике дорожно-транспортного травматизма
Бесплатные билеты на творческий вечер Александра Лазарева мл.
Прокуратура Приморского района провела проверку законности зачисления в первые классы школ Приморского района
Субботник на новой детской площадке
Ярмарка-выставка «Малый бизнес и предпринимательство» — 1 ноября 2016
Внимание, дети!
Свежий номер газеты «Коломяжские вести» — октябрь, 2016
Торжественное открытие детской площадки на улице Репищева, д.7
ХII фестиваль «Детские дни в Петербурге»
УМВД России по Приморскому району г. Санкт-Петербурга предоставляет государственные услуги
Открытый урок по Правилам Дорожного Движения при поддержке МО Коломяги
Билеты на концерт Анны Петровской «Очередь за счастьем»
Экскурсия в Петергоф
Бороться с вторичным сиротством – вместе!
Отдел военного комиссариата Санкт-Петербурга по Приморскому району информирует
Ярмарка вакансий для инвалидов 20 октября 2016
Набор в секцию по рукопашному бою
Ежегодный конкурс «Золотая кулина»
Памятка о мерах пожарной безопасности при эксплуатации печного отопления
Встреча жителей Приморского района с председателем Комитета по социальной политике Санкт-Петербурга А.Н. Ржаненковьм
Билеты на детские спектакли в театр «За Черной речкой»
«Спасибо Интернету — 2016»
Экскурсия в Мраморный дворец
Информация о единовременной компенсационной выплате в размере 5000 рублей гражданам Российской Федерации, постоянно проживающим на ее территории и являющимся получателями страховых пенсий и пенсий по государственному пенсионному обеспечению, в качестве социальной поддержки
Дорогие ленинградцы-петербуржцы!
Дорогие ленинградцы-петербуржцы!
Бесплатные билеты на концерт «Музыка кино»
«Приморская звезда» начинает приём заявок!
Управление ФНС России информирует
«Безопасное колесо — 2016»
Серьезные ограничения ожидают главную транспортную артерию севера Петербурга
Свежий номер газеты «Коломяжские вести» — сентябрь 2016
26 сентября 2016 года Управление Росреестра по Санкт-Петербургу проводит горячую телефонную линию
Заблаговременная подготовка документов на назначение пенсий
Ярмарка вакансий для молодежи
Ярмарка вакансий для молодежи
Ярмарка вакансий — 12 октября 2016
Предотвратим пожар в своем доме
Итоги выборов: двор победил фейсбук
Общегородская ярмарка вакансий в Экспофоруме
Открытый урок по Правилам Дорожного Движения в Юбилейном квартале
Автобусная экскурсия для детей и родителей
Приглашаем на экскурсию «Выборг. Парк Монрепо»
Бесплатные билеты на концерт ко Дню пожилого человека
Гражданская оборона — защищенное государство
Бесплатное обучение для лиц с ограниченными возможностями
Пенсионный фонд информирует
Что такое алкоголизм
25 сентября 2016 года будет проведен велопробег «Пушкин — Санкт-Петербург»
Внимание, розыск!
Внимание, розыск!
Единый государственный реестр недвижимости
В восьми центрах госуслуг Санкт-Петербурга сведения и ГКН можно получить быстрее
Билеты в кинотеатры «Формула кино» с открытой датой
Каждому первокласснику — светоотражатель
Чемпионат по футболу за переходящий кубок МО Коломяги-2016
IX Международный фестиваль чая и кофе
Школа отмечает юбилей
Экскурсия для старшего пенсионного возраста ко Дню пожилого человека
ФКУ «Центр ГИМС МЧС РФ по г. Санкт-Петербургу» информирует
Четвертый открытый конкурс художественного слова имени Ольги Берггольц «ГОЛОС БЛОКАДНОГО ЛЕНИНГРАДА»
Освящение казачьего штандарта
Турнир по волейболу в Юбилейном квартале
Должникам – отключения, добросовестным потребителям – подарки
Школьная ярмарка
Перевод граждан с доставки пенсии по почтово-банковской технологии
Вакцинация против гриппа
Запись на экскурсию в Кронштадт — 23 августа
Запись на экскурсию «Старая Русса» — 23 августа
Свежий номер газеты «Коломяжские вести» — август, 2016
Празднование Дня Государственного флага Российской Федерации пройдет 21 августа 2016 года
Безопасность детей зависит от нас – взрослых!
24 августа состоится общегородская проверка системы оповещения!
С 23 по 25 августа пройдут дни открытых дверей в ПФР — узнай больше о возможностях Личного кабинета Гражданина
Кинофестиваль «Третий возраст – новые возможности» — честное кино о старости
Коломяги с неожиданных ракурсов
Бесплатные билеты с открытой датой для детей и взрослых
Профилактическое мероприятие «Приоритет»
Разграничение оснований рассмотрения обращений граждан и сообщений о происшествиях
Разграничение оснований рассмотрения обращений граждан и сообщений о происшествиях
«Тихая охота»
Возмещение ущерба государству причиненного преступлением
11 августа 2016 года Управление Росреестра по Санкт-Петербургу проводит горячую телефонную линию
МегаШашлык-2016 — 13 августа
Турнир по баскетболу на кубок Главы МО Коломяги
Полезные услуги для пенсионеров доступны в МФЦ
Госавтоинспекция Приморского района информирует
Рейд на Шуваловском карьере
Поздравление губернатора Г.С. Полтавченко и председателя Законодательного Собрания В.С. Макарова с Днем Военно-Морского Флота
Вручение медалей «Рожденному в Коломягах»
Что такое Европротокол?
Что такое Европротокол?
Правила безопасного обращения с огнестрельным оружием самообороны
Возвращение «Авроры»
СПб ГБУ «Центр социальной реабилитации инвалидов и детей-инвалидов Приморского района» сообщает об открытии новых отделений и дополнительном наборе клиентов
Поздравления юбиляров семейной жизни ко Дню семьи, любви и верности
Эко-квест на берегу Финского залива – в море мусору не место!
Свежий номер газеты «Коломяжские вести» — июль, 2016
Престольный праздник Храма святого праведного воина Феодора Ушакова — 5 августа
Продолжается прием работ на фотоконкурс «Мои Коломяги»
Сезонные пожары: балконы и лоджии жилых домов
Принят федеральный закон, направленный на установление единой системы профилактики правонарушений
Приглашаем принять участие в соревнованиях по волейболу и баскетболу
Приглашаем родителей получить билеты в Сказкин дом/УникУм/Кидбург с открытой датой
Вниманию организаций и предпринимателей!
Управление Росреестра по Санкт-Петербургу: государственная регистрация прав на недвижимость будет удостоверяться выпиской из ЕГРП, а не свидетельством
Памятка «Безопасность на воде»
Сотрудники Пенсионного фонда не запрашивают персональные данные по телефону!
От искры возгорится..
Что делать, если пожар застал в лесу
Чемпионат по волейболу на кубок Главы МО Коломяги
Внесены изменения в статью 50 Федерального закона «Об обращении лекарственных средств»
Пересмотрена продолжительность отпусков на государственной гражданской службе
Акция «Раздельный сбор»
Стартовала Всероссийская сельскохозяйственная перепись 2016 года
Изменение о КоАП, касающиеся отнесения материалов фото- и киносъемки, звуко- и видеозаписи к доказательствам
В Петербурге изучают предвыборную программу «Единой России»
Туристский слет для жителей округа «Коломяжские туристы»
Приглашаем на спектакль «Вишневый сад»
На «горячей линии» Управления Росреестра по Санкт-Петербургу задавали вопросы о том, как поступить на государственную гражданскую службу в Управление.
Госинспектора Приморского района взяли под контроль автобусы
Назначь пенсию через интернет, не выходя из дома
Материнский капитал
Административная ответственность за повреждение территорий зеленых насаждений
Выпадения детей из окон
100-й выпуск газеты «Коломяжские вести»
Уважаемые пенсионеры!
Прокуратура Приморского района обращает внимание о необходимости принятия дополнительных мер, направленных на обеспечение сохранности своего имущества
Прокуратура информирует: невыплата заработной платы и иных выплат является одним из нарушений конституционных прав гражданина
Итоги конкурса декоративно-прикладного творчества «Семейная мозаика» и концерт ко Дню семьи
Победители XV конкурса муниципальных и районных средств массовой информации Санкт-Петербурга
Счастливое детство благодаря материнскому капиталу
Акция по профилактике дорожно-транспортного травматизма
Экскурсия «Лужский рубеж» для жителей округа
Денежная компенсация на уплату взноса на капитальный ремонт
Орнитоз
Уважаемые владельцы гражданского оружия!
Приглашаем родителей с детьми на экскурсию «Елагин остров с посещением дворца»
Уважаемые владельцы гражданского оружия!
День Открытых Дверей в СПб ГБУ «Центр социальной реабилитации инвалидов и детей — инвалидов Приморского района»
Поздравление Губернатора Г.С. Полтавченко и Председателя Законодательного Собрания В.С. Макарова с Днем России
«Утренняя зарядка» шагает по Коломягам!
Межрайонный отдел вневедомственной охраны по Приморскому району г. Санкт-Петербурга приглашает на службу.
Борьба жителей «Юбилейного Квартала» за обладание адекватной транспортной инфраструктурой
Проблемы организации эксплуатации и капитального ремонта лифтового оборудования. Особенности проведения модернизации лифтов в многоквартирных домах
Поведение на воде, катание на лодках
Борьба жителей «Юбилейного Квартала» за обладание адекватной транспортной инфраструктурой
Ярмарка вакансий для граждан, испытывающих трудности в поиске работы — 22 июня 2016 года
Город, в котором я живу
Благотворительный концерт «224 дня – 224 судьбы»
Горячая телефонная линия по вопросам пересмотра результатов определения кадастровой стоимостипрошла в Управлении Росреестра по Санкт-Петербургу
Результаты футбольного матча на переходящий кубок МО Коломяги-2016 — 29 мая 2016
Ярмарка вакансий для граждан с ограниченными физическими возможностями
Санкт-Петербургский Фестиваль национальных кухонь, приуроченный ко Дню России
Коломяжский велоклуб приглашает принять участие в велогонке
Всемирный день без табачного дыма
Как получить помощь в Центре семьи?
Прием заявлений на участие в церемонии чествования семейных пар
Отдел Военного Комиссариата города Санкт-Петербург по Приморскому району проводит набор граждан в военные образовательные учреждения высшего профессионального образования Министерства Обороны Российской Федерации
Бесплатные билеты для детей на спектакль «История Кая и Герды»
Полезных сервисов ПФР стало больше
Прием заявлений на участие в церемонии чествования семейных пар
Отдел Военного Комиссариата города Санкт-Петербург по Приморскому району проводит набор граждан в военные образовательные учреждения высшего профессионального образования Министерства Обороны Российской Федерации
День рождения нашего любимого города!
Бесплатное получение военной специальности водителя категории «С»
Бесплатное получение военной специальности водителя категории «С»
Результаты футбольных матчей на переходящий кубок МО Коломяги-2016
Семинары по профилактике наркомании и употребления наркотических веществ, табакокурения и употребления алкоголя
Обращение начальника отдела военного комиссариата города Санкт-Петербург по Приморскому району Сергея Валерьевича Байдарова к родителям призывников.
МБУ «Развитие» приглашает на зарядку
Ярмарка вакансий для людей с ограниченными возможностями
Майский номер газеты «Коломяжские вести» на нашем сайте
Запись на экскурсию для старшего пенсионного возраста
Экскурсия для жителей округа в Ивангород
Памятка гражданам-пенсионерам по безопасному поведению при получении и транспортировке денежных средств.
Защита от велосипедных краж
Отчетность в ПФР: незнание порядка представления не освобождает от ответственности
Действия при угрозе обрушения зданий
Всероссийская сельскохозяйственная перепись — 2016
Памятка гражданам-пенсионерам по безопасному поведению при получении и транспортировке денежных средств.
Жители Коломяг посетили асфальтобетонный завод «АБЗ-1»
«Чернобыльцы ─ это народ особый. Героический»
«День семьи» на Афонской, 16
Сирень в Юбилейном квартале
Управление Росреестра по Санкт-Петербургу информирует
Управление Росреестра по Санкт-Петербургу информирует
71 год назад мы победили!
Приглашаем родителей и детей на экскурсию «Румянцевский особняк»
Появление новых коломяжцев — это праздник для нас
Ярмарка-выставка для детей-сирот и детей, оставшихся без попечения родителей
Администрация Приморского района и ТБК «Афонский» приглашают на праздник 9 мая
Памятка для беременных
Приглашаем принять участие в благотворительном проекте «Забег добрых дел»
Что же делать, если в подвале дома обитают безнадзорные кошки?
Парад ко Дню Победы в Коломягах — 7 мая
Парад ко Дню Победы в Коломягах — 7 мая
Первое издание путеводителя по Казачьему Санкт-Петербургу
В Приморском районе прошло соревнование «БЕЗОПАСНОЕ КОЛЕСО»
Поздравляем с праздником Весны и Труда!
Благотворительный концерт «Петербургский романс»
Весеннее сжигание сухой травы
Приглашаем жителей на турслет «Казачий хутор»
Семейный конкурс декоративно-прикладного творчества «Семейная мозаика»
Открытие чемпионата по футболу на переходящий кубок МО Коломяги-2016
Уважаемые жители, предоставившие фотографии своих родственников для акции «Бессмертный полк»!
Велоформа для коломяжских велосипедистов
Соблюдение детского «комендантского часа» обсудили в администрации Приморского района
Уважаемые предприниматели – работодатели!
Самое важное о налоговой декларации
Правила безопасного поведения ребенка
21 апреля — День местного самоуправления
Календарь игр чемпионата по футболу на переходящий кубок МО Коломяги-2016
Правила безопасного поведения ребенка
Приглашаем на концерт «Танго, вальсы, романсы»
«Единая Россия» предлагает разрешить семьям с невысокими доходами использовать маткапитал на повседневные нужды
Ярмарка вакансий для инвалидов
Свежий номер газеты «Коломяжские вести» — апрель, 2016 г.
Первый юбилей у коломяжских любителей скандинавской ходьбы
Профилактика туберкулеза — путь к здоровью и долголетию!
Праздник «День веселья. День цирка» в ТБК «Афонский»
Меры пожарной безопасности в пожароопасный период
Профилактика туберкулеза — путь к здоровью и долголетию!
55 лет со дня первого полета человека в космос
Приглашаем жителей на экскурсию в Новгород
Как уберечься от угонов автотранспорта
Приглашаем на экскурсию «Александрия — Дворцовый телеграф»
Экскурсия для старшего пенсионного возраста, запись 21 апреля
День благоустройства — 23 апреля
Бесплатные билеты на концерт Алены Петровской, финалистки шоу «Главная сцена»
Тренер коломяжского велоклуба состязался в скорости с самолетом
В МФЦ принимают документы на путевки в летний лагерь для детей-льготников
Обращение начальника отдела военного комиссариата города Санкт-Петербург по Приморскому району Сергея Валерьевича Байдарова к родителям призывников
Правила оборота гражданского оружия
С 10 марта 2016 г. начала работу областная горячая линия по защите прав потребителей и защите социально-трудовых прав.
Вакцинация
Идем повышать пенсионную грамотность
ОНД, ПСО и ВДПО Приморского района г. Санкт-Петербурга, выражает благодарность Куренному Ивану Михайловичу!
Экскурсия в г. Приозерск, крепость Корела
Автобусная экскурсия «Александрия. Коттедж» в рамках программы «Юный петербуржец»
Возобновление приема оружия и боеприпасов
Информация о льготах по уплате имущественных налогов
Администрация Приморского района информирует
Администрация Приморского района информирует
«Коломяжские вести» наградили своих читателей
Завершается прием заявлений на выплату 20 тысяч рублей из материнского капитала
Центр социальной реабилитации инвалидов и детей-инвалидов Приморского района проводит день открытых дверей
Свежий номер газеты «Коломяжские вести» — март, 2016 г.
Бесплатные билеты на детский спектакль «Аленький цветочек»
Информация по пожарам, произошедшим в жилом фонде Санкт-Петербурга
Всероссийская Олимпиада научных и студенческих работ в сфере профилактики наркомании
Защитим пенсионеров от мошенничества
Управление Пенсионного фонда предупреждает
Прощание с Масленицей — 13 марта в 14.00
Чемпионаты по футболу и волейболу на кубок МО Коломяги
В «Единой России» стартовало предварительное голосование
Обзор дорожно-транспортных происшествий за февраль, в которых пострадали несовершеннолетние
Ярмарка вакансий для женщин состоится 21 марта
Автобусная экскурсия «Домик Петра»
К общественным обсуждениям
В Приморском районе подвели итоги профилактического мероприятия «Пешеход. Пешеходный переход»
Специальная линия «Нет коррупции!»
Специальная линия «Нет коррупции!»
График выплаты пенсий, ЕДВ и иных социальных выплат в марте 2016 года через отделения почтовой связи Санкт-Петербурга:
Праздничный концерт в честь 8 марта
Горячую телефонную линию по вопросам государственной регистрации прав на недвижимость на основании судебных актов провело Управление Росреестра по Санкт-Петербургу
Приглашаем жителей на спектакль «Шестикрылый Серафим»
Поздравление Губернатора Г.С. Полтавченко и Председателя Законодательного Собрания В.С. Макарова с Днем защитника Отечества
Общегородская ярмарка вакансий
Изменились правила оформления парковочных разрешений
Газета «Коломяжские вести» — №2, февраль, 2016 год
Изменения в Федеральный закон «Об охране окружающей среды»
Водные объекты в зимнее время таят в себе массу опасностей
В Петербурге почтили память воинов-интернационалистов
Горячая телефонная линия по вопросам изменения в законодательстве прошла в Управлении Росреестра по Санкт-Петербургу
Бундестагом ФРГ принято решение об осуществлении выплат бывшим советским военнослужащим
Коломяжский велоклуб #VALOgonki
Cанкт-Петербургская транспортная прокуратура разъясняет
Приглашаем жителей округа на экскурсию в Павловск
Меры пожарной безопасности при использовании электроприборов
День открытых дверей в Центр социальной реабилитации инвалидов и детей-инвалидов Приморского района
Акция «Юный пассажир»
Парковка на тротуарах
Внимание – футбол в Коломягах!
Внимание – футбол в Коломягах!
В честь 80-летия Приморского района стартовали творческие конкурсы
Выход на лёд Финского залива чрезвычайно опасен!
Приглашаем родителей и детей на экскурсию
Праздник спорта в честь Дня полного освобождения Ленинграда от фашистской блокады
Методическое руководство по выявлению и локализации очагов «голландской болезни» деревьев
Бесплатные билеты в рамках программы «Юный Петербуржец»
Отдел лицензионно-разрешительной работы УМВД России по Приморскому району г. Санкт-Петербурга напоминает
Приглашаем желающих принять участие в Спартакиаде пенсионеров Санкт-Петербурга
28 января на рассмотрение Законодательного Собрания Санкт-Петербурга внесен проект Закона «О выборах депутатов Законодательного Собрания Санкт-Петербурга»
ОСТОРОЖНО ГРИПП!
Уважаемые руководители малых (микро) и средних предприятий! Уважаемые предприниматели!
Приглашаем на экскурсию в рамках программы «Юный Петербуржец»
Управление Пенсионного фонда напоминает
Газета «Коломяжские вести» — №1, январь, 2016 г.
Вячеслав Макаров: Никогда не померкнет наша гордость за беспримерный героизм защитников, тружеников и жителей Ленинграда
Экскурсии для старшего пенсионного возраста
Внимание! Гражданам льготной категории!
Управление Росреестра по Санкт-Петербургу напоминает об изменениях в порядке выдачи информации из ЕГРП
Управление Росреестра по Санкт-Петербургу напоминает о важных изменениях в правилах оформления сделок с недвижимостью
Приглашаем жителей на бесплатную экскурсию в Гатчину
Встречаем Крещение с ТБК «Афонский»!
Праздник Крещения в Приморском районе
График работы Экомобиля в 2016 году
18 января – святая дата для каждого ленинградца, петербуржца
Приглашаем жителей МО Коломяги получить бесплатные билеты на спектакль или в кино
Сбор новогодних ёлок
В Коломягах установлен информационный щит с данными мониторинга воздуха
Массовые старты «Лыжные стрелы» в 2016 году стартуют 10 января
Фестиваль русской этнокультуры «Большие Святочные Гулянья»
«За хороший почин — красивая медаль!»
Шарманщик Карло поселился на Удельной
Новогодние гуляния в нашем округе
Шарманщик Карло поселился на Удельной
Не один дома: куда сводить ребенка в канун Нового Года и Рождества
Уважаемые жители, поздравляем вас с Новым годом и Рождеством Христовым!
Поздравление Губернатора Г.С. Полтавченко и Председателя Законодательного Собрания В.С. Макарова с Новым годом
Строители сделали к Новому Году долгожданный подарок жителям «Юбилейного квартала»
Дед Мороз приходит в гости
Строители сделали к Новому Году долгожданный подарок жителям «Юбилейного квартала»
Не выбрасывайте новогодние ёлки!
Новый год в Приморском районе
В Приморском районе завершается подготовка к новогодним праздникам
Праздничный переполох: лучшие Рождественские ярмарки Петербурга
Приглашаем на новогодние уличные гуляния в МО Коломяги!
Работы по строительству подземного перехода в Петербурге изменят расписание поездов на выборгском направлении
Будь внимателен – дети!
Будь внимателен – дети!
28 декабря 2015 года Управление Росреестра по Санкт-Петербургу проводит горячую телефонную линию
С 2016 года работающие пенсионеры будут получать страховую пенсию без учета индексации
Эксплуатация пиротехники, а также фейерверков
Запрещен выход на лед
Будущее наших Коломяг
Сайт МО Коломяги признан лучшим
Ежегодная акция МО Коломяги «Подарок от Деда Мороза»
Новогодний номер газеты «Коломяжские вести»
Управление Росреестра по Санкт-Петербургу проводит горячую телефонную линию
Благодарность старшим участковым
Помощь Луганску
Концерт для многодетных мам
Благотворительная рождественская ярмарка в ТРК «Питерлэнд»
Заседание, посвященное сносу гаражей вдоль проспекта Королева
Награждение лауреатов и победителей XIII Всероссийского конкурса «Лучший муниципальный сайт»
Информация о проведении общероссийского дня приема граждан 14 декабря 2015 года
29 ноября – День матери
Приглашаем жителей нашего округа получить бесплатные билеты на спектакли
Общегородская ярмарка вакансий «Труд и занятость»
Рождественская ярмарка откроется 18 декабря
О внесении изменений в Кодекс Российской Федерации об административных правонарушениях с 1 января 2016 г. в части взыскания штрафов
Коломяжский гамбит
Елена Киселева: Петербург вошел в топ 10 национального рейтинга доступности среды для инвалидов
Свежий номер газеты «Коломяжские вести» — ноябрь, 2015
Осуществлена проверка по адресу: Фермское шоссе, д. 41, Удельный рынок
20 ноября 2015 года проводится Всероссийский День правовой помощи детям, приуроченный к Всемирному дню ребенка
Принесение в Санкт-Петербург ковчега с частицей мощей святого равноапостольного великого князя Владимира — Крестителя Руси
Приводим в порядок Коломяги
Приглашаем на экскурсию ко Дню матери
В Москве завершился Всероссийский форум местных отделений Партии «Единая Россия»
О проведении Недели профилактики онкологических заболеваний в Санкт-Петербурге с 16.11.2015 по 22.11.2015 под девизом «Своевременное обследование – шаг к здоровью!»
10 ноября — День сотрудника органов внутренних дел Российской Федерации
Информация для жителей Юбилейного квартала
Информация для жителей Юбилейного квартала
Информация для родственников погибших в авиакатастрофе в Египте
4 ноября – День народного единства
Проведена проверка соблюдения требований природоохранного законодательства в деятельности ОАО «Асфальтобетонный завод №1»
Первое рабочее совещание по созданию «Приморского велопарка»
Проведена проверка соблюдения требований природоохранного законодательства в деятельности ОАО «Асфальтобетонный завод №1»
Праздничное шествие в честь Дня народного единства
Приглашаем на экскурсию в Музей политической истории
Никем нежданная беда
Чествование юных коломяжцев
МФЦ информирует
Участвуйте в муниципальном турнире по быстрым шахматам!
Приглашаем жителей округа на бесплатную экскурсию в Юсуповский дворец
Приглашаем жителей получить бесплатные билеты на концерт Алены Петровской и на Гала-концерт «От окраины к центру»
Свежий номер газеты «Коломяжские вести» — октябрь, 2015
Вячеслав Макаров: Реставрация Князь-Владимирского собора — знаковое событие для всех петербуржцев
Внезапное обрушение зданий
О гриппе и ОРВИ: цифры, факты, профилактика, советы петербуржцам
Внезапное обрушение зданий
Обращение начальника отдела военного комиссариата города Санкт-Петербург по Приморскому району Олега Викторовича Личмана к родителям призывников
Возрождение советских традиций по сдаче норм ГТО
Обращение начальника отдела военного комиссариата города Санкт-Петербург по Приморскому району Олега Викторовича Личмана к родителям призывников
Вячеслав Макаров: Мы сохраняем уровень социальных гарантий
Зимняя резина — целая машина!
Перспективы развития семейного законодательства в Российской Федерации обсудили в Петербурге
Заключение договоров пожизненной ренты
Протокол совещания в МО Коломяги по вопросу инженерного обеспечения и благоустройства улиц в микрорайоне «Коломяги»
МФЦ готовы к приему на запись в первый класс на 2016-2017 учебный год
Проект «Рука в руке»
МФЦ готовы к приему на запись в первый класс на 2016-2017 учебный год
Уважаемые Жители территории частной застройки МО Коломяги!
Приглашаем на День благоустройства!
Уважаемые Жители территории частной застройки МО Коломяги!
Встреча председателя Комитета по социальной политике Санкт-Петербурга Ржаненкова А.Н. с жителями Приморского района
О введении в действие Кодекса административного судопроизводства Российской Федерации (федеральный закон от 08.03.2015 № 22-ФЗ)
О недопущении захоронения животных
О введении в действие Кодекса административного судопроизводства Российской Федерации (федеральный закон от 08.03.2015 № 22-ФЗ)
С Днем учителя!
Вячеслав Макаров: Высокие образовательные стандарты Петербурга являются ориентирами для всей России
День воспитателя
Агентство занятости населения Приморского района приглашает на работу несовершеннолетних граждан
Коломяги готовятся к труду и обороне
III выставка-ярмарка товаров и услуг для населения старшего поколения «Золотой возраст»
30 сентября 2015 года Управление Росреестра по Санкт-Петербургу проводит горячую телефонную линию
Информация от природоохранной прокуратуры
Ярмарка-вакансий «Малый бизнес и предпринимательство»
Вячеслав Макаров: Новый закон предусматривает для иногородних студентов благоустроенное жильё
Информация от природоохранной прокуратуры
Газета «Коломяжские вести», сентябрь — 2015
Открытие XXV международного кинофестиваля «Послание к человеку»
Заключительный этап городского турнира по рубке шашкой «Атаманский клинок» в честь 240-летия графа В.В. Орлова-Денисова прошел при поддержке МБУ «Развитие»
Что делать, если в доме безнадзорные кошки?
На фестивале национальных культур
Санкт-Петербургский социально-экономический институт приглашает на бесплатные занятия
В МФЦ новая услуга для семей, воспитывающих детей
В Санкт-Петербурге стартовала кампания по отключению должников от электро- и газоснабжения
25 сентября 2015 года Управление Росреестра по Санкт-Петербургу проводит горячую телефонную линию
На фестивале национальных культур
Акция, посвященная Всемирному дню сердца
Осень. Футбол. Коломяги
Готов к труду и обороне
Возобновлен прием от граждан незаконно хранящегося оружия
Заседание рабочей группы МС МО Коломяги по проблеме строительства магистрали №7
О Всероссийской сельскохозяйственной переписи 2016 года расскажет «Осенняя флора»
Возобновлен прием от граждан незаконно хранящегося оружия
Бесплатные билеты для жителей
Третий в этом сезоне турнир по волейболу
Городок юного пешехода в Юбилейном квартале
35-я общегородская ярмарка вакансий
Турнир по футболу 19 сентября 2015 года
Приглашаем на праздник урожая
Природоохранная прокуратура информирует
Быть на острие пера
Экскурсия ко Дню пожилого человека
Экскурсия в рамках программы «Культурная столица»
Дни открытых дверей ИФНС
8 сентября — День памяти жертв блокады Ленинграда
Прием граждан по вопросам соблюдения прав предпринимателей
Прием граждан по вопросам соблюдения прав предпринимателей
1 сентября — День знаний
IV Военно-морской молодежный фестиваль «Морские Дьяволы»
Общественная акция «Выбираю спорт!»
Рейд по водоемам Приморского района 21 августа 2015 года
Августовский номер газеты «Коломяжские вести»
Внимание! 27 августа состоится общегородская проверка системы оповещения
Мега-Шашлык 2015
Велопробег «Приморская восьмерка»
22 августа – День флага Российской Федерации
Заявление
Рейд, направленный на профилактику миграционного учета на территории МО Коломяги
Коломяжские туристы — 2015
Приглашаем на экскурсию «Непарадное Царское Село»
Микроперепись населения — 2015
Коломяжские туристы — 2015
Подать документы на государственную регистрацию прав можно в любом МФЦ, а также в электронном виде
Вячеслав Макаров: Уже сейчас нужно закладывать основу для нового роста
Волейбольный турнир в Юбилейном квартале 5 сентября 2015 года
Праздник будущего наших Коломяг
Проверки воздуха в промышленной зоне «Коломяги»
Напоминаем правила поведения и безопасности на воде
Правнучки защитников Ленинграда посетили Петербург
Напоминаем правила поведения и безопасности на воде
Медицинский центр пришел на помощь многотысячному кварталу
Медицинский центр пришел на помощь многотысячному кварталу
Молодежный слет «ВнуЧАТ 2015»
Благоустройство короткой строкой: июль 2015 г.- начало августа 2015 г.
9 августа — День строителя
Приглашаем записаться в группу по скандинавской ходьбе
Просим принять участие в опросе
Приглашаем записаться в группу по скандинавской ходьбе
Управление сообщает телефонные номера «горячей линии»
В Главном управлении МЧС России по г. Санкт-Петербургу продолжается конкурс «Придумай имя талисману»
Фестиваль «Family Fest» пройдет в парке 300-летия Санкт-Петербурга
Бесплатные билеты для жителей МО Коломяги
Не оставляйте детей в опасности!
Баскетбол в Коломягах: атлетизм и динамика
26 июля — День Военно-морского флота России
Приглашаем принять участие в турнире по баскетболу!
«Энергосбережение в жилищно-коммунальном хозяйстве. Тарифы. Вопросы задолженности»
Центр по приему платежей
Вячеслав Макаров: Депутатский корпус в прошедшем сезоне работал слаженно
Спорт в Коломягах
Конкурс «Лучший балкон» — 2015
Июльский номер газеты «Коломяжские вести»
Уголовный кодекс Российской Федерации дополнен новой статьей 264.1
Приглашаем на экскурсию в музей-квартиру А.А. Блока
Смотр-конкурс на лучшее оформление придомовой территории
Смотр-конкурс на лучшее оформление придомовой территории
Дни открытых дверей в Межрайонной ИФНС
Конкурс декоративно-прикладного творчества «Семейная мозаика»
Госавтоинспекция напоминает
Управление ФНС России по Санкт-Петербургу информирует
Розовая — для девочек, голубая — для мальчиков
Чествование юбиляров семейной жизни
Госавтоинспекция напоминает
«Мои Коломяги— 2015»
Интервью с Главой МО Коломяги С.Э. Борисенко: «Главное, чтобы общественным контролем занимались компетентные и грамотные люди»
Вячеслав Макаров поздравил петербуржцев с Днем семьи, любви и верности
Внимание, садоводы и огородники!
Приглашаем записаться в группу по скандинавской ходьбе
Турнир по футболу
Фотоконкурс на лучшую фотографию Коломяг!
Бесплатные билеты для жителей округа
Важная информация! Управление информирует!
Комитет по управлению городским имуществом реорганизован и переименован
27 июня – День молодежи России
22 июня – День памяти и скорби
Вручение медали «Рожденному в Коломягах»
«Балтийская весна-2015»
Месячник антинаркотических мероприятий
Внимание молодежи!
О проведении микропереписи населения в 2015 году
О мерах по обеспечению безопасности граждан на водных объектах
Турнир по волейболу 31 мая 2015 г.
Месячник антинаркотических мероприятий
Футбольный турнир 23 мая 2015 г.
«Мы живем здесь, вместе с художниками»
С Международным днем защиты детей!
Звезды оперной сцены поздравят Санкт-Петербург с днем рождения
Майский номер газеты на нашем сайте!
Турнир по волейболу в Коломягах
Благоустройство короткой строкой
Ярмарка вакансий для граждан, испытывающих трудности в поиске работы
Вячеслав Макаров: Санкт-Петербург подтвердит свой статус региона, привлекательного для инвесторов
Ежегодный конкурс «Семейная мозаика»
Правила пожарной безопасности при посещении лесопарковых зон
Падение детей из окон!
Приглашаем на футбольный турнир!
Новый памятник появился в Приморском районе
Парад в Коломягах 10 мая!
Уважаемые жители, предоставившие фотографии своих родственников для акции «Бессмертный полк» в 2014 и 2015 годах!
График выплаты пенсий, ЕДВ и иных социальных выплат в мае 2015 года через отделения почтовой связи Санкт-Петербурга:
Вячеслав Макаров: Петербург возник как пространство встречи культур
«Апрельские звездочки»
Вместе с ПФР с рождения
29 апреля 2015 года в Управлении Росреестра по Санкт-Петербургу пройдет горячая телефонная линия по вопросам предоставления информации из ЕГРП и ГКН
Медаль «Рожденному в Коломягах»
Красота любого города — в неравнодушии его жителей
1 мая – Праздник Весны и Труда
30 апреля – День пожарной охраны России
Заслуженная награда ветеранам
Дан первый старт в сдаче норм ГТО среди жителей МО Коломяги
Формирование колонн участников шествия ветеранов, представителей общественности и «Бессмертного полка» 9 мая 2015 г.
Открытие «Этно-Пресс-Клуба» Санкт-Петербурга
Хотите узнать о новой пенсионной формуле – тогда мы идем к вам!
Вячеслав Макаров: Мы работаем как одна команда
О предоставлении права на проезд отдельным категориям граждан в Санкт-Петербурге в связи с 70-летием Победы
Памятка о действиях населения при получении сигналов РАСЦО и экстренной информации
Апрельский номер газеты на нашем сайте!
Приглашаем жителей на весенний субботник!
Праздничный концерт
Вячеслав Макаров поздравил Санкт-Петербургский хоккейный клуб СКА с победой в Кубке Гагарина
Информация о ДТП, в которых пострадали несовершеннолетние
Городской молодежный день донора — 22 апреля
Василий Лановой дал старт акции «Бессмертный полк» в Санкт-Петербурге
Фармацевтическая компания приглашает на работу
Ярмарка вакансий информирует
Начался сбор средств в рамках благотворительной программы «Долг»
Обращение начальника отдела военного комиссариата города Санкт-Петербург по Приморскому району Олега Викторовича Личмана к родителям призывников
Военный комиссариат приглашает бесплатно получить военную специальность водителя
К 70-летию Победы ПФР производит социальную выплату ветеранам Великой Отечественной войны
Вячеслав Макаров: Установление «налоговых каникул» создаст новые рабочие места
Страховая пенсия по инвалидности
С 1 апреля социальные пенсии и пенсии по государственному пенсионному обеспечению вырастут на 10,3%, ЕДВ – на 5,5%
Отчет Главы МО Коломяги перед населением
Внимание! Прием оружия и боеприпасов от населения
Протокол выездного совещания по вопросу отвода дождевых и талых вод с проезжей части улицы Новосельковской
Управление Росреестра по Санкт-Петербургу напоминает, что сведения из ЕГРП можно получить в электронном виде с помощью интернет-портала Росреестра rosreestr.ru
Осторожно — клещи!
12 апреля — Всемирный день авиации и космонавтики
Новый режим работы МФЦ
Профилактика сердечно-сосудистых заболеваний
Вячеслав Макаров: Убежден, все поставленные Губернатором в ходе ежегодного отчета задачи будут реализованы
Выставка «Коллекционер»
Ярмарка вакансий для лиц с ограниченными возможностями
Горячая линия по защите прав потребителей
Кадастровая палата ускорит обслуживание ветеранов
В преддверии майских праздников напоминаем о правилах безопасного проведения мероприятий в местах массового скопления людей
Уважаемые жители! Поддержите чистоту нашего города!
Открытый районный конкурс ИЗО, фотографии и декоративно-прикладного творчества «Этих дней не смолкнет слава!»
«Голос блокадного Ленинграда» — открытый конкурс художественного слова имени Ольги Берггольц
Приглашаем принять участие в фестивале граффити
Европейская неделя иммунизации
Будьте бдительны!
В Управлении Росреестра по Санкт-Петербургу прошла горячая телефонная линия
Встреча Главы администрации Приморского района Н.Г. Цед с жителями Коломяг
График выплаты пенсий, ЕДВ и иных социальных выплат в апреле 2015 года
Информационно-консультационная выставка «Ваше имущество и Ваши права»
Внимание! Розыск.
Информационная памятка о единовременной выплате некоторым категориям граждан Российской Федерации в связи с 70-летием Победы в Великой Отечественной войне 1941 -1945 годов.
Вячеслав Макаров: Реализация антикризисной программы – главная задача
«Школа безопасности»
Информация для УК, председателей ТСЖ, ЖСК, представителей Советов МКД
Управление Пенсионного фонда информирует
Всемирный день борьбы с туберкулезом
Осторожно! Хрупкий лёд
Управление Росреестра по Санкт-Петербургу информирует: с 20 марта 2015 года увеличиваются штрафы за нарушения отдельных положений земельного законодательства. Действующие ставки штрафов увеличены в несколько раз.
Осторожно! Хрупкий лёд
Управление Росреестра по Санкт-Петербургу информирует: с 20 марта 2015 года увеличиваются штрафы за нарушения отдельных положений земельного законодательства. Действующие ставки штрафов увеличены в несколько раз.
Приглашаем работодателей принять участие в общегородской ярмарке вакансий учебных и рабочих мест для женщин
Регламент соревнований по шахматам в рамках Спартакиады пенсионеров России
18 марта 2015 года в Управлении Росреестра по Санкт-Петербургу пройдет горячая телефонная линия
Информация от Агентства Занятости населения Приморского района
Связь поколений
Акция «Бессмертный полк»
Бесплатные билеты в ДК «Выборгский»
Приглашаем на экскурсию «Литературный Петербург»
Долгожданная медаль
Акция «Бессмертный полк»
Информация для жителей
Праздник спорта в ЮИТ-Парке
Марии Ивановне Ароновой — 100 лет
Свежий номер газеты «Коломяжские вести»
11 марта 2015 года Управление Росреестра по Санкт-Петербургу проводит горячую телефонную линию
Осторожно! Паводок!
«Коломяжские вести» наградили своих читателей
Концерт ко Дню защитника Отечества
Международный форум «Старшее поколение»
График выплаты пенсий, ЕДВ и иных социальных выплат в марте 2015 года через отделения почтовой связи Санкт-Петербурга
Турнир на полосе препятствий
Концерт, посвященный 8 марта, в библиотеке №7
ОНД Приморского района информирует
Спартакиада для пенсионеров России
Открыт филиал ЗАО «ПЕТРОЭЛЕКТРОСБЫТ» в гипермаркете «Лента»
ОНД Приморского района информирует
Бесплатные билеты для жителей на ледовое представление
Бесплатные билеты для жителей на ледовое представление
Приглашаем жителей на бесплатную экскурсию
Храм Всех Святых возводит новые стены
23 февраля — День защитника Отечества
Открытие кадетской школы IT-технологии
Профилактические мероприятия «Пешеход» и «Пешеходный переход»
Национальный проект «Лес Победы»
Колледж Петербургской моды приглашает получить образование на бесплатной основе
Профилактические мероприятия «Пешеход» и «Пешеходный переход»
Масленичные гуляния 22 февраля 2015 г. на территории ТРК «Варшавский экспресс»
Порядок оплаты штрафов за административные правонарушения в области ПДД
О выплатах ветеранам боевых действий
В Приморском районе открылась новая народная лыжня
Порядок оплаты штрафов за административные правонарушения в области ПДД
Личный кабинет застрахованного лица
На пути к спортивным вершинам
Ярмарка вакансий 5 марта 2015 года
Cемейная лыжная эстафета на кубок ЮИТ-ПАРКа — 15 февраля
15 февраля – День вывода советских войск из Афганистана
Отчетно-выборное собрание Совета ветеранов МО Коломяги
Открытый турнир на полосе препятствий
На станции с названием «Война»…
Лыжня России 2015 в Приморском районе
Вячеслав Макаров: Мы всегда будем помнить подвиг жителей блокадного Ленинграда
Невско-Ладожское БВУ информирует
Свежий номер газеты — Январь 2015
27 января — День полного освобождения Ленинграда от фашистской блокады – (1944 год)
Бесплатные билеты в театр для наших жителей
«Собрались у новогодней елочки»
Ярмарка вакансий для граждан предпенсионного и пенсионного возраста
Управление Росреестра по Санкт-Петербургу информирует об изменении реквизитов оплаты государственной пошлины при обращении в МФЦ
Положение о конкурсе «Я рассказываю сказку»
18 января – 72-я годовщина прорыва блокады Ленинграда
«Лыжные стрелы»: бесплатно, но не без проблем
График выплаты пенсий, ЕДВ и иных социальных выплат в январе 2015 года через отделения почтовой связи Санкт-Петербурга:
ПРОЖИТОЧНЫЙ МИНИМУМ 2015
Поздравление Вячеслава Макарова с Новым 2015 годом
Вячеслав Макаров: Законодательное Собрание уже 20 лет показывает пример качественной работы.
ПАМЯТКА ПЕНСИОНЕРАМ И ВЕТЕРАНАМ ПО ЗАЩИТЕ ОТ СОЦИАЛЬНОГО МОШЕННИЧЕСТВА
Новогоднее-уличное-гуляние
Новый год в Приморском районе
Программа «Культурная столица»
Поклонногорскую улицу закроют 18 декабря
Информация о ДТП с участием несовершеннолетних
Постоянная ссылка на Вячеслав Макаров: Конституция наделяет нас не только правами, но и обязанностями»
НОВЫЙ ГОД БЕЗ ПОЖАРОВ!